| Autore |
Messaggio |
|
Velvet Ant
|
Inviato: 03/05/2014, 15:44 |
|
| Amministratore |
 |
Iscritto il: 02/02/2009, 23:30 Messaggi: 7105 Località: Capaci (Pa)
Nome: Marcello Romano
|
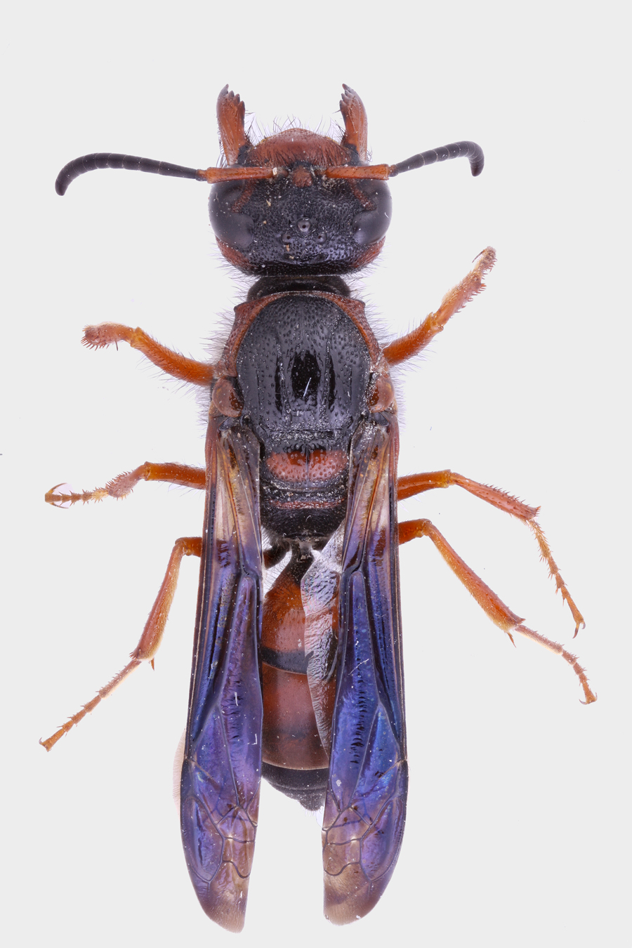
Di questo Imenottero (Vespoideo?) quello che mi ha maggiormente impressionato non è tanto la lunghezza delle mandibole, seppur ragguardevole, quanto quella dei palpi mascellari, veramente spropositati. Di cosa potrebbe trattarsi? Lunghezza: 13 mm Qui l'immagine alla massima risoluzione Qui l'immagine alla massima risoluzione Qui l'immagine alla massima risoluzione
_________________ Marcello Romano
|
|
| Top |
|
 |
|
Julodis
|
Inviato: 03/05/2014, 16:25 |
|
Iscritto il: 30/12/2009, 22:20 Messaggi: 31564 Località: Roma
Nome: Maurizio Gigli
|
|
Che ci farà con tutti quei peli? Ci assorbirà la linfa?
|
|
| Top |
|
 |
|
Andricus
|
Inviato: 03/05/2014, 17:39 |
|
Iscritto il: 01/07/2010, 22:26 Messaggi: 5661 Località: Viterbo
Nome: Marco Selis
|
Bello bello bello!!! Le ali piegate indicano che è chiaramente un Vespidae, con quei palpi labiali appiattiti e enormi ci sono ben pochi generi e solo uno con l'ultimo articolo curvo: Onychopterocheilus. Ora vedo se con le chiavi in mio possesso posso arrivare alla specie 
|
|
| Top |
|
 |
|
Alessio89
|
Inviato: 03/05/2014, 18:10 |
|
Iscritto il: 23/06/2010, 19:05 Messaggi: 2588 Località: Pescara
Nome: Alessio Morelli
|
Julodis ha scritto: Che ci farà con tutti quei peli? Ci assorbirà la linfa? ...o forse, dato che mi da l'impressione di essere una vespa solitaria, ci trasporterà la classica pallina di terra o qualche altro materiale per costruire il nido  . Foto eccezionali come sempre 
|
|
| Top |
|
 |
|
Velvet Ant
|
Inviato: 03/05/2014, 19:32 |
|
| Amministratore |
 |
Iscritto il: 02/02/2009, 23:30 Messaggi: 7105 Località: Capaci (Pa)
Nome: Marcello Romano
|
Andricus ha scritto: Bello bello bello!!! Le ali piegate indicano che è chiaramente un Vespidae, con quei palpi labiali appiattiti e enormi ci sono ben pochi generi e solo uno con l'ultimo articolo curvo: Onychopterocheilus. Ora vedo se con le chiavi in mio possesso posso arrivare alla specie  Marco, credo che i palpi in questione siano quelli mascellari.
_________________ Marcello Romano
|
|
| Top |
|
 |
|
Andricus
|
Inviato: 03/05/2014, 19:44 |
|
Iscritto il: 01/07/2010, 22:26 Messaggi: 5661 Località: Viterbo
Nome: Marco Selis
|
Ammetto di non conoscere bene l'anatomia dell'apparato boccale degli Imenotteri, ma in tutte le chiavi ho trovato che in questo gruppo di generi i palpi più sviluppati sono quelli labiali, mentre i palpi normali sono i mascellari A proposito, i palpi normalmente sviluppati hanno 5 o 6 articoli?
|
|
| Top |
|
 |
|
Velvet Ant
|
Inviato: 03/05/2014, 19:52 |
|
| Amministratore |
 |
Iscritto il: 02/02/2009, 23:30 Messaggi: 7105 Località: Capaci (Pa)
Nome: Marcello Romano
|
Potrei essere io a sbagliarmi. Ora realizzo una foto in cui si vedono tutti i palpi così mi chiarisco le idee 
_________________ Marcello Romano
|
|
| Top |
|
 |
|
Hemerobius
|
Inviato: 03/05/2014, 19:56 |
|
Iscritto il: 02/02/2009, 23:32 Messaggi: 5645 Località: da Ferrara ad Alghero
Nome: Roberto A. Pantaleoni
|
Un Vespidae Con quelle mandibole secondo me è un Eumenide, e l'apparato boccale è conformato per costruire il nido pedotrofico. Come ha ben detto Alessio tutta quella "peluria" servirà per costruire la classica pallina con la "polvere" del deserto (che è veramente POLVERE). Roberto 
_________________ verum stabile cetera fumus
|
|
| Top |
|
 |
|
Andricus
|
Inviato: 03/05/2014, 20:06 |
|
Iscritto il: 01/07/2010, 22:26 Messaggi: 5661 Località: Viterbo
Nome: Marco Selis
|
Hemerobius ha scritto: Un Vespidae Con quelle mandibole secondo me è un Eumenide Gli Eumenidi da un po' di tempo sono diventati sottofamiglia dei Vespidi  Hemerobius ha scritto: e l'apparato boccale è conformato per costruire il nido pedotrofico. Come ha ben detto Alessio tutta quella "peluria" servirà per costruire la classica pallina con la "polvere" del deserto (che è veramente POLVERE). Esatto, i palpi aiutano nel raccogliere e trasportare le palline di terra che vengono poi utilizzate per rivestire le cellette poste ai lati di una galleria verticale nel terreno.
|
|
| Top |
|
 |
|
Velvet Ant
|
Inviato: 03/05/2014, 21:05 |
|
| Amministratore |
 |
Iscritto il: 02/02/2009, 23:30 Messaggi: 7105 Località: Capaci (Pa)
Nome: Marcello Romano
|
Ecco ancora un'altra immagine dell'intero apparato boccale, in cui sono ben visibili le due paia di palpi. Qui l'immagine alla massima risoluzione.
_________________ Marcello Romano
|
|
| Top |
|
 |
|
Andricus
|
Inviato: 03/05/2014, 21:17 |
|
Iscritto il: 01/07/2010, 22:26 Messaggi: 5661 Località: Viterbo
Nome: Marco Selis
|
|
Curioso, i palpi "normali" presentano 5 articoli e questo porterebbe a Pterocheilus, ma l'ultimo articolo dei palpi "dilatati" è curvo e questo carattere è tipico di Onychopterocheilus. Ci sono anche altri caratteri che mi quadrano poco, il clipeo con il margine ventrale così dritto è da Pterocheilus (Onychopterocheilus di solito lo ha emarginato) e il mesonoto con i solchi parapsidali è da Onychopterocheilus (Pterocheilus non ha mai i solchi).
|
|
| Top |
|
 |
|
Hemerobius
|
Inviato: 03/05/2014, 21:20 |
|
Iscritto il: 02/02/2009, 23:32 Messaggi: 5645 Località: da Ferrara ad Alghero
Nome: Roberto A. Pantaleoni
|
Andricus ha scritto: ... Gli Eumenidi da un po' di tempo sono diventati sottofamiglia dei Vespidi  ... Touché! L'imprinting giovanile si conserva anche in età senile  ! Roberto 
_________________ verum stabile cetera fumus
|
|
| Top |
|
 |
|
Velvet Ant
|
Inviato: 03/05/2014, 21:37 |
|
| Amministratore |
 |
Iscritto il: 02/02/2009, 23:30 Messaggi: 7105 Località: Capaci (Pa)
Nome: Marcello Romano
|
Marco, avevi ragione tu: quelli sviluppati sono i palpi labiali. In effetti i rappresentanti del genere Pterocheilus somigliano molto al nostro (vedi questo disegno).
_________________ Marcello Romano
|
|
| Top |
|
 |
|
Andricus
|
Inviato: 08/05/2014, 22:18 |
|
Iscritto il: 01/07/2010, 22:26 Messaggi: 5661 Località: Viterbo
Nome: Marco Selis
|
|
Ho provato a sottoporre le foto dell'esemplare a James M. Carpenter, specialista di Vespidi, e dice che senza sapere il numero dei segmenti dei palpi mascellari (5 o 6) non si può neanche essere sicuri del genere.
|
|
| Top |
|
 |
|
Velvet Ant
|
Inviato: 08/05/2014, 23:46 |
|
| Amministratore |
 |
Iscritto il: 02/02/2009, 23:30 Messaggi: 7105 Località: Capaci (Pa)
Nome: Marcello Romano
|
_________________ Marcello Romano
|
|
| Top |
|
 |
|