Benvenuto Ospite

Forum Entomologi Italiani

www.entomologiitaliani.net/forum
 
Oggi è 16/11/2025, 22:34

Tutti gli orari sono UTC + 1 ora [ ora legale ]

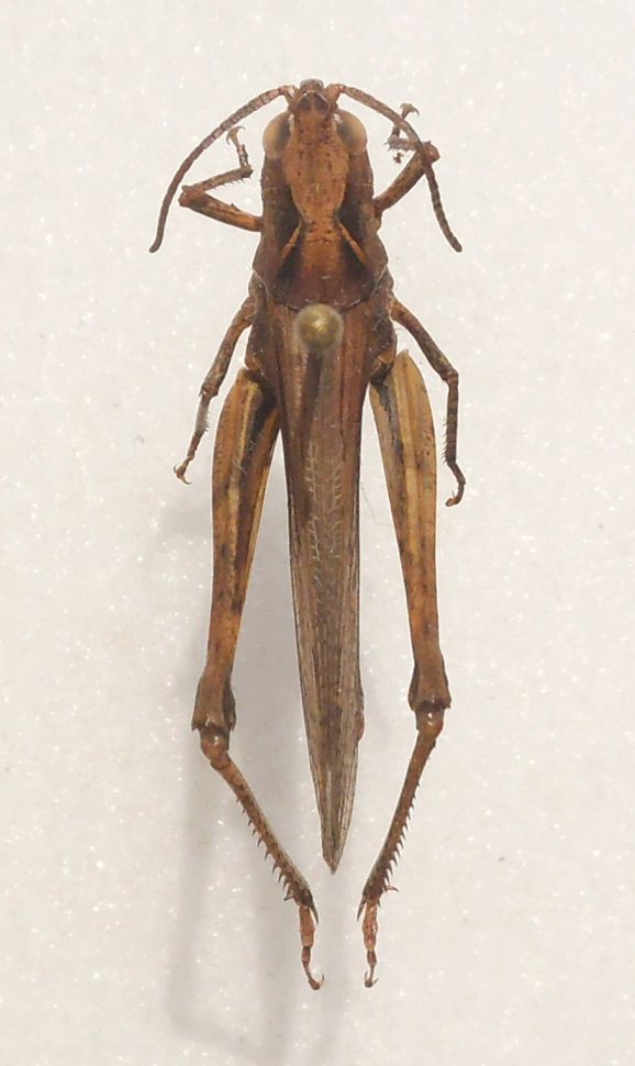
Chorthippus (Glyptobothrus) brunneus brunneus (Thunberg, 1815) - Acrididae

19.IX.2015 - ITALIA - Emilia-Romagna - RA, dint. di Bagnacavallo


nuovo argomento
rispondi
Pagina 1 di 1 [ 3 messaggi ]
Autore Messaggio
MessaggioInviato: 31/10/2015, 12:09 
 

Iscritto il: 08/12/2013, 1:52
Messaggi: 7548
Località: Bagnacavallo (RA)
Nome: Giorgio Pezzi
Magari Marco più di altri lo riconosce ad ali chiuse perchè sa cosa c'è da noi. corpo mm 20, ali escluse.
:hi:
DSCF2101.JPG



DSCF2098.JPG

Top
profilo
 Oggetto del messaggio: Re: Glyptobhrus brunneus?
MessaggioInviato: 31/10/2015, 14:29 
Avatar utente

Iscritto il: 19/06/2012, 14:35
Messaggi: 5639
Località: Alfonsine (RA)
Nome: Marco Villani
Esatto, è Chorthippus (Glyptobothrus) brunneus brunneus.
Da noi, in zone urbane, c'è solo lui oltre a Euchorthippus declivus (parlando dei soli Gomphocerinae).
In ambienti più conservati, sempre in pianura (ex. Zuccherificio, riserva di Alfonsine, argini del Reno, ecc...), ci sono vari Omocestus s. l.. Sulle colline invece si incontrano diverse altre specie tipiche. Poi ti passo qualche esemplare preso a Campigno.
:hi:


Top
profilo
MessaggioInviato: 01/11/2015, 10:54 
 

Iscritto il: 08/12/2013, 1:52
Messaggi: 7548
Località: Bagnacavallo (RA)
Nome: Giorgio Pezzi
Grazie. A presto! :hi:


Top
profilo
Visualizza ultimi messaggi:  Ordina per  
nuovo argomento
rispondi
Pagina 1 di 1 [ 3 messaggi ]

Tutti gli orari sono UTC + 1 ora [ ora legale ]


Chi c’è in linea

Visitano il forum: Nessuno e 7 ospiti


Non puoi aprire nuovi argomenti
Non puoi rispondere negli argomenti
Non puoi modificare i tuoi messaggi
Non puoi cancellare i tuoi messaggi
Non puoi inviare allegati

Cerca per:
Vai a: