Benvenuto Ospite

Forum Entomologi Italiani

www.entomologiitaliani.net/forum
 
Oggi è 12/01/2026, 6:20

Tutti gli orari sono UTC + 1 ora [ ora legale ]

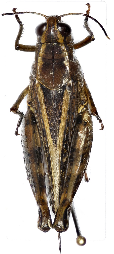
Calliptamus italicus italicus (Linnaeus, 1758) ♀ - Acrididae Calliptaminae

30.VII.2015 - ITALIA - Veneto - VE, San Michele al Tagliamento (VE), loc.: Bibione


nuovo argomento
rispondi
Pagina 1 di 1 [ 7 messaggi ]
Autore Messaggio
MessaggioInviato: 29/10/2015, 18:33 
Avatar utente

Iscritto il: 31/07/2014, 16:09
Messaggi: 619
Località: Northeim, Lower Saxony, Germany
Nome: Alex Hasenkampf
:hi: 28мм


2015-10-29_17-12-26 M=C R=50 S=10.jpg

28mm 30.07.15 Bibione, VE, Italia 45°38'34.jpg

Top
profilo
 Oggetto del messaggio: Re: Caelifera 2 ?
MessaggioInviato: 29/10/2015, 19:00 
Avatar utente

Iscritto il: 30/12/2010, 11:51
Messaggi: 4548
Località: San Giovanni Valdarno (AR)
Nome: Giovanni Altadonna
Calliptamus sp. - Acrididae :)

_________________
"L' uomo che è cieco alle bellezze della natura ha perduto metà del piacere di vivere"
Sir Robert Baden Powell

Giovanni Altadonna


Top
profilo
 Oggetto del messaggio: Re: Caelifera 2 ?
MessaggioInviato: 29/10/2015, 19:58 
Avatar utente

Iscritto il: 31/07/2014, 16:09
Messaggi: 619
Località: Northeim, Lower Saxony, Germany
Nome: Alex Hasenkampf
:hi: Wings of pink color
Ali di colore rosa :oops:


Top
profilo
 Oggetto del messaggio: Re: Caelifera 2 ?
MessaggioInviato: 29/10/2015, 20:42 
Avatar utente

Iscritto il: 19/06/2012, 14:35
Messaggi: 5659
Località: Alfonsine (RA)
Nome: Marco Villani
:ok: italicus.
:hi:


Top
profilo
 Oggetto del messaggio: Re: Caelifera 2 ?
MessaggioInviato: 29/10/2015, 20:56 
Avatar utente

Iscritto il: 31/07/2014, 16:09
Messaggi: 619
Località: Northeim, Lower Saxony, Germany
Nome: Alex Hasenkampf
:ok: :birra: :hi:


Top
profilo
 Oggetto del messaggio: Re: Caelifera 2 ?
MessaggioInviato: 29/10/2015, 21:01 
Avatar utente

Iscritto il: 31/07/2014, 16:09
Messaggi: 619
Località: Northeim, Lower Saxony, Germany
Nome: Alex Hasenkampf
too female?


Top
profilo
 Oggetto del messaggio: Re: Caelifera 2 ?
MessaggioInviato: 29/10/2015, 21:26 
Avatar utente

Iscritto il: 19/06/2012, 14:35
Messaggi: 5659
Località: Alfonsine (RA)
Nome: Marco Villani
:ok:


Top
profilo
Visualizza ultimi messaggi:  Ordina per  
nuovo argomento
rispondi
Pagina 1 di 1 [ 7 messaggi ]

Tutti gli orari sono UTC + 1 ora [ ora legale ]


Chi c’è in linea

Visitano il forum: Nessuno e 1 ospite


Non puoi aprire nuovi argomenti
Non puoi rispondere negli argomenti
Non puoi modificare i tuoi messaggi
Non puoi cancellare i tuoi messaggi
Non puoi inviare allegati

Cerca per:
Vai a:  
cron