Benvenuto Ospite

Forum Entomologi Italiani

www.entomologiitaliani.net/forum
 
Oggi è 02/05/2026, 2:30

Tutti gli orari sono UTC + 1 ora [ ora legale ]

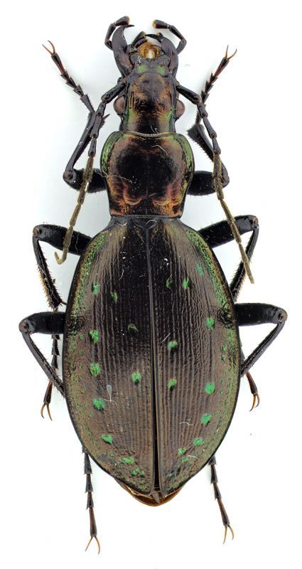
Carabus (Platycarabus) depressus depressus Bonelli, 1810 - Carabidae Carabinae

13.VIII.2012 - ITALIA - Valle d'Aosta - AO, Loc. Maen, Valtournenche


nuovo argomento
rispondi
Pagina 1 di 1 [ 3 messaggi ]
Autore Messaggio
MessaggioInviato: 05/10/2012, 20:57 
Avatar utente

Iscritto il: 10/05/2009, 15:30
Messaggi: 7183
Località: Ancona
Nome: Giacomo Giovagnoli
Queste meraviglie le devo a Massimo Plumari (Raubmilbe)!!! :birra: :lov2:

Carabus (Platycarabus) depressus depressus Bonelli, 1810
Maen, Valtournenche (Aosta), 13.VIII.2012.

[grazie zio per le foto!!! :birra: ]

Maschio; dimensioni: 22mm
Comb0374_13jcr.jpg


Comb0375_06jcr.jpg



Femmina; dimensioni: 25mm
Comb0376_17jcr.jpg


a.jpg



Coppia
Comb0377_36jcr.jpg



Ciao :)

_________________
Immagine Giacomo


Top
profilo
MessaggioInviato: 05/10/2012, 21:19 
Avatar utente

Iscritto il: 30/12/2009, 22:20
Messaggi: 31564
Località: Roma
Nome: Maurizio Gigli
Bella bestia la femmina!

_________________
Maurizio Gigli
http://utenti.romascuola.net/bups
http://bup.xoom.it/


Top
profilo
MessaggioInviato: 05/10/2012, 22:43 
Avatar utente

Iscritto il: 23/06/2010, 19:05
Messaggi: 2591
Località: Pescara
Nome: Alessio Morelli
Bellissimi entrambi!! :o :p ...
Anche se le femmine sono sempre più belle... :lol1: :mrgreen:


Top
profilo
Visualizza ultimi messaggi:  Ordina per  
nuovo argomento
rispondi
Pagina 1 di 1 [ 3 messaggi ]

Tutti gli orari sono UTC + 1 ora [ ora legale ]


Chi c’è in linea

Visitano il forum: Google [Bot] e 20 ospiti


Non puoi aprire nuovi argomenti
Non puoi rispondere negli argomenti
Non puoi modificare i tuoi messaggi
Non puoi cancellare i tuoi messaggi
Non puoi inviare allegati

Cerca per:
Vai a: