Benvenuto Ospite

Forum Entomologi Italiani

www.entomologiitaliani.net/forum
 
Oggi è 31/01/2026, 22:01

Tutti gli orari sono UTC + 1 ora [ ora legale ]

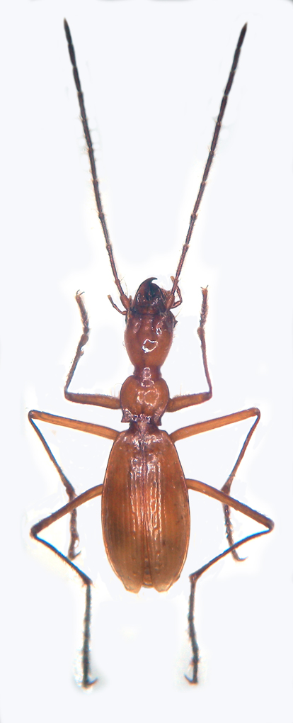
Pheggomisetes buresi (Knirsch, 1923) - Carabidae Trechinae

5.VII.1965 - BULGARIA - EE, Grotte Ledenika Legit:Dr.M.Schmid


nuovo argomento
rispondi
Pagina 1 di 1 [ 2 messaggi ]
Autore Messaggio
MessaggioInviato: 18/02/2012, 19:07 
Avatar utente

Iscritto il: 10/05/2010, 22:31
Messaggi: 4372
Località: Gavorrano (GR)
Nome: marco bastianini
Frutto di un recente scambio;anche questo, in quanto ad allungamento delle appendici, non scherza.Dimensioni mm:8,5.:D :D
Pheggomisetes buresi.jpg


_________________
:to: Marco
"Le foreste a precedere le civiltà, i deserti a seguire."
François-René de Chateaubriand


Top
profilo
MessaggioInviato: 18/02/2012, 19:44 
Avatar utente

Iscritto il: 09/11/2010, 19:52
Messaggi: 4518
Località: Brescia
Nome: Luca Bodei
Good :ok: :ok: :hi:

_________________
Tc70


Top
profilo
Visualizza ultimi messaggi:  Ordina per  
nuovo argomento
rispondi
Pagina 1 di 1 [ 2 messaggi ]

Tutti gli orari sono UTC + 1 ora [ ora legale ]


Chi c’è in linea

Visitano il forum: Nessuno e 2 ospiti


Non puoi aprire nuovi argomenti
Non puoi rispondere negli argomenti
Non puoi modificare i tuoi messaggi
Non puoi cancellare i tuoi messaggi
Non puoi inviare allegati

Cerca per:
Vai a: