Benvenuto Ospite

Forum Entomologi Italiani

www.entomologiitaliani.net/forum
 
Oggi è 12/12/2025, 12:11

Tutti gli orari sono UTC + 1 ora [ ora legale ]

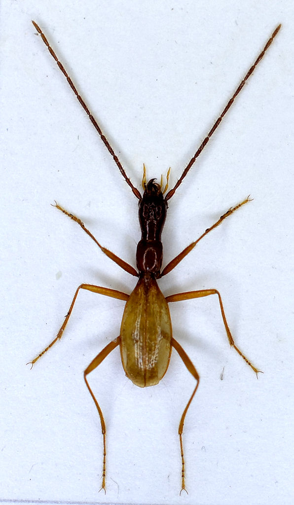
Orotrechus gigas nevegalensis Monguzzi & Trezzi, 2005 - Carabidae Trechinae

ITALIA - Veneto - BL, Grotta Busa del Camp


nuovo argomento
rispondi
Pagina 1 di 1 [ 9 messaggi ]
Autore Messaggio
MessaggioInviato: 16/02/2012, 21:13 
Avatar utente

Iscritto il: 14/03/2009, 15:34
Messaggi: 198
Località: Belluno
Nome: Andrea Fabbri
Ecco un'altra megabestia

orotrechus_gigas_nevegalensis.jpg


_________________
Andrea


Top
profilo
MessaggioInviato: 16/02/2012, 21:25 
Avatar utente

Iscritto il: 10/05/2010, 22:31
Messaggi: 4371
Località: Gavorrano (GR)
Nome: marco bastianini
.....ma insomma, avete deciso di farci schiattare di invidia???? :x :x :x :x
beh, ci state riuscendo alla grande :mrgreen: :mrgreen: :mrgreen: :mrgreen:
Comunque è un vero piacere poter vedere queste megabestie .....la speranza è di poterle vedere, un giorno, nella propria collezione :hp: :hp: :hp:

_________________
:to: Marco
"Le foreste a precedere le civiltà, i deserti a seguire."
François-René de Chateaubriand


Top
profilo
MessaggioInviato: 16/02/2012, 22:25 
Avatar utente

Iscritto il: 19/09/2009, 22:25
Messaggi: 5913
Località: Brescia
Nome: Vinicio Salami
anche questa è tosta, tosta.

:cry: :cry:


Top
profilo
MessaggioInviato: 16/02/2012, 23:02 
Avatar utente

Iscritto il: 01/11/2010, 21:21
Messaggi: 2110
Località: Brescia
Nome: Mario Grottolo
BELLISSIMO !!!
Mario


Top
profilo
MessaggioInviato: 16/02/2012, 23:40 
Avatar utente

Iscritto il: 22/05/2009, 21:00
Messaggi: 2777
Località: Pergine Valsugana (TN)
Nome: Andrea Carlin
:cry: :cry: :cry: Bastaaaa vi prego!!! :cry: :cry: :cry:
Fra te e Mario mi fate morire.... :shock: :shock: :shock:

:birra: :birra: :birra: :birra: :birra:

_________________
Andrea Carlin, Pergine Valsugana (TN) carlin.andrea(AT)gmail.com

Nota: tutti gli esemplari inseriti nelle discussioni aperte da me sono da ritenere "Andrea Carlin legit" se non diversamente specificato.


Top
profilo
MessaggioInviato: 17/02/2012, 0:00 
Avatar utente

Iscritto il: 19/09/2009, 22:25
Messaggi: 5913
Località: Brescia
Nome: Vinicio Salami
:ok: :ok: :ok: :ok:... :cry: :cry: :cry:


Top
profilo
MessaggioInviato: 17/02/2012, 1:29 
Avatar utente

Iscritto il: 18/02/2009, 0:24
Messaggi: 3909
Località: Asciano (Siena)
Nome: Andrea Petrioli
hypotyphlus ha scritto:
.....ma insomma, avete deciso di farci schiattare di invidia???? :x :x :x :x
beh, ci state riuscendo alla grande :mrgreen: :mrgreen: :mrgreen: :mrgreen:
Comunque è un vero piacere poter vedere queste megabestie .....la speranza è di poterle vedere, un giorno, nella propria collezione :hp: :hp: :hp:


+1

Lo so che il +1 è riduttivo ma credo che Marco abbia espresso il pensiero di molti (....sicuramente almeno il mio :D ).

_________________
:hi:
______
Andrea


Top
profilo
MessaggioInviato: 17/02/2012, 1:34 
Avatar utente

Iscritto il: 14/01/2010, 0:10
Messaggi: 3603
Località: Liguria, Genova
Nome: Giovanni Ratto
Per quanto i miei interessi siano rivolti ad altre bestiole,
è impossibile non restare affascinati da questi piccoli miracoli della natura....! :o :o :o :o :o
Grazie per condividerli con noi! :lov2:

:hi:

_________________
ImmagineGiovanni
Pactolinus gigas (Paykull, 1811)


Top
profilo
MessaggioInviato: 17/02/2012, 1:43 
Avatar utente

Iscritto il: 09/11/2010, 19:52
Messaggi: 4518
Località: Brescia
Nome: Luca Bodei
Ehh che caz....mo basta.... :mrgreen: :hi:

_________________
Tc70


Top
profilo
Visualizza ultimi messaggi:  Ordina per  
nuovo argomento
rispondi
Pagina 1 di 1 [ 9 messaggi ]

Tutti gli orari sono UTC + 1 ora [ ora legale ]


Chi c’è in linea

Visitano il forum: Nessuno e 4 ospiti


Non puoi aprire nuovi argomenti
Non puoi rispondere negli argomenti
Non puoi modificare i tuoi messaggi
Non puoi cancellare i tuoi messaggi
Non puoi inviare allegati

Cerca per:
Vai a: