Forum Entomologi Italiani
https://www.entomologiitaliani.net/public/forum/phpBB3/

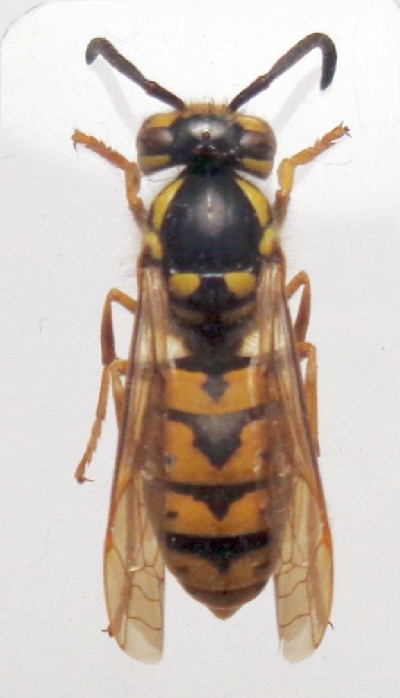
Vespula germanica (Fabricius, 1793) - Vespidae
https://www.entomologiitaliani.net/public/forum/phpBB3/viewtopic.php?f=134&t=93709
Pagina 1 di 1

Autore:  Chalybion [ 19/12/2020, 12:49 ]
Oggetto del messaggio:  Vespula germanica (Fabricius, 1793) - Vespidae

Ritengo che sia una Vespula (Paravespula) germanica (Fabricius, 1793) ma magari una ssp. particolare?
:hi:
DSC04964.JPG



Allegati:
DSC04966.JPG

DSC04965.JPG


Autore:  Andricus [ 19/12/2020, 12:55 ]
Oggetto del messaggio:  Re: Vespula da ID

Vespula germanica, nei Vespinae non è riconosciuta alcuna sottospecie :hi:

Autore:  Chalybion [ 19/12/2020, 21:04 ]
Oggetto del messaggio:  Re: Vespula da ID

Meglio, cartellino più semplice. :D
Grazie! :hi:

Pagina 1 di 1 Tutti gli orari sono UTC + 1 ora [ ora legale ]
Powered by phpBB® Forum Software © phpBB Group
http://www.phpbb.com/