Benvenuto Ospite

Forum Entomologi Italiani

www.entomologiitaliani.net/forum
 
Oggi è 23/11/2025, 18:37

Tutti gli orari sono UTC + 1 ora [ ora legale ]

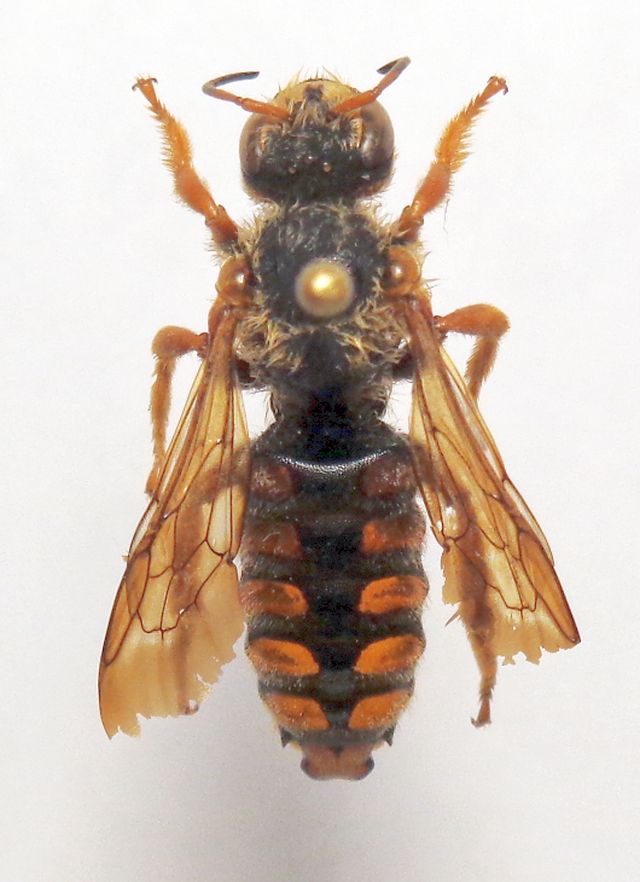
Rhodanthidium siculum (Spinola, 1838) - Megachilidae

14.VI.2019 - ITALIA - Sicilia - TP, San Vito lo Capo


nuovo argomento
rispondi
Pagina 1 di 1 [ 1 messaggio ]
Autore Messaggio
MessaggioInviato: 26/01/2021, 20:44 
 

Iscritto il: 08/12/2013, 1:52
Messaggi: 7566
Località: Bagnacavallo (RA)
Nome: Giorgio Pezzi
mm 19; esemplare spelacchiato raccolto da M. Pavesi e che vidi ma mi sfuggì una quindicina di gg dopo quando ero da quelle parti. :x . Curioso l'apparato edeagico "cancriforme"! Specie che non ho trovato nel Forum.
:hi:
DSC05351.JPG



DSC05350.JPG

DSC05348.JPG

DSC05355.JPG

DSC05363.JPG

DSC05365.JPG

DSC05364.JPG

Top
profilo
Visualizza ultimi messaggi:  Ordina per  
nuovo argomento
rispondi
Pagina 1 di 1 [ 1 messaggio ]

Tutti gli orari sono UTC + 1 ora [ ora legale ]


Chi c’è in linea

Visitano il forum: Nessuno e 1 ospite


Non puoi aprire nuovi argomenti
Non puoi rispondere negli argomenti
Non puoi modificare i tuoi messaggi
Non puoi cancellare i tuoi messaggi
Non puoi inviare allegati

Cerca per:
Vai a: