| Autore |
Messaggio |
|
Plagionotus
|
Inviato: 22/12/2010, 20:34 |
|
Iscritto il: 21/05/2009, 14:59 Messaggi: 6994 Località: Parigi
Nome: Riccardo Poloni
|
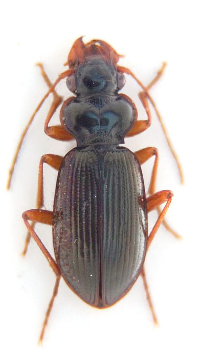
Trovato sotto una pietra a sua volta sotto a un abete che a sua volta stava sotto un piccolo bordo di roccia  . Maurizio (Gomphus) mi aveva detto una specie ma io non me la ricordo, ovviamente  . ITALY-LOMBARDIA (BG) Mt.Pora, 1600 m 7.VII.2010, Riccardo Poloni legit
_________________ Riccardo Poloni La dignità degli elementi la libertà della poesia, al di là dei tradimenti degli uomini è magia, è magia, è magia... Negrita, Rotolando verso sud
|
|
| Top |
|
 |
|
StagBeetle
|
Inviato: 22/12/2010, 20:44 |
|
Iscritto il: 10/05/2009, 15:30 Messaggi: 7182 Località: Ancona
Nome: Giacomo Giovagnoli
|
Leistus (Pogonophorus) rufomarginatus (Duftschmid, 1812)??? Ciao 
_________________  Giacomo
|
|
| Top |
|
 |
|
Plagionotus
|
Inviato: 22/12/2010, 20:48 |
|
Iscritto il: 21/05/2009, 14:59 Messaggi: 6994 Località: Parigi
Nome: Riccardo Poloni
|
Non chiederlo a me...se non lo sai tu  . Aspettiamo un "Carabo" più "ferrato"* *adesso che c'è la neve anche i carabi come Pavesi montano le zampe da neve (perchè quelle chiodate sono proibite) 
_________________ Riccardo Poloni La dignità degli elementi la libertà della poesia, al di là dei tradimenti degli uomini è magia, è magia, è magia... Negrita, Rotolando verso sud
|
|
| Top |
|
 |
|
pedux
|
Inviato: 22/12/2010, 21:05 |
|
Iscritto il: 06/02/2009, 9:07 Messaggi: 1493 Località: Val Camonica (BS)
Nome: Davide Pedersoli
|
|
Leistus nitidus????
_________________ Pedux Camuno
|
|
| Top |
|
 |
|
aug
|
Inviato: 22/12/2010, 21:36 |
|
Iscritto il: 05/02/2009, 17:44 Messaggi: 2691 Località: Garbagnate Milanese
Nome: Augusto Franzini
|
|
Un carattere diagnostico importante (la lunghezza relativa fra 3 e 5 articolo antennale) non si apprezza dalla foto. Il più comune fra quelli plausibili è il L. fulvibarbis Dejean...il nitidus Duft. mi pare più allungato.
_________________ Augusto (aug) Prediction is very difficult, especially about the future (Niels Bohr, fisico)
|
|
| Top |
|
 |
|
pedux
|
Inviato: 22/12/2010, 21:42 |
|
Iscritto il: 06/02/2009, 9:07 Messaggi: 1493 Località: Val Camonica (BS)
Nome: Davide Pedersoli
|
ma il fulvibarbis dovrebbe esserci solo nelle Alpi occidentali e poi al centro sud......boooooooooo, aspettiamo gomphus......cmq non ho mai trovato Leistus sul Pora 
_________________ Pedux Camuno
|
|
| Top |
|
 |
|
Plagionotus
|
Inviato: 23/12/2010, 17:54 |
|
Iscritto il: 21/05/2009, 14:59 Messaggi: 6994 Località: Parigi
Nome: Riccardo Poloni
|
La prossima volta andiamo insieme. Sai te quante cose non ho trovato io?  . Quando ho tempo faccio la foto delle antenne.
_________________ Riccardo Poloni La dignità degli elementi la libertà della poesia, al di là dei tradimenti degli uomini è magia, è magia, è magia... Negrita, Rotolando verso sud
|
|
| Top |
|
 |
|
pedux
|
Inviato: 23/12/2010, 20:45 |
|
Iscritto il: 06/02/2009, 9:07 Messaggi: 1493 Località: Val Camonica (BS)
Nome: Davide Pedersoli
|
|
_________________ Pedux Camuno
|
|
| Top |
|
 |
|
pedux
|
Inviato: 28/12/2010, 12:03 |
|
Iscritto il: 06/02/2009, 9:07 Messaggi: 1493 Località: Val Camonica (BS)
Nome: Davide Pedersoli
|
ma non si è ancora scoperto che specie è.... 
_________________ Pedux Camuno
|
|
| Top |
|
 |
|
Plagionotus
|
Inviato: 28/12/2010, 16:37 |
|
Iscritto il: 21/05/2009, 14:59 Messaggi: 6994 Località: Parigi
Nome: Riccardo Poloni
|
Perchè io non posso ancora modificare le immagini. Siccome il computer dove ho i programmi di grafica è rotto, non posso inserire le foto che forse farò oggi sul forum. Appenna quel pirla di mio fratello lo aggiusta le inserisco 
_________________ Riccardo Poloni La dignità degli elementi la libertà della poesia, al di là dei tradimenti degli uomini è magia, è magia, è magia... Negrita, Rotolando verso sud
|
|
| Top |
|
 |
|
cosmln
|
Inviato: 28/12/2010, 17:16 |
|
Iscritto il: 26/03/2010, 14:55 Messaggi: 5989 Località: Romania
Nome: Cosmin-Ovidiu Manci
|
Plagionotus ha scritto: Perchè io non posso ancora modificare le immagini. Siccome il computer dove ho i programmi di grafica è rotto, non posso inserire le foto che forse farò oggi sul forum. Appenna quel pirla di mio fratello lo aggiusta le inserisco  maybe this can help... hope that you don't mind 
_________________ Cosmin-Ovidiu Manci ********************** cosmln's place - my blogjust insectsDragonflies of Romania
|
|
| Top |
|
 |
|
gomphus
|
Inviato: 28/12/2010, 18:02 |
|
Iscritto il: 05/02/2009, 17:31 Messaggi: 9527 Località: milano
Nome: maurizio pavesi
|
allora, mi sono finalmente deciso  a fare qualche confrontucchio  , dato che dalla foto non era così facile bene, anzi male  ... temo che non sia esattamente una grande rarità Leistus (s. str.) nitidus (Duftschmid, 1812) nota Plagionotus ha scritto: ... Aspettiamo un "Carabo" più "ferrato"* *adesso che c'è la neve anche i carabi come Pavesi montano le zampe da neve (perchè quelle chiodate sono proibite) ti contraddico  ... adesso che c'è la neve i carabi come il C. pavesii  , specie spiccatamente termofila e... frigofoba  si sono fatti una celletta foderata con tutto ciò che di caldo e morbido sono riusciti a trovare  , ci si sono chiusi dentro e ne escono solo quando finiscono le provviste  ...
_________________ ***************** maurizio
|
|
| Top |
|
 |
|
pedux
|
Inviato: 28/12/2010, 18:06 |
|
Iscritto il: 06/02/2009, 9:07 Messaggi: 1493 Località: Val Camonica (BS)
Nome: Davide Pedersoli
|
|
_________________ Pedux Camuno
|
|
| Top |
|
 |
|
cosmln
|
Inviato: 28/12/2010, 18:23 |
|
Iscritto il: 26/03/2010, 14:55 Messaggi: 5989 Località: Romania
Nome: Cosmin-Ovidiu Manci
|
gomphus ha scritto: Plagionotus ha scritto: *adesso che c'è la neve anche i carabi come Pavesi montano le zampe da neve (perchè quelle chiodate sono proibite) ti contraddico  ... adesso che c'è la neve i carabi come il C. pavesii  , specie spiccatamente termofila e... frigofoba  si sono fatti una celletta foderata con tutto ciò che di caldo e morbido sono riusciti a trovare  , ci si sono chiusi dentro e ne escono solo quando finiscono le provviste  ... 
_________________ Cosmin-Ovidiu Manci ********************** cosmln's place - my blogjust insectsDragonflies of Romania
|
|
| Top |
|
 |
|
Plagionotus
|
Inviato: 28/12/2010, 23:39 |
|
Iscritto il: 21/05/2009, 14:59 Messaggi: 6994 Località: Parigi
Nome: Riccardo Poloni
|
|
_________________ Riccardo Poloni La dignità degli elementi la libertà della poesia, al di là dei tradimenti degli uomini è magia, è magia, è magia... Negrita, Rotolando verso sud
|
|
| Top |
|
 |
|