Benvenuto Ospite

Forum Entomologi Italiani

www.entomologiitaliani.net/forum
 
Oggi è 24/12/2025, 23:23

Tutti gli orari sono UTC + 1 ora [ ora legale ]

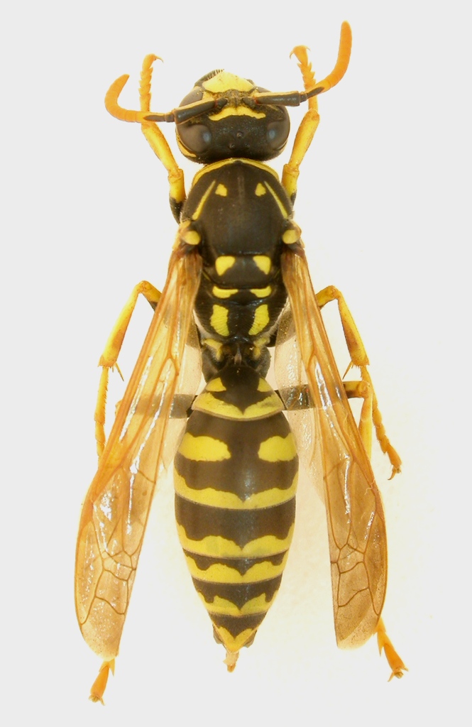
Polistes (Polistes) dominula (Christ, 1791) Dettagli della specie

9.III.2015 - MALTA - EE, isola di Malta, Ta' Lippija, R. Rattu leg.


nuovo argomento
rispondi
Pagina 1 di 1 [ 3 messaggi ]
Autore Messaggio
MessaggioInviato: 16/12/2015, 20:06 
Avatar utente

Iscritto il: 02/09/2009, 20:57
Messaggi: 8703
Località: Cagliari
Nome: Roberto Rattu
Altra Polistes maltese; questo esemplare proviene dalla località di Ta' Lippija. Siamo lungo la costa nord-occidentale, una delle zone dell'isola di Malta che ho investigato in maniera più approfondita:

DSCN1063.JPG


DSCN1064.JPG



Top
profilo
 Oggetto del messaggio: Re: Polistes da id.
MessaggioInviato: 16/12/2015, 20:09 
Avatar utente

Iscritto il: 01/07/2010, 22:26
Messaggi: 5650
Località: Viterbo
Nome: Marco Selis
Se, come immagino, l'ultimo sternite è ampiamente giallo allora è la solita P. dominula :cry:


Top
profilo
 Oggetto del messaggio: Re: Polistes da id.
MessaggioInviato: 16/12/2015, 20:15 
Avatar utente

Iscritto il: 02/09/2009, 20:57
Messaggi: 8703
Località: Cagliari
Nome: Roberto Rattu
Andricus ha scritto:
Se, come immagino, l'ultimo sternite è ampiamente giallo allora è la solita P. dominula :cry:

Sì, confermo la colorazione :|

:hi:


Top
profilo
Visualizza ultimi messaggi:  Ordina per  
nuovo argomento
rispondi
Pagina 1 di 1 [ 3 messaggi ]

Tutti gli orari sono UTC + 1 ora [ ora legale ]


Chi c’è in linea

Visitano il forum: Nessuno e 1 ospite


Non puoi aprire nuovi argomenti
Non puoi rispondere negli argomenti
Non puoi modificare i tuoi messaggi
Non puoi cancellare i tuoi messaggi
Non puoi inviare allegati

Cerca per:
Vai a: