Benvenuto Ospite

Forum Entomologi Italiani

www.entomologiitaliani.net/forum
 
Oggi è 02/02/2026, 3:21

Tutti gli orari sono UTC + 1 ora [ ora legale ]

Philorhizus crucifer crucifer (Lucas 1846) - Carabidae

5.XII.2011 - ITALIA - Lazio - RM, Roma, San Vittorino


nuovo argomento
rispondi
Pagina 1 di 1 [ 5 messaggi ]
Autore Messaggio
MessaggioInviato: 25/12/2011, 17:12 
Avatar utente

Iscritto il: 30/12/2009, 22:20
Messaggi: 31564
Località: Roma
Nome: Maurizio Gigli
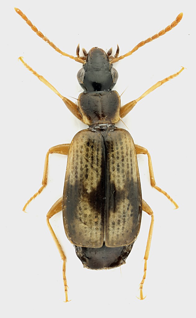
Sempre dal solito Poliporo ... Il più grosso predatore del suo habitat!

Lazio, Roma, San Vittorino, 5.XII.2011, in vecchio Poliporo a livello del suolo, M. Gigli legit

3,7 mm

Carabidae_SanVittorino_5-XII-2011_3,7mmgrey.jpg


_________________
Maurizio Gigli
http://utenti.romascuola.net/bups
http://bup.xoom.it/


Top
profilo
 Oggetto del messaggio: Re: Carabidae - Lazio
MessaggioInviato: 25/12/2011, 18:20 
Avatar utente

Iscritto il: 18/02/2009, 0:24
Messaggi: 3909
Località: Asciano (Siena)
Nome: Andrea Petrioli
Bella foto Maurizio.

Io direi, in base anche alla località, Philorhizus crucifer crucifer (Lucas 1846)

_________________
:hi:
______
Andrea


Top
profilo
 Oggetto del messaggio: Re: Carabidae - Lazio
MessaggioInviato: 25/12/2011, 19:47 
Avatar utente

Iscritto il: 30/12/2009, 22:20
Messaggi: 31564
Località: Roma
Nome: Maurizio Gigli
Grazie Andrea. Sembra proprio lui. Ho controllato pure sulla revisione di Riccardo Sciaky.

_________________
Maurizio Gigli
http://utenti.romascuola.net/bups
http://bup.xoom.it/


Top
profilo
 Oggetto del messaggio: Re: Carabidae - Lazio
MessaggioInviato: 25/12/2011, 20:29 
Avatar utente

Iscritto il: 08/06/2009, 0:06
Messaggi: 3415
Località: Feltre(BL)
Nome: Nicola Dal Zotto
MP-E o 10X alla minima distanza?

_________________
Nicola Dal Zotto


Top
profilo
 Oggetto del messaggio: Re: Carabidae - Lazio
MessaggioInviato: 25/12/2011, 22:05 
Avatar utente

Iscritto il: 30/12/2009, 22:20
Messaggi: 31564
Località: Roma
Nome: Maurizio Gigli
Oltre 3 mm = MP-E!

_________________
Maurizio Gigli
http://utenti.romascuola.net/bups
http://bup.xoom.it/


Top
profilo
Visualizza ultimi messaggi:  Ordina per  
nuovo argomento
rispondi
Pagina 1 di 1 [ 5 messaggi ]

Tutti gli orari sono UTC + 1 ora [ ora legale ]


Chi c’è in linea

Visitano il forum: Nessuno e 3 ospiti


Non puoi aprire nuovi argomenti
Non puoi rispondere negli argomenti
Non puoi modificare i tuoi messaggi
Non puoi cancellare i tuoi messaggi
Non puoi inviare allegati

Cerca per:
Vai a:  
cron