Benvenuto Ospite

Forum Entomologi Italiani

www.entomologiitaliani.net/forum
 
Oggi è 31/03/2026, 4:05

Tutti gli orari sono UTC + 1 ora [ ora legale ]

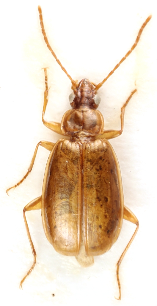
Homalodera testacea Jeannel, 1962 - Carabidae

8.III.2015 - CILE - EE, Valdivia


nuovo argomento
rispondi
Pagina 1 di 1 [ 2 messaggi ]
Autore Messaggio
MessaggioInviato: 06/10/2025, 19:22 
Avatar utente

Iscritto il: 03/05/2016, 18:05
Messaggi: 662
Località: Manerbio (BS)
Nome: Niccolò Massimo
Buonasera!

È da un po' che ho questa Homalodera dal Cile che gira nelle scatole magazzino e vorrei chiedere se qualcuno ha qualche idea di che specie possa essere. Può essere magari la testacea? :roll: Lunghezza: 5 mm.

oma_1 - Copia.JPG



Grazie!


Top
profilo
 Oggetto del messaggio: Re: Homalodera da identificare
MessaggioInviato: 09/10/2025, 11:33 
Avatar utente

Iscritto il: 01/11/2010, 21:21
Messaggi: 2111
Località: Brescia
Nome: Mario Grottolo
Homalodera testacea Jeannel, 1962
Ciao
Mario


Top
profilo
Visualizza ultimi messaggi:  Ordina per  
nuovo argomento
rispondi
Pagina 1 di 1 [ 2 messaggi ]

Tutti gli orari sono UTC + 1 ora [ ora legale ]


Chi c’è in linea

Visitano il forum: Nessuno e 6 ospiti


Non puoi aprire nuovi argomenti
Non puoi rispondere negli argomenti
Non puoi modificare i tuoi messaggi
Non puoi cancellare i tuoi messaggi
Non puoi inviare allegati

Cerca per:
Vai a:  
cron