Benvenuto Ospite

Forum Entomologi Italiani

www.entomologiitaliani.net/forum
 
Oggi è 02/02/2026, 1:19

Tutti gli orari sono UTC + 1 ora [ ora legale ]

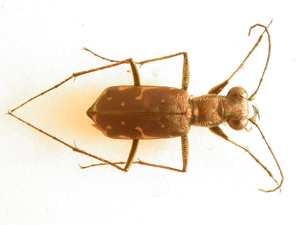
Myriochila (Myriochila) melancholica (Fabricius 1798) - Carabidae

12.X.2010 - ITALIA - Sardegna - CA, Capo S.Elia


nuovo argomento
rispondi
Pagina 1 di 1 [ 2 messaggi ]
Autore Messaggio
MessaggioInviato: 13/10/2010, 8:55 
Avatar utente

Iscritto il: 02/09/2009, 20:57
Messaggi: 8703
Località: Cagliari
Nome: Roberto Rattu
Dopo una serata passata a preparare lezioni e a scrivere un articolo, una breve caccia al lume dietro casa ci voleva. Non è arrivato molto, ma è la prima volta che catturo un cicindelide alla lampada: una Myriochila (Myriochila) melancholica proveniente da Capo S.Elia (Cagliari), 12 ottobre 2010. Tra l'altro nel bel lavoro di R. Lisa sulle cicindele ho letto che proprio questa specie può essere attirata dalle fonti luminose...


DSCN5807.JPG

Top
profilo
MessaggioInviato: 18/10/2010, 9:43 
 

Iscritto il: 04/10/2010, 19:51
Messaggi: 1
Nome: Roberto Lisa
A precisazione di quanto sopra, il lavoro sulle Cicindele è di mio figlio Tommaso. Confermo che melancholica può essere attirata dalle luci. Un saluto


Top
profilo
Visualizza ultimi messaggi:  Ordina per  
nuovo argomento
rispondi
Pagina 1 di 1 [ 2 messaggi ]

Tutti gli orari sono UTC + 1 ora [ ora legale ]


Chi c’è in linea

Visitano il forum: Nessuno e 2 ospiti


Non puoi aprire nuovi argomenti
Non puoi rispondere negli argomenti
Non puoi modificare i tuoi messaggi
Non puoi cancellare i tuoi messaggi
Non puoi inviare allegati

Cerca per:
Vai a:  
cron