Benvenuto Ospite

Forum Entomologi Italiani

www.entomologiitaliani.net/forum
 
Oggi è 31/01/2026, 12:40

Tutti gli orari sono UTC + 1 ora [ ora legale ]

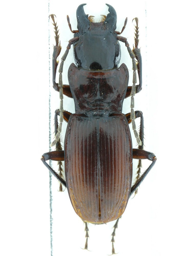
Oscadytes rovirai Lagar, 1975 - Carabidae

22.VIII.2002 - SPAGNA - EE, Sierra de Gervin, Campo Huesca


nuovo argomento
rispondi
Pagina 1 di 1 [ 10 messaggi ]
Autore Messaggio
MessaggioInviato: 30/01/2010, 19:52 
Avatar utente

Iscritto il: 06/02/2009, 9:03
Messaggi: 6377
Località: Bubano di Mordano (Bologna)
Nome: Augusto Degiovanni
Oscadytes rovirai Lagar, 1975

Una gran bel Carabidae Anophthalmo, :ok: appartiene alla Tribù degli Pterostichini e Sottotribù dei Molopini.

ESPANA: Sierra de Gervin, Campo Huesca, 22.VIII.2002

15mm

tn_Oscadytes (2).JPG



tn_Oscadytes.JPG


_________________
CIAO :hi: Augusto Degiovanni

http://anthicidaeecarabidae.altervista.org


Top
profilo
 Oggetto del messaggio: Re: Oscadytes rovirai Lagar, 1975
MessaggioInviato: 30/01/2010, 20:00 
Avatar utente

Iscritto il: 05/02/2009, 17:31
Messaggi: 9527
Località: milano
Nome: maurizio pavesi
:sh: W :sh: O :sh: W :sh: W :sh: W :sh: ...

_________________
*****************
Immagine maurizio


Top
profilo
 Oggetto del messaggio: Re: Oscadytes rovirai Lagar, 1975
MessaggioInviato: 31/01/2010, 0:31 
Avatar utente

Iscritto il: 18/02/2009, 0:24
Messaggi: 3909
Località: Asciano (Siena)
Nome: Andrea Petrioli
Ciao Augusto,

bellissima bestiola :p :p :p

Ma la testa è nera come quella di un normale Pterostichus oppure è un difetto di immagine?

:hi:

_________________
:hi:
______
Andrea


Top
profilo
 Oggetto del messaggio: Re: Oscadytes rovirai Lagar, 1975
MessaggioInviato: 31/01/2010, 2:03 
Avatar utente

Iscritto il: 06/02/2009, 9:03
Messaggi: 6377
Località: Bubano di Mordano (Bologna)
Nome: Augusto Degiovanni
Ciao Andrea,
si la bestiola è come la vedi ha le elitre più chiare e seguono scurendosi gradatamente protorace e testa, non ha neanche un cenno di occhi, e il riflesso che si vede ai lati della testa è perchè non ho messo il filtro antiriflesso.

_________________
CIAO :hi: Augusto Degiovanni

http://anthicidaeecarabidae.altervista.org


Top
profilo
MessaggioInviato: 31/01/2010, 17:15 
Avatar utente

Iscritto il: 21/05/2009, 14:59
Messaggi: 6994
Località: Parigi
Nome: Riccardo Poloni
quando si dice che certe cose per apprezzarle bisogna conoscerle, a me non dice niente :mrgreen: , adesso Maurizio o Augusto mi legneranno di brutto :mrgreen: :no1:

_________________
Riccardo Poloni
La dignità degli elementi
la libertà della poesia,
al di là dei tradimenti degli uomini
è magia, è magia, è magia...
Negrita, Rotolando verso sud


Top
profilo
MessaggioInviato: 01/02/2010, 14:14 
Avatar utente

Iscritto il: 06/02/2009, 9:03
Messaggi: 6377
Località: Bubano di Mordano (Bologna)
Nome: Augusto Degiovanni
Caro Riccardo,
è possibilissimo che non ti dica nulla questa specie, perchè sei giovane e per ora diciamo tuttologo (visto che ti interessi di tutto ;) ), mentre per chi raccoglie o studia in modo specifico la Famiglia sicuramente e dico sicuramente questa bestia è un bel sogno poterla anche solo vedere ;).
Comunque ti posso capire benissimo, perchè anche a mè capita che quando postano specie anche rarissime, ma che non fanno parte del mio interesse di studio, non mi dicono nulla :oops: .

_________________
CIAO :hi: Augusto Degiovanni

http://anthicidaeecarabidae.altervista.org


Top
profilo
MessaggioInviato: 01/02/2010, 14:32 
Avatar utente

Iscritto il: 05/02/2009, 17:31
Messaggi: 9527
Località: milano
Nome: maurizio pavesi
Notoxus59 ha scritto:
... per chi raccoglie o studia in modo specifico la Famiglia sicuramente e dico sicuramente questa bestia è un bel sogno poterla anche solo vedere ;) ...

:p :p :p

_________________
*****************
Immagine maurizio


Top
profilo
MessaggioInviato: 01/02/2010, 14:52 
Avatar utente

Iscritto il: 21/05/2009, 14:59
Messaggi: 6994
Località: Parigi
Nome: Riccardo Poloni
infatti ho detto per chi non si interessa alla famiglia ;) , perchè molto spesso bisogna conoscerla bene, e gli esemplari rari sono quelli meno conosciuti, paradossalmente, e non sono tutti come il Carabus olympiae :)

_________________
Riccardo Poloni
La dignità degli elementi
la libertà della poesia,
al di là dei tradimenti degli uomini
è magia, è magia, è magia...
Negrita, Rotolando verso sud


Top
profilo
MessaggioInviato: 01/02/2010, 14:56 
Avatar utente

Iscritto il: 02/09/2009, 20:57
Messaggi: 8703
Località: Cagliari
Nome: Roberto Rattu
Io sono ammirato anche per come è stato preparato l'esemplare!! Perfetto e molto elegante!!!

:hi:


Top
profilo
MessaggioInviato: 01/02/2010, 17:22 
Avatar utente

Iscritto il: 05/02/2009, 17:31
Messaggi: 9527
Località: milano
Nome: maurizio pavesi
in effetti... ci sono specie magari rarissime, come certi Duvalius, che però dal punto di vista della morfologuia non hanno niente di speciale; ma non è il caso di questo, che oltre ad essere una rarità della m*****a cioè della meraviglia :mrgreen: è un genere con una sola specie, ben diverso da qualunque altra cosa... anche perché, con il suo cm e mezzo, è uno dei più grandi coleotteri ciechi che si conoscano :sma:

_________________
*****************
Immagine maurizio


Top
profilo
Visualizza ultimi messaggi:  Ordina per  
nuovo argomento
rispondi
Pagina 1 di 1 [ 10 messaggi ]

Tutti gli orari sono UTC + 1 ora [ ora legale ]


Chi c’è in linea

Visitano il forum: Bing [Bot] e 1 ospite


Non puoi aprire nuovi argomenti
Non puoi rispondere negli argomenti
Non puoi modificare i tuoi messaggi
Non puoi cancellare i tuoi messaggi
Non puoi inviare allegati

Cerca per:
Vai a: