Benvenuto Ospite

Forum Entomologi Italiani

www.entomologiitaliani.net/forum
 
Oggi è 24/12/2025, 17:21

Tutti gli orari sono UTC + 1 ora [ ora legale ]

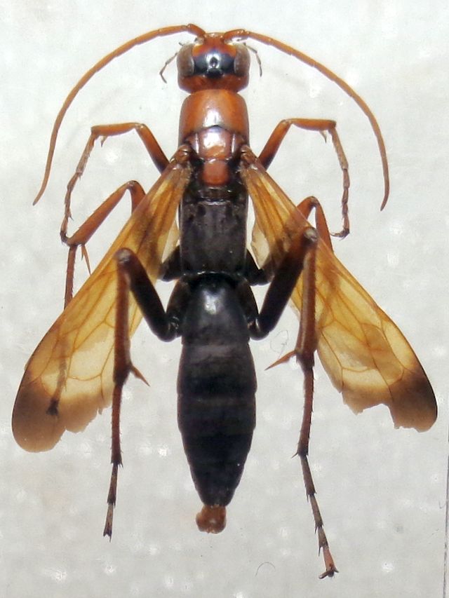
Cryptocheilus (Cryptocheilus) discolor (Fabricius, 1793) ♂ "longicollis" - Pompilidae Pepsinae

1.VI.2019 - ITALIA - Sicilia - TP, golfo di Cofano, dint. di Macari


nuovo argomento
rispondi
Pagina 1 di 1 [ 2 messaggi ]
Autore Messaggio
MessaggioInviato: 19/11/2020, 23:28 
 

Iscritto il: 08/12/2013, 1:52
Messaggi: 7592
Località: Bagnacavallo (RA)
Nome: Giorgio Pezzi
Con le chiavi di Day sono riuscito ad identificare, credo correttamente, questa maschio della "forma longicollis" di 15 mm. Una conferma però mi è gradita. :)
:hi:
DSC04413.JPG



DSC04415.JPG

DSC04420.JPG

DSC04421.JPG

DSC04417.JPG

DSC04423.JPG

Top
profilo
MessaggioInviato: 24/11/2020, 20:09 
 

Iscritto il: 08/12/2013, 1:52
Messaggi: 7592
Località: Bagnacavallo (RA)
Nome: Giorgio Pezzi
A mio uso, qualcuno ha un maschio "normale" da allegare al post? Io ho solo femmine e questo maschio "allungato". :D


Top
profilo
Visualizza ultimi messaggi:  Ordina per  
nuovo argomento
rispondi
Pagina 1 di 1 [ 2 messaggi ]

Tutti gli orari sono UTC + 1 ora [ ora legale ]


Chi c’è in linea

Visitano il forum: Nessuno e 1 ospite


Non puoi aprire nuovi argomenti
Non puoi rispondere negli argomenti
Non puoi modificare i tuoi messaggi
Non puoi cancellare i tuoi messaggi
Non puoi inviare allegati

Cerca per:
Vai a: