Forum Entomologi Italiani
https://www.entomologiitaliani.net/public/forum/phpBB3/

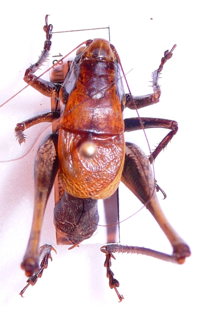
Pholidoptera aptera aptera (Fabricius, 1793) - Tettigoniinae
https://www.entomologiitaliani.net/public/forum/phpBB3/viewtopic.php?f=122&t=64807
Pagina 1 di 1

Autore:  ruzzpa [ 18/10/2015, 20:47 ]
Oggetto del messaggio:  Pholidoptera aptera aptera (Fabricius, 1793) - Tettigoniinae

non sono preparate come quelle di Piero ma accontentatevi....
forse la Pholidoptera aptera ?? :hi:

Allegati:
P1080401.JPG

P1080400.JPG


Autore:  marco villa [ 19/10/2015, 15:12 ]
Oggetto del messaggio:  Re: Tettigoniidae 1

Esatto, è l'unica con tale colorazione ai lati del pronoto.
:hi:

Autore:  ruzzpa [ 19/10/2015, 18:20 ]
Oggetto del messaggio:  Re: Tettigoniidae 1

marco villa ha scritto:
Esatto, è l'unica con tale colorazione ai lati del pronoto.
:hi:


allora possiamo nominare come Pholidoptera aptera aptera (Fabricius, 1793) penso che possiamo escludere la P.a.goidanichi Baccetti, 1963 che ha una distribuzione più a sud. :hi:

Pagina 1 di 1 Tutti gli orari sono UTC + 1 ora [ ora legale ]
Powered by phpBB® Forum Software © phpBB Group
http://www.phpbb.com/