Benvenuto Ospite

Forum Entomologi Italiani

www.entomologiitaliani.net/forum
 
Oggi è 20/03/2026, 2:40

Tutti gli orari sono UTC + 1 ora [ ora legale ]

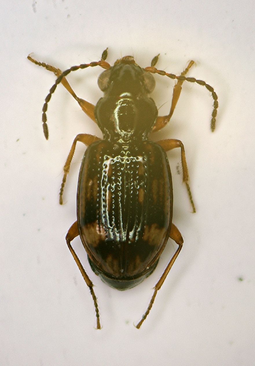
Trepanes (Trepanes) octomaculatus (Goeze, 1777) - Carabidae

9.X.2011 - ITALIA - Emilia-Romagna - BO, Monteveglio - Ziribega


nuovo argomento
rispondi
Pagina 1 di 1 [ 4 messaggi ]
Autore Messaggio
MessaggioInviato: 16/10/2011, 15:56 
Avatar utente

Iscritto il: 05/02/2009, 17:25
Messaggi: 4894
Località: Zola Predosa (BO)
Nome: Loris Colacurcio
Altro carabide "nuovo": raccolto nella bacinella, frutto di alcune "setacciate" ai bordi di uno stagno aciutto, ma ancora fangoso.

Lunghezza: sui 2.5 mm.

Carabide 2.5mm Ziribega 9.X.2011.JPG


_________________
Loris


Top
profilo
 Oggetto del messaggio: Re: Carabide 02 - Carabidae
MessaggioInviato: 16/10/2011, 18:17 
Avatar utente

Iscritto il: 08/11/2010, 12:40
Messaggi: 1722
Località: Brescia
Nome: Mauro Agosti
Se non erro dovrebbe essere Trepanes (Trepanes) octomaculatus (Goeze, 1777) :hi:


Top
profilo
 Oggetto del messaggio: Re: Carabide 02 - Carabidae
MessaggioInviato: 16/10/2011, 20:09 
Avatar utente

Iscritto il: 06/02/2009, 9:03
Messaggi: 6379
Località: Bubano di Mordano (Bologna)
Nome: Augusto Degiovanni
magosti ha scritto:
Se non erro dovrebbe essere Trepanes (Trepanes) octomaculatus (Goeze, 1777) :hi:



Confermo :ok: :ok:

_________________
CIAO :hi: Augusto Degiovanni

http://anthicidaeecarabidae.altervista.org


Top
profilo
MessaggioInviato: 16/10/2011, 21:39 
Avatar utente

Iscritto il: 22/05/2009, 21:00
Messaggi: 2781
Località: Pergine Valsugana (TN)
Nome: Andrea Carlin
:birra: Bella bestiolina! Complimenti Loris!!! :lov3: :birra:

_________________
Andrea Carlin, Pergine Valsugana (TN) carlin.andrea(AT)gmail.com

Nota: tutti gli esemplari inseriti nelle discussioni aperte da me sono da ritenere "Andrea Carlin legit" se non diversamente specificato.


Top
profilo
Visualizza ultimi messaggi:  Ordina per  
nuovo argomento
rispondi
Pagina 1 di 1 [ 4 messaggi ]

Tutti gli orari sono UTC + 1 ora [ ora legale ]


Chi c’è in linea

Visitano il forum: Nessuno e 32 ospiti


Non puoi aprire nuovi argomenti
Non puoi rispondere negli argomenti
Non puoi modificare i tuoi messaggi
Non puoi cancellare i tuoi messaggi
Non puoi inviare allegati

Cerca per:
Vai a:  
cron