| Autore |
Messaggio |
|
FORBIX
|
Inviato: 11/11/2011, 23:31 |
|
Iscritto il: 17/02/2009, 0:05 Messaggi: 8524 Località: Isola d'Elba - Arcipelago Toscano
Nome: Leonardo Forbicioni
|
_________________ "Stay hungry, stay foolish". Steve Jobs, 2005 ___________________ jjuniper8(at)gmail.com Twitter: @weevil_forbixcell. 339/5275910 ___________________
|
|
| Top |
|
 |
|
andreafabbri
|
Inviato: 11/11/2011, 23:37 |
|
Iscritto il: 14/03/2009, 15:34 Messaggi: 198 Località: Belluno
Nome: Andrea Fabbri
|
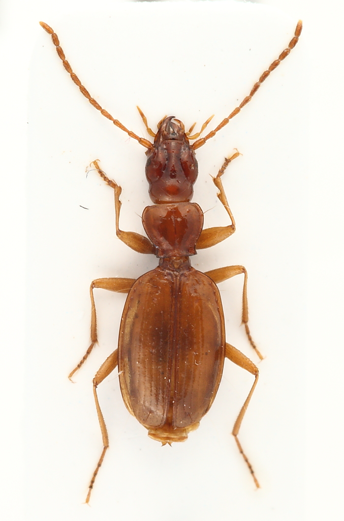
Se non vedo male è microftalmo, quindi è un Duvalius cfr. breiti la località è un po' vaga, però nel comune di Belluno il Duvalius si trova 
_________________ Andrea
|
|
| Top |
|
 |
|
FORBIX
|
Inviato: 11/11/2011, 23:50 |
|
Iscritto il: 17/02/2009, 0:05 Messaggi: 8524 Località: Isola d'Elba - Arcipelago Toscano
Nome: Leonardo Forbicioni
|
Grazie Andrea!! 
_________________ "Stay hungry, stay foolish". Steve Jobs, 2005 ___________________ jjuniper8(at)gmail.com Twitter: @weevil_forbixcell. 339/5275910 ___________________
|
|
| Top |
|
 |
|
Orotrechus
|
Inviato: 12/11/2011, 9:38 |
|
Iscritto il: 01/11/2010, 21:21 Messaggi: 2111 Località: Brescia
Nome: Mario Grottolo
|
purtroppo è una femmina, Mario
|
|
| Top |
|
 |
|
eurinomio
|
Inviato: 13/11/2011, 0:50 |
|
Iscritto il: 19/09/2009, 22:25 Messaggi: 5915 Località: Brescia
Nome: Vinicio Salami
|
quale altro Duvalius vive in quella zona? 
|
|
| Top |
|
 |
|
FORBIX
|
Inviato: 13/11/2011, 0:54 |
|
Iscritto il: 17/02/2009, 0:05 Messaggi: 8524 Località: Isola d'Elba - Arcipelago Toscano
Nome: Leonardo Forbicioni
|
eurinomio ha scritto: quale altro Duvalius vive in quella zona?  Ah!! Io non lo so davvero! Comunque ho un altro esemplare (stesso luogo e data di cattura), magari controllo se è maschio! 
_________________ "Stay hungry, stay foolish". Steve Jobs, 2005 ___________________ jjuniper8(at)gmail.com Twitter: @weevil_forbixcell. 339/5275910 ___________________
|
|
| Top |
|
 |
|
Orotrechus
|
Inviato: 13/11/2011, 1:07 |
|
Iscritto il: 01/11/2010, 21:21 Messaggi: 2111 Località: Brescia
Nome: Mario Grottolo
|
|
Nel bellunese c'e Duvalius breiti e Duvalius sphaeti, con le loro sottospecie più o meno valide. Mario
|
|
| Top |
|
 |
|
eurinomio
|
Inviato: 13/11/2011, 2:14 |
|
Iscritto il: 19/09/2009, 22:25 Messaggi: 5915 Località: Brescia
Nome: Vinicio Salami
|
|
l'unico breiti del bellunese credo sia il tipico...le altre forme sono del Grappa (montisgrappae Agazzi,1960) e del Cesen (gattoi Dafner, 1984); il D. spaethi invece si dovrebbe trovare più a est, sul monte Cavallo, in Cansiglio, nel Bus del Gias e nelle Buse Longhe. non mi sembra ci siano grossi dubbi.
|
|
| Top |
|
 |
|
magosti
|
Inviato: 13/11/2011, 11:28 |
|
Iscritto il: 08/11/2010, 12:40 Messaggi: 1722 Località: Brescia
Nome: Mauro Agosti
|
Mah, queste bestie una volta estratte mi hanno a volte riservato delle sorprese. Senza indicazione precisa della località e soprattutto senza un maschio, personalmente qualche dubbio continuerei ad averlo... Facci sapere Leonardo, che in caso ti facciamo lavorare un po' 
|
|
| Top |
|
 |
|
Orotrechus
|
Inviato: 13/11/2011, 12:49 |
|
Iscritto il: 01/11/2010, 21:21 Messaggi: 2111 Località: Brescia
Nome: Mario Grottolo
|
Certo che non ci sono dubbi che sia Duvalius breiti, ma poichè è stato chiesto quali altri Duvalius possono essere presenti nel bellunese ho inserito anche il Duvalius sphaeti, di cui ho un paio di esemplari raccolti molti anni fa a Casera Palantina in Provincia di Belluno ( D. sphaeti rosai sinonimo di D. sphaeti). E poichè sono state pubblicate varie sottospecie del Duvalius breiti, come dicevo più o meno valide, tra cui ricordo Duvalius pavionis Jeannel 1926 (sicuramente sinonimo di D. breiti), sempre del Bellunese, mi sembra corretto, in assenza di località certa ascrivere a Duvalius cfr breiti, l'esemplare fotografato, come giustamente aveva riportato Andrea. Mario
|
|
| Top |
|
 |
|
gomphus
|
Inviato: 13/11/2011, 16:21 |
|
Iscritto il: 05/02/2009, 17:31 Messaggi: 9527 Località: milano
Nome: maurizio pavesi
|
Orotrechus ha scritto: Certo che non ci sono dubbi che sia Duvalius breiti, ma poichè è stato chiesto quali altri Duvalius possono essere presenti nel bellunese ho inserito anche il Duvalius sphaeti ... spaethi e non sphaeti cmq prima di affermare che è il breiti e non lo spaethi, io a questo punto aspetterei di sapere cosa vuol dire realmente l'indicazione "belluno"  ...
_________________ ***************** maurizio
|
|
| Top |
|
 |
|
Orotrechus
|
Inviato: 13/11/2011, 16:59 |
|
Iscritto il: 01/11/2010, 21:21 Messaggi: 2111 Località: Brescia
Nome: Mario Grottolo
|
|
Hai ragione Maurizio, è colpa della solita fretta e la brutta abitudine di non ricontrollare. Ciao Mario
|
|
| Top |
|
 |
|
FORBIX
|
Inviato: 13/11/2011, 17:06 |
|
Iscritto il: 17/02/2009, 0:05 Messaggi: 8524 Località: Isola d'Elba - Arcipelago Toscano
Nome: Leonardo Forbicioni
|
L'indicazione sul cartellino, riporta solo "Vette di Belluno". Non credo sia di molto aiuto. Semmai proverò a contattare il gentile donatore! 
_________________ "Stay hungry, stay foolish". Steve Jobs, 2005 ___________________ jjuniper8(at)gmail.com Twitter: @weevil_forbixcell. 339/5275910 ___________________
|
|
| Top |
|
 |
|
andreafabbri
|
Inviato: 13/11/2011, 18:33 |
|
Iscritto il: 14/03/2009, 15:34 Messaggi: 198 Località: Belluno
Nome: Andrea Fabbri
|
Ciao, l'indicazione "Vette di Belluno" è molto generica, mi viene da pensare che sia la zona del massiccio dello Schiara, per cui si può parlare di vette vere e proprie, escluderei il Nevegal che è un semplice colle. Un'altra ipotesi è che si tratti delle "Vette feltrine". Comunque se è stato preso proprio sopra Belluno e hai un maschio sarebbe il caso di darci un occhio, come dice bene Mario potrebbe riservare sorprese. Io come ho già detto il Duvalius sopra a Belluno l'ho preso ma siccome sono sfortunato ho attirato solo femmine (forse sono troppo affascinante  ) Riguardo al Duvalius spaethi, io l'ho raccolto anche sul Monte Raut che dovrebbe essere proprio il locus tipico.
_________________ Andrea
|
|
| Top |
|
 |
|
Tc70
|
Inviato: 13/11/2011, 20:16 |
|
Iscritto il: 09/11/2010, 19:52 Messaggi: 4518 Località: Brescia
Nome: Luca Bodei
|
FORBIX ha scritto: L'indicazione sul cartellino, riporta solo "Vette di Belluno". Non credo sia di molto aiuto. Semmai proverò a contattare il gentile donatore!  Ma il gentile donatore ha un nome  Se entomologo lo si potrebbe convincere a partecipare a questa bella discussione... 
_________________ Tc70
|
|
| Top |
|
 |
|