Benvenuto Ospite

Forum Entomologi Italiani

www.entomologiitaliani.net/forum
 
Oggi è 20/03/2026, 22:34

Tutti gli orari sono UTC + 1 ora [ ora legale ]

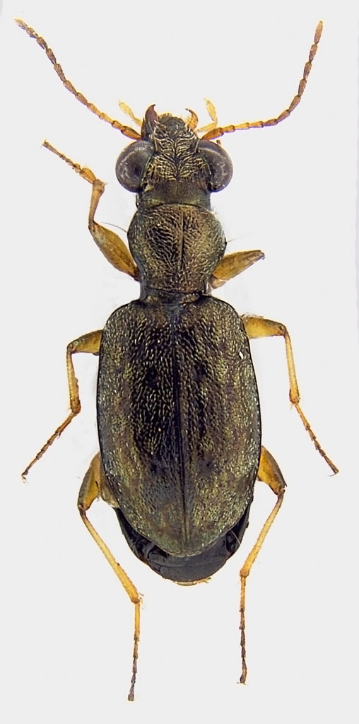
Asaphidion flavipes (Linnaeus, 1761) - Carabidae

30.I.2011 - ITALIA - Veneto - BL, Feltre: Foen Loc. Fornace 46° 2'35"N 11°55'3"E


nuovo argomento
rispondi
Pagina 1 di 1 [ 6 messaggi ]
Autore Messaggio
MessaggioInviato: 03/02/2011, 19:40 
Avatar utente

Iscritto il: 08/06/2009, 0:06
Messaggi: 3415
Località: Feltre(BL)
Nome: Nicola Dal Zotto
Per dare un po di tregua alla memoria, ho fatto qualche foto anche se un po veloce (e si vede :oops: ).
Questi sono usciti da una vagliata...credo siano specie comuni ma non ne so nulla di questa famiglia.
Nicola
carab1f.jpg


_________________
Nicola Dal Zotto


Top
profilo
 Oggetto del messaggio: Re: Carabidae 1
MessaggioInviato: 03/02/2011, 19:49 
Avatar utente

Iscritto il: 05/02/2009, 17:31
Messaggi: 9527
Località: milano
Nome: maurizio pavesi
ciao nicola

Asaphidion flavipes (Linnaeus, 1761)

_________________
*****************
Immagine maurizio


Top
profilo
 Oggetto del messaggio: Re: Carabidae 1
MessaggioInviato: 03/02/2011, 19:53 
Avatar utente

Iscritto il: 08/06/2009, 0:06
Messaggi: 3415
Località: Feltre(BL)
Nome: Nicola Dal Zotto
gomphus ha scritto:
ciao nicola

Asaphidion flavipes (Linnaeus, 1761)

Grazie!!!! :lov2:

_________________
Nicola Dal Zotto


Top
profilo
MessaggioInviato: 03/02/2011, 19:57 
Avatar utente

Iscritto il: 22/05/2009, 21:00
Messaggi: 2781
Località: Pergine Valsugana (TN)
Nome: Andrea Carlin
:hi: Sembra un Asaphidion flavipes.

Certo che questo forum ti prende la mano.... sto cercando di determinare il tuo esemplare ed io ne ho parecchi di Asaphidion che attendono da anni.... :lov3: :gh: :gh: :gh:

P.S: Nicola, le misureeeee!!! :gh: :gh: :gh: :lol1: :lol1:

:oops: Vedo adesso che mi avete preceduto....Ma quanto ci ho messo a scrivere sto messaggio? :x :x :x

_________________
Andrea Carlin, Pergine Valsugana (TN) carlin.andrea(AT)gmail.com

Nota: tutti gli esemplari inseriti nelle discussioni aperte da me sono da ritenere "Andrea Carlin legit" se non diversamente specificato.


Top
profilo
MessaggioInviato: 03/02/2011, 20:00 
Avatar utente

Iscritto il: 05/02/2009, 17:31
Messaggi: 9527
Località: milano
Nome: maurizio pavesi
Andrea Pergine ha scritto:
... Certo che questo forum ti prende la mano.... sto cercando di determinare il tuo esemplare ed io ne ho parecchi di Asaphidion che attendono da anni.... :lov3: :gh: :gh: :gh: ...

beh, potresti provare a postarli come ha fatto nicola ;) ...

_________________
*****************
Immagine maurizio


Top
profilo
MessaggioInviato: 03/02/2011, 20:03 
Avatar utente

Iscritto il: 22/05/2009, 21:00
Messaggi: 2781
Località: Pergine Valsugana (TN)
Nome: Andrea Carlin
:ok: Grazie Maurizio!!! è quello che farò!!! :hp: ...e non solo con gli Asaphidion! :mrgreen: :mrgreen: :mrgreen:

:hi: :hi: :hi: :hi: :hi:

_________________
Andrea Carlin, Pergine Valsugana (TN) carlin.andrea(AT)gmail.com

Nota: tutti gli esemplari inseriti nelle discussioni aperte da me sono da ritenere "Andrea Carlin legit" se non diversamente specificato.


Top
profilo
Visualizza ultimi messaggi:  Ordina per  
nuovo argomento
rispondi
Pagina 1 di 1 [ 6 messaggi ]

Tutti gli orari sono UTC + 1 ora [ ora legale ]


Chi c’è in linea

Visitano il forum: Nessuno e 11 ospiti


Non puoi aprire nuovi argomenti
Non puoi rispondere negli argomenti
Non puoi modificare i tuoi messaggi
Non puoi cancellare i tuoi messaggi
Non puoi inviare allegati

Cerca per:
Vai a: