Benvenuto Ospite

Forum Entomologi Italiani

www.entomologiitaliani.net/forum
 
Oggi è 22/03/2026, 22:57

Tutti gli orari sono UTC + 1 ora [ ora legale ]

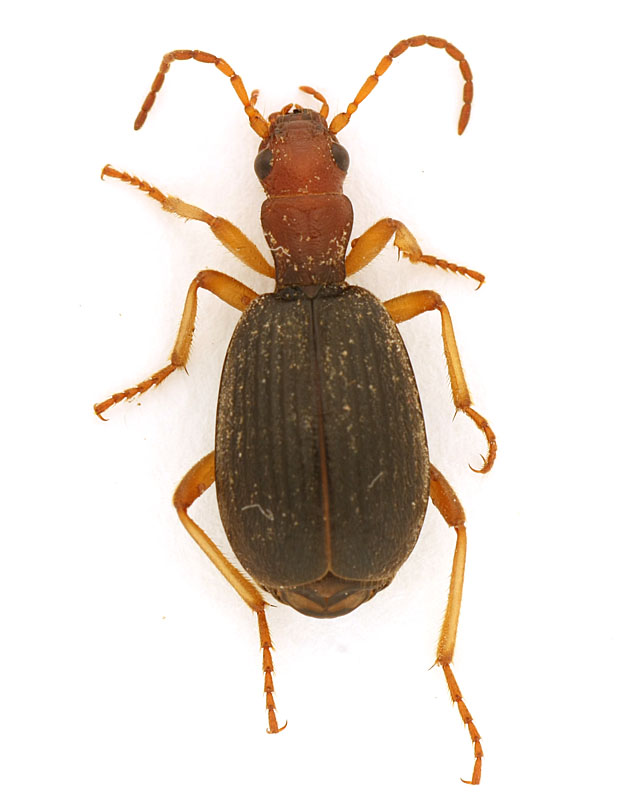
Brachinus (Brachinoaptinus) italicus (Dejean, 1831) - Carabidae

26.X.2011 - ITALIA - Puglia - BA, Gravina


nuovo argomento
rispondi
Pagina 1 di 1 [ 8 messaggi ]
Autore Messaggio
MessaggioInviato: 29/10/2011, 20:47 
Avatar utente

Iscritto il: 08/07/2010, 10:53
Messaggi: 3171
Località: Matera
Nome: Domenico Cardinale
Ciao a tutti :)

eccone un altro ;)

11 mm


IMG_0948 for.jpg


_________________
Saluti :hi: Mimmo


Top
profilo
 Oggetto del messaggio: Re: Carabidae 2
MessaggioInviato: 29/10/2011, 22:03 
Avatar utente

Iscritto il: 10/05/2009, 15:30
Messaggi: 7183
Località: Ancona
Nome: Giacomo Giovagnoli
Brachinus (Brachynolomus) immaculicornis Dejean, 1826??? :oops: :no1:

_________________
Immagine Giacomo


Top
profilo
 Oggetto del messaggio: Re: Carabidae 2
MessaggioInviato: 29/10/2011, 22:05 
Avatar utente

Iscritto il: 14/03/2009, 12:59
Messaggi: 3258
Località: Milano
Nome: Gabriele Franzini
Ciao, è un Brachinus (Brachinoaptinus) italicus (Dejean 1831).

Saluti G.


Top
profilo
 Oggetto del messaggio: Re: Carabidae 2
MessaggioInviato: 29/10/2011, 22:06 
Avatar utente

Iscritto il: 17/02/2009, 0:05
Messaggi: 8524
Località: Isola d'Elba - Arcipelago Toscano
Nome: Leonardo Forbicioni
StagBeetle ha scritto:
Brachinus (Brachynolomus) immaculicornis Dejean, 1826??? :oops: :no1:


....ti serve la pala anche qui?? :lol: :lol:

:lov3: :lov3: :lov3: :lov3:

_________________
"Stay hungry, stay foolish".
Steve Jobs, 2005
___________________
jjuniper8(at)gmail.com
Twitter: @weevil_forbix
cell. 339/5275910
___________________


Top
profilo
MessaggioInviato: 29/10/2011, 22:08 
Avatar utente

Iscritto il: 10/05/2009, 15:30
Messaggi: 7183
Località: Ancona
Nome: Giacomo Giovagnoli
:P
Ti sei giocato i punteruoli che ti ho messo da parte!!! :lol1:

Scherzi a parte, come si distingue dall'immaculicornis?

_________________
Immagine Giacomo


Top
profilo
MessaggioInviato: 29/10/2011, 22:10 
Avatar utente

Iscritto il: 17/02/2009, 0:05
Messaggi: 8524
Località: Isola d'Elba - Arcipelago Toscano
Nome: Leonardo Forbicioni
StagBeetle ha scritto:
:P
Ti sei giocato i punteruoli che ti ho messo da parte!!! :lol1:

:cry: :cry: :cry: :cry: :cry: :cry: :cry: ....nooooooooo :cry: :cry: :cry: :cry:

StagBeetle ha scritto:
Scherzi a parte, come si distingue dall'immaculicornis?

....e che ne so'!!! :lol: :lol: :lol:

_________________
"Stay hungry, stay foolish".
Steve Jobs, 2005
___________________
jjuniper8(at)gmail.com
Twitter: @weevil_forbix
cell. 339/5275910
___________________


Top
profilo
MessaggioInviato: 29/10/2011, 22:16 
Avatar utente

Iscritto il: 17/02/2009, 0:05
Messaggi: 8524
Località: Isola d'Elba - Arcipelago Toscano
Nome: Leonardo Forbicioni
Guardando alcune immagini di immaculicornis......Forse dagli angoli anteriori del pronoto!?!?! :oops: :oops: :oops:

_________________
"Stay hungry, stay foolish".
Steve Jobs, 2005
___________________
jjuniper8(at)gmail.com
Twitter: @weevil_forbix
cell. 339/5275910
___________________


Top
profilo
MessaggioInviato: 29/10/2011, 22:17 
Avatar utente

Iscritto il: 14/03/2009, 12:59
Messaggi: 3258
Località: Milano
Nome: Gabriele Franzini
Ha le elitre nerastre, strette alla base e con le interstrie nettamente rilevate.
L'immaculicornis le ha bluastre, più larghe e con le interstrie meno evidenti.

Poi c'è il carattere della frangia di setole all'apice delle elitre, che però in foto non si valuta bene.
:hi: G.


Top
profilo
Visualizza ultimi messaggi:  Ordina per  
nuovo argomento
rispondi
Pagina 1 di 1 [ 8 messaggi ]

Tutti gli orari sono UTC + 1 ora [ ora legale ]


Chi c’è in linea

Visitano il forum: Nessuno e 4 ospiti


Non puoi aprire nuovi argomenti
Non puoi rispondere negli argomenti
Non puoi modificare i tuoi messaggi
Non puoi cancellare i tuoi messaggi
Non puoi inviare allegati

Cerca per:
Vai a: