Benvenuto Ospite

Forum Entomologi Italiani

www.entomologiitaliani.net/forum
 
Oggi è 14/05/2026, 2:44

Tutti gli orari sono UTC + 1 ora [ ora legale ]

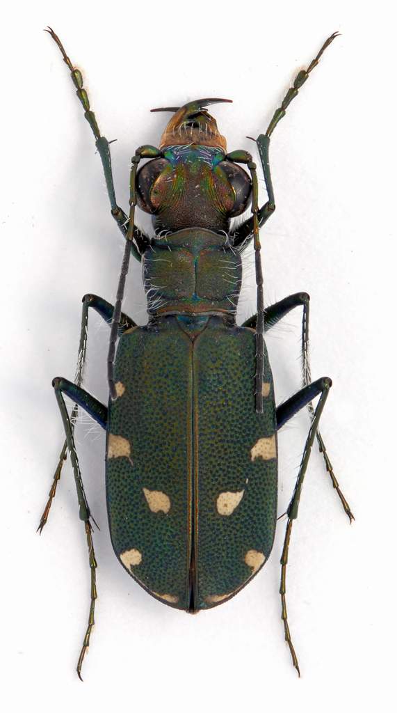
Calomera fischeri fischeri (Adams, 1817) - Carabidae Cicindelinae

29.V.2010 - GRECIA - EE, Dintorni di Konitsa


nuovo argomento
rispondi
Pagina 1 di 1 [ 3 messaggi ]
Autore Messaggio
MessaggioInviato: 17/02/2011, 15:25 
Avatar utente

Iscritto il: 17/12/2009, 19:19
Messaggi: 581
Località: Miane (TV)
Nome: Franco Sandel
Cicindela sp. lg. 10 mm.- Grecia - Konitsa - Aoos River - 29-V-2010
Non so che specie possa essere. Ho raccolto solo questo esemplare,
nello stesso biotopo della hybrida.Da subito mi sembrava una germanica.
Dimensioni piccole, 10/11 mm, e lo stesso modo di deambulare della germanica.
Ossia correva sempre nelle erbe dove si nascondeva, e non l'ho mai vista volare.
Ho raccolto in pratica solo questo esemplare, tanto era difficile da scorgere una
volta entrata nella vegetazione. Inoltre gli esemplari stazionavano molto lontano dall'acqua,
sotto grandi piante di salice o arbusti vari pieni d' erba e di infestanti.
Cosa puo essere?, ho pensato ad una forma di aphrodisia.

Ciao Franco


Cicindela sp. lg. 10 mm. - Grecia - Konitsa - Oos River - 29-V-2010
Cicindela sp. lg. 10 mm.- Grecia - Konitsa - Oos River - 29-V-2010.jpg

Cicindela sp. lg. 10 mm. particolare - Grecia - Konitsa - Oos River - 29-V-2010
Cicindela sp. lg. 10 mm. particolare - Grecia - Konitsa - Oos River - 29-V-2010.JPG


_________________
Effe Esse
Top
profilo
 Oggetto del messaggio: Re: Cicindela sp.
MessaggioInviato: 17/02/2011, 19:07 
Avatar utente

Iscritto il: 05/02/2009, 17:31
Messaggi: 9527
Località: milano
Nome: maurizio pavesi
ciao franco

Calomera fischeri fischeri (Adams, 1817)

_________________
*****************
Immagine maurizio


Top
profilo
MessaggioInviato: 18/02/2011, 11:16 
Avatar utente

Iscritto il: 17/12/2009, 19:19
Messaggi: 581
Località: Miane (TV)
Nome: Franco Sandel
La miseria, non la conoscevo proprio.
Mi sa che quest'anno se ritorno in Grecia sul posto
dedichero' qualche oretta a queta specie.
Che peraltro non e' rara nella localita' dove
l'ho raccolta, ma a prenderla e' ancor peggio
della germanica.

Grazie per la determinazione :ok: :ok: :ok:

ciao Franco

_________________
Effe Esse


Top
profilo
Visualizza ultimi messaggi:  Ordina per  
nuovo argomento
rispondi
Pagina 1 di 1 [ 3 messaggi ]

Tutti gli orari sono UTC + 1 ora [ ora legale ]


Chi c’è in linea

Visitano il forum: Nessuno e 12 ospiti


Non puoi aprire nuovi argomenti
Non puoi rispondere negli argomenti
Non puoi modificare i tuoi messaggi
Non puoi cancellare i tuoi messaggi
Non puoi inviare allegati

Cerca per:
Vai a:  
cron