Benvenuto Ospite

Forum Entomologi Italiani

www.entomologiitaliani.net/forum
 
Oggi è 25/11/2025, 23:48

Tutti gli orari sono UTC + 1 ora [ ora legale ]

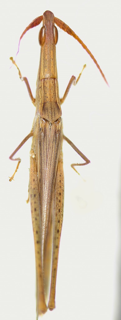
Acrida ungarica mediterranea Dirsh, 1949 - Acrididae Acridinae

5.VIII.2015 - ITALIA - Veneto - VE, San Michele al Tagliamento (VE), loc.: Bibione


nuovo argomento
rispondi
Pagina 1 di 1 [ 3 messaggi ]
Autore Messaggio
MessaggioInviato: 09/10/2015, 23:26 
Avatar utente

Iscritto il: 31/07/2014, 16:09
Messaggi: 619
Località: Northeim, Lower Saxony, Germany
Nome: Alex Hasenkampf
37mm :hi:


Acrida ungarica (Herbst, 1786) 37mm 05.08.15 Bibione, VE, Italia 45°38'34.2N 13°02'19.7E.jpg

2015-09-28_15-56-52 M=B R=50 S=10.jpg

Top
profilo
 Oggetto del messaggio: Re: Acrida ungarica ?
MessaggioInviato: 10/10/2015, 14:14 
Avatar utente

Iscritto il: 19/06/2012, 14:35
Messaggi: 5640
Località: Alfonsine (RA)
Nome: Marco Villani
:ok: A. ungarica mediterranea


Top
profilo
MessaggioInviato: 10/10/2015, 14:34 
Avatar utente

Iscritto il: 31/07/2014, 16:09
Messaggi: 619
Località: Northeim, Lower Saxony, Germany
Nome: Alex Hasenkampf
Grazie mille! :hi:


Top
profilo
Visualizza ultimi messaggi:  Ordina per  
nuovo argomento
rispondi
Pagina 1 di 1 [ 3 messaggi ]

Tutti gli orari sono UTC + 1 ora [ ora legale ]


Chi c’è in linea

Visitano il forum: Nessuno e 2 ospiti


Non puoi aprire nuovi argomenti
Non puoi rispondere negli argomenti
Non puoi modificare i tuoi messaggi
Non puoi cancellare i tuoi messaggi
Non puoi inviare allegati

Cerca per:
Vai a: