Benvenuto Ospite

Forum Entomologi Italiani

www.entomologiitaliani.net/forum
 
Oggi è 28/05/2026, 13:49

Tutti gli orari sono UTC + 1 ora [ ora legale ]

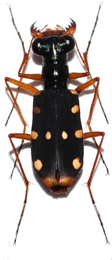
Thopeutica (Thopeutica) diana (J.Thomson, 1859) - Cicindelidae

X.2011 - INDONESIA - EST - EE, Laika /Camba


nuovo argomento
rispondi
Pagina 1 di 1 [ 3 messaggi ]
Autore Messaggio
MessaggioInviato: 13/09/2012, 8:24 
Avatar utente

Iscritto il: 09/11/2009, 14:12
Messaggi: 5199
Località: Hradec Kralove,Czech republik
Nome: Jan Matějíček
Thopeutica (Thopeutica) diana (J.Thomson, 1859)


Thopeutica (Thopeutica) diana (J.Thomson, 1859) (2).JPG

Thopeutica (Thopeutica) diana (J.Thomson, 1859) - Kopie.JPG


_________________
Research Fields
Taxonomy, ecology, biomonitoring , faunistic of Staphylinidae
Top
profilo
MessaggioInviato: 13/09/2012, 9:37 
Avatar utente

Iscritto il: 22/09/2009, 20:44
Messaggi: 384
Nome: Leonardo Platania
Beautiful eyes... :lov3: :lov3: I love it :mrgreen:

_________________
"Considerate la vostra semenza:
fatti non foste a viver come bruti
ma per seguir virtute e conoscenza."

Dante Inf. XXVI 118-120


Immagine


Top
profilo
MessaggioInviato: 13/09/2012, 15:03 
Avatar utente

Iscritto il: 18/02/2009, 0:24
Messaggi: 3909
Località: Asciano (Siena)
Nome: Andrea Petrioli
Certo che questa Cicindela ha scelto proprio un brutto luogo dove vivere........... :shock: :o :shock:


Grazie Jan per la bella scheda :birra:

_________________
:hi:
______
Andrea


Top
profilo
Visualizza ultimi messaggi:  Ordina per  
nuovo argomento
rispondi
Pagina 1 di 1 [ 3 messaggi ]

Tutti gli orari sono UTC + 1 ora [ ora legale ]


Chi c’è in linea

Visitano il forum: Nessuno e 13 ospiti


Non puoi aprire nuovi argomenti
Non puoi rispondere negli argomenti
Non puoi modificare i tuoi messaggi
Non puoi cancellare i tuoi messaggi
Non puoi inviare allegati

Cerca per:
Vai a: