| Forum Entomologi Italiani https://www.entomologiitaliani.net/public/forum/phpBB3/ |
|
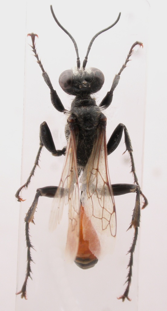
| Prionyx lividocinctus (A. Costa, 1858) - Sphecidae https://www.entomologiitaliani.net/public/forum/phpBB3/viewtopic.php?f=135&t=70352 |
Pagina 1 di 1 |
| Autore: | Fumea crassiorella [ 19/08/2016, 19:49 ] |
| Oggetto del messaggio: | Prionyx lividocinctus (A. Costa, 1858) - Sphecidae |
Esemplare lungo 15 mm, raccolto sui fiori di una piccola ombrellifera: |
|
| Autore: | Pietro Niolu [ 20/08/2016, 11:42 ] |
| Oggetto del messaggio: | Re: Sphecidae da id. |
Ad occhiometro Prionyx forse lividocinctus. Da verificare: - se le spine tibiali sono tutte chiare o se quelle della zampe poteriori sono più scure di quelle delle altre zampe - se lo scutello è piano oppute con i margini rilevati - è un maschioo una femmina |
|
| Autore: | Fumea crassiorella [ 21/08/2016, 11:46 ] |
| Oggetto del messaggio: | Re: Sphecidae da id. |
Ciao Pietro, confermo spine tibiali delle zampe posteriori più scure rispetto alle altre e margini dello scutello rilevati; è un maschio.
|
|
| Autore: | Pietro Niolu [ 21/08/2016, 12:22 ] |
| Oggetto del messaggio: | Re: Sphecidae da id. |
Con questi segni, a dispetto dell'occhimetro, dovrebbe trattarsi di una Prionyx kirbii. Dato che si tratta di un maschio verifica questi altri segni: Metapleura liscia ----> kirbii Metapleura striata trasversalmente ----> lividocintus Notauli formati da solchi ----> kirbii Notauli formati da carene ----> lividocintus Scutello con impronta mediana ----> kirbii Scutello senza impronta mediana ----> lividocintus |
|
| Autore: | Fumea crassiorella [ 21/08/2016, 16:26 ] |
| Oggetto del messaggio: | Re: Sphecidae da id. |
Grazie, i caratteri portano a lividocinctus
|
|
| Autore: | Pietro Niolu [ 21/08/2016, 17:32 ] |
| Oggetto del messaggio: | Re: Prionyx lividocinctus (A. Costa, 1858) - Sphecidae |
|
|
| Pagina 1 di 1 | Tutti gli orari sono UTC + 1 ora [ ora legale ] |
| Powered by phpBB® Forum Software © phpBB Group http://www.phpbb.com/ |
|