Benvenuto Ospite

Forum Entomologi Italiani

www.entomologiitaliani.net/forum
 
Oggi è 08/05/2026, 19:12

Tutti gli orari sono UTC + 1 ora [ ora legale ]

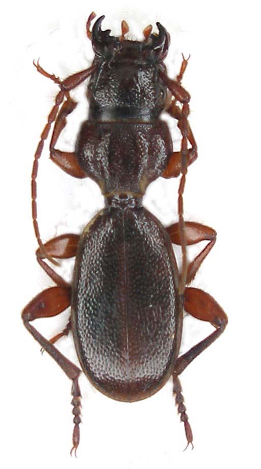
Siagona jenissonii Dejean, 1826 - Carabidae - Spagna: Puerto del Cabrito (Cadiz)

26.III.2011 - SPAGNA - EE, Puerto del Cabrito (Cadiz)


nuovo argomento
rispondi
Pagina 1 di 1 [ 3 messaggi ]
Autore Messaggio
MessaggioInviato: 07/04/2011, 16:09 
Avatar utente

Iscritto il: 05/09/2009, 7:56
Messaggi: 3445
Località: Cesena
Nome: Gianfranco Sama
Siagona dejeani ? - Spagna: Puerto del Cabrito (Cadiz)
Lunghezza 16 mm.
Siagona dejeani _Spagna 2011 030.jpg


_________________
Gianfranco Sama

"Benedetto colui che ti aiuta a correggere i tuoi errori invece di scagliarteli contro"
___________________________________
Gershom Sholem


Top
profilo
MessaggioInviato: 07/04/2011, 16:26 
Avatar utente

Iscritto il: 05/02/2009, 17:31
Messaggi: 9527
Località: milano
Nome: maurizio pavesi
ciao franco
Isotomus ha scritto:
Siagona dejeani ? - Spagna: Puerto del Cabrito (Cadiz)
Lunghezza 16 mm.
troppo piccola... Siagona jenissonii Dejean, 1826

_________________
*****************
Immagine maurizio


Top
profilo
MessaggioInviato: 07/04/2011, 16:54 
Avatar utente

Iscritto il: 05/09/2009, 7:56
Messaggi: 3445
Località: Cesena
Nome: Gianfranco Sama
:ok:

_________________
Gianfranco Sama

"Benedetto colui che ti aiuta a correggere i tuoi errori invece di scagliarteli contro"
___________________________________
Gershom Sholem


Top
profilo
Visualizza ultimi messaggi:  Ordina per  
nuovo argomento
rispondi
Pagina 1 di 1 [ 3 messaggi ]

Tutti gli orari sono UTC + 1 ora [ ora legale ]


Chi c’è in linea

Visitano il forum: Nessuno e 3 ospiti


Non puoi aprire nuovi argomenti
Non puoi rispondere negli argomenti
Non puoi modificare i tuoi messaggi
Non puoi cancellare i tuoi messaggi
Non puoi inviare allegati

Cerca per:
Vai a:  
cron