Benvenuto Ospite

Forum Entomologi Italiani

www.entomologiitaliani.net/forum
 
Oggi è 23/11/2025, 11:54

Tutti gli orari sono UTC + 1 ora [ ora legale ]

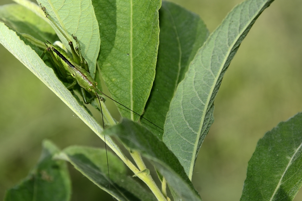
Nneanide di Tettigonia viridissima (Linnaeus, 1758) - Tettigoniidae Tettigoniinae Tettigoniini

30.V.2021 - ITALIA - Lombardia - MI, Bollate


nuovo argomento
rispondi
Pagina 1 di 1 [ 6 messaggi ]
Autore Messaggio
MessaggioInviato: 07/07/2022, 0:23 
Avatar utente

Iscritto il: 10/03/2011, 22:48
Messaggi: 529
Località: Bollate (Milano)
Nome: Massimo Plumari
Queste immagini scattate ormai più di un anno fa riguardano una presunta ninfa di Tettigonia che mi aveva incuriosito per avere la parte posteriore del corpo decisamente malformata. Tra le varie ipotesi che mi vengono in mente ci sono 1) predazione, 2) un qualche accidente accaduto nei precedenti stadi di sviluppo (magari sempre l'attacco di un predatore), 3) il parassitismo da parte di qualche organismo di cui però ignoro l'identità (dato che sembrano esserci delle lesioni compatibili con qualche sfarfallamento).

_DSC4794_049.JPG


_DSC4800_050.JPG



Inserisco delle foto di altri individui, spero conspecifici, che magari possono aiutare per il riconoscimento della specie.

_DSC4772_045.JPG


_DSC4772_046.JPG


_DSC4785_047.JPG


_DSC4785_048.JPG



Questi ortotteri li ho trovati su piante di salicone lungo un piccolo corso d'acqua in una zona prativa del Parco delle Groane e della Brughiera Briantea, in località Castellazzo.

Ringrazio chiunque possa aiutare nell'identificazione e nel suggerimento di altre ipotesi circa la malformazione addominale del primo esemplare.

:hi:

_________________
Massimo Plumari
________________________________________

Rerum natura nusquam magis quam in minimis tota est - Plinio il vecchio (Hist. Nat., XI, 1)


Top
profilo
MessaggioInviato: 07/07/2022, 13:18 
Avatar utente

Iscritto il: 28/05/2009, 16:38
Messaggi: 5035
Nome: luigi lenzini
Io sarei per il tentativo di predazione.
L'ovopositore è diviso e questo fa pensare ad un danno meccanico dall'esterno, mentre sarebbe poco verosimile nel caso di un parassitoide (Nematomorfo?).
Il fatto che il colore indichi decomposizione mi farebbe escludere anche l'esito di una muta riuscita male.


Top
profilo
MessaggioInviato: 10/07/2022, 9:46 
Avatar utente

Iscritto il: 10/03/2011, 22:48
Messaggi: 529
Località: Bollate (Milano)
Nome: Massimo Plumari
Grazie per il tuo parere Luigi. Anche secondo me la predazione rimane l'evento più probabile, seguito poi da necrosi della parte attaccata.

Ma nessuno che conosce un po' questi ortotteri azzarda il nome della specie?

:hi:

_________________
Massimo Plumari
________________________________________

Rerum natura nusquam magis quam in minimis tota est - Plinio il vecchio (Hist. Nat., XI, 1)


Top
profilo
MessaggioInviato: 10/07/2022, 18:25 
Avatar utente

Iscritto il: 28/05/2009, 16:38
Messaggi: 5035
Nome: luigi lenzini
Distinguere Tettigonia viridissima da Tettigonia cantans non è fecilissimo neanche negli adulti. In una ninfa è ancora peggio, specialmente se l'ovipositore è lesionato.


Top
profilo
MessaggioInviato: 11/07/2022, 8:59 
Avatar utente

Iscritto il: 19/06/2012, 14:35
Messaggi: 5640
Località: Alfonsine (RA)
Nome: Marco Villani
Conoscendo la località si può escludere Tettigonia cantans che vive a quote superiori. Rimane Tettigonia viridissima ;)


Top
profilo
MessaggioInviato: 11/07/2022, 22:04 
Avatar utente

Iscritto il: 10/03/2011, 22:48
Messaggi: 529
Località: Bollate (Milano)
Nome: Massimo Plumari
ellelle ha scritto:
Distinguere Tettigonia viridissima da Tettigonia cantans non è fecilissimo neanche negli adulti. In una ninfa è ancora peggio, specialmente se l'ovipositore è lesionato.

marco villa ha scritto:
Conoscendo la località si può escludere Tettigonia cantans che vive a quote superiori. Rimane Tettigonia viridissima ;)


Grazie ad entrambi per l'aiuto :birra:

:hi:

_________________
Massimo Plumari
________________________________________

Rerum natura nusquam magis quam in minimis tota est - Plinio il vecchio (Hist. Nat., XI, 1)


Top
profilo
Visualizza ultimi messaggi:  Ordina per  
nuovo argomento
rispondi
Pagina 1 di 1 [ 6 messaggi ]

Tutti gli orari sono UTC + 1 ora [ ora legale ]


Chi c’è in linea

Visitano il forum: Nessuno e 4 ospiti


Non puoi aprire nuovi argomenti
Non puoi rispondere negli argomenti
Non puoi modificare i tuoi messaggi
Non puoi cancellare i tuoi messaggi
Non puoi inviare allegati

Cerca per:
Vai a: