Benvenuto Ospite

Forum Entomologi Italiani

www.entomologiitaliani.net/forum
 
Oggi è 25/05/2026, 4:06

Tutti gli orari sono UTC + 1 ora [ ora legale ]

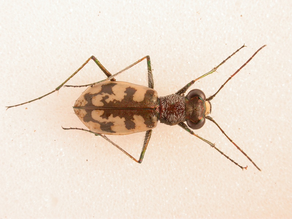
Cephalota (Taenidia) circumdata (Dejean in Latreille & Dejean 1822) - Carabidae Cicindelinae

3.IX.2010 - ITALIA - Sardegna - CA, del circondario di Cagliari (Saline)


nuovo argomento
rispondi
Pagina 1 di 1 [ 1 messaggio ]
Autore Messaggio
MessaggioInviato: 03/09/2010, 17:43 
Avatar utente

Iscritto il: 02/09/2009, 20:57
Messaggi: 8703
Località: Cagliari
Nome: Roberto Rattu
Una Cephalota (Taenidia) circumdata del circondario di Cagliari (Saline), fresca di giornata (presa il 3 settembre 2010):


DSCN5419.JPG

Top
profilo
Visualizza ultimi messaggi:  Ordina per  
nuovo argomento
rispondi
Pagina 1 di 1 [ 1 messaggio ]

Tutti gli orari sono UTC + 1 ora [ ora legale ]


Chi c’è in linea

Visitano il forum: Nessuno e 8 ospiti


Non puoi aprire nuovi argomenti
Non puoi rispondere negli argomenti
Non puoi modificare i tuoi messaggi
Non puoi cancellare i tuoi messaggi
Non puoi inviare allegati

Cerca per:
Vai a: