Benvenuto Ospite

Forum Entomologi Italiani

www.entomologiitaliani.net/forum
 
Oggi è 20/04/2026, 20:53

Tutti gli orari sono UTC + 1 ora [ ora legale ]

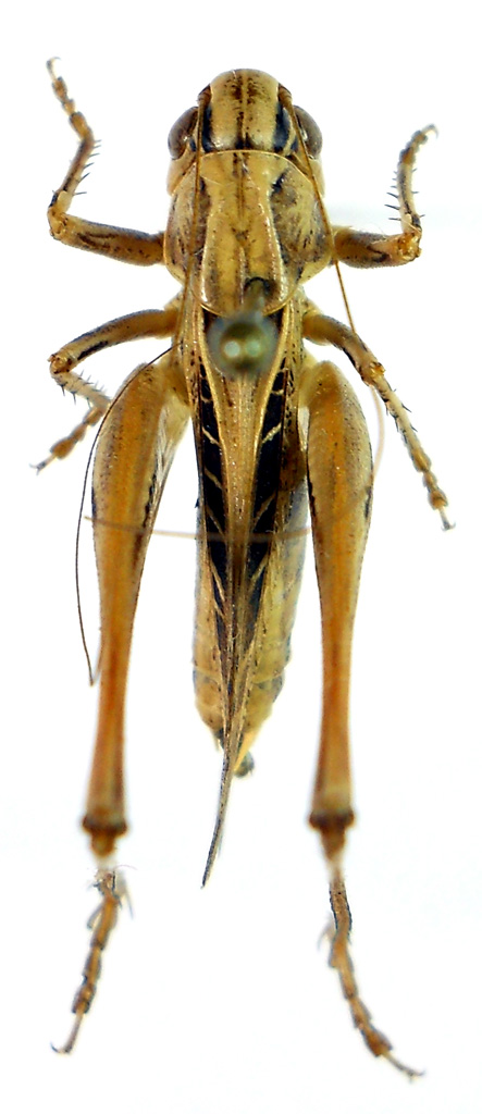
Tessellana tessellata tessellata (Charpentier, 1825) - Tettigoniidae Tettigoniinae

22.VII.2015 - ITALIA - Sardegna - OT, Arzachena, Stazzi Sarraiola, Pietro Leo leg.


nuovo argomento
rispondi
Pagina 1 di 1 [ 4 messaggi ]
Autore Messaggio
MessaggioInviato: 10/10/2015, 23:26 
Avatar utente

Iscritto il: 05/02/2009, 17:47
Messaggi: 7252
Località: Cagliari
Nome: Piero Leo
Tra il materiale raccolto da mio figlio durante il suo soggiorno lavorativo in Gallura.
Un altro Ortottero in attesa d'identificazione.

Lunghezza 19 mm
Ortottero a_02.jpg



Ortottero a_03.jpg



:) Ciao
Piero


Top
profilo
 Oggetto del messaggio: Re: Ortottero 2
MessaggioInviato: 11/10/2015, 9:33 
Avatar utente

Iscritto il: 19/06/2012, 14:35
Messaggi: 5666
Località: Alfonsine (RA)
Nome: Marco Villani
Platycleidino tipo Sardoplatycleis, Tessellana, etc...
Più tardi ci guardo meglio.
:hi:


Top
profilo
 Oggetto del messaggio: Re: Ortottero 2
MessaggioInviato: 11/10/2015, 10:40 
Avatar utente

Iscritto il: 19/06/2012, 14:35
Messaggi: 5666
Località: Alfonsine (RA)
Nome: Marco Villani
Tessellana tessellata femmina ;)
:hi:


Top
profilo
 Oggetto del messaggio: Re: Ortottero 2
MessaggioInviato: 11/10/2015, 11:16 
Avatar utente

Iscritto il: 05/02/2009, 17:47
Messaggi: 7252
Località: Cagliari
Nome: Piero Leo
marco villa ha scritto:
Platycleidino tipo Sardoplatycleis, Tessellana, etc...
Più tardi ci guardo meglio.
marco villa ha scritto:
Tessellana tessellata femmina ;)
Grazie. Dopo la tua ipotesi di questa mattina avevo verificato con Fauna d'Italia ed ero arrivato anch'io a tessellata (Charpentier 1825).

:) Ciao
Piero


Top
profilo
Visualizza ultimi messaggi:  Ordina per  
nuovo argomento
rispondi
Pagina 1 di 1 [ 4 messaggi ]

Tutti gli orari sono UTC + 1 ora [ ora legale ]


Chi c’è in linea

Visitano il forum: Nessuno e 2 ospiti


Non puoi aprire nuovi argomenti
Non puoi rispondere negli argomenti
Non puoi modificare i tuoi messaggi
Non puoi cancellare i tuoi messaggi
Non puoi inviare allegati

Cerca per:
Vai a: