| Autore |
Messaggio |
|
cosmln
|
Inviato: 18/10/2012, 20:39 |
|
Iscritto il: 26/03/2010, 14:55 Messaggi: 5989 Località: Romania
Nome: Cosmin-Ovidiu Manci
|
Ciao, E gia su forum ma non da Romania (dopo FaEU non e conosciuto da Romania... vediamo). Questo bello carbido e stato raccolto falciando la vegetazione in questo unico esemplare. Una foto piu grande qui.
_________________ Cosmin-Ovidiu Manci ********************** cosmln's place - my blogjust insectsDragonflies of Romania
|
|
| Top |
|
 |
|
gabrif
|
Inviato: 18/10/2012, 21:46 |
|
Iscritto il: 14/03/2009, 12:59 Messaggi: 3246 Località: Milano
Nome: Gabriele Franzini
|
|
| Top |
|
 |
|
cosmln
|
Inviato: 18/10/2012, 22:05 |
|
Iscritto il: 26/03/2010, 14:55 Messaggi: 5989 Località: Romania
Nome: Cosmin-Ovidiu Manci
|
|
| Top |
|
 |
|
gabrif
|
Inviato: 18/10/2012, 22:15 |
|
Iscritto il: 14/03/2009, 12:59 Messaggi: 3246 Località: Milano
Nome: Gabriele Franzini
|
|
Poi è anche alata, la monostigma no. Molto strano.
Ciao G.
|
|
| Top |
|
 |
|
cosmln
|
Inviato: 18/10/2012, 22:19 |
|
Iscritto il: 26/03/2010, 14:55 Messaggi: 5989 Località: Romania
Nome: Cosmin-Ovidiu Manci
|
|
| Top |
|
 |
|
gomphus
|
Inviato: 18/10/2012, 22:22 |
|
Iscritto il: 05/02/2009, 17:31 Messaggi: 9527 Località: milano
Nome: maurizio pavesi
|
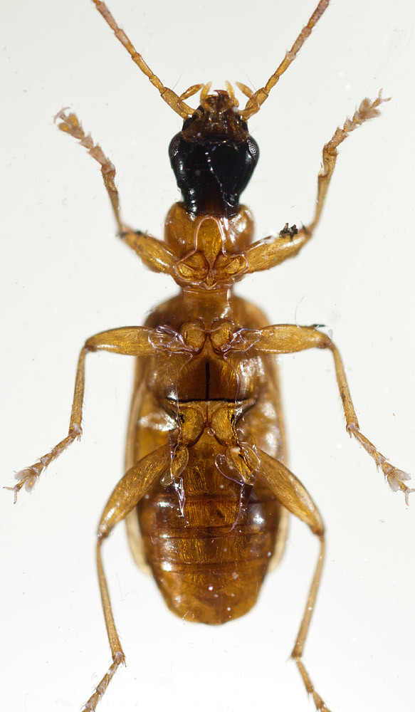
ciao cosmin era sembrato anche a me che somigliasse alla monostigma... però questo è alato, e la monostigma dovrebbe essere costantemente brachittera p.s. infatti, come stavo dicendo per sicurezza, potresti fare una foto di lato, in modo che si veda la colorazione ventrale? inferiormente l' atricapillus ha meso- e metatorace estesamente anneriti, mentre la monostigma è giallo rossiccio uniforme
_________________ ***************** maurizio
|
|
| Top |
|
 |
|
cosmln
|
Inviato: 18/10/2012, 22:40 |
|
Iscritto il: 26/03/2010, 14:55 Messaggi: 5989 Località: Romania
Nome: Cosmin-Ovidiu Manci
|
gomphus ha scritto: ciao cosmin era sembrato anche a me che somigliasse alla monostigma... però questo è alato, e la monostigma dovrebbe essere costantemente brachittera p.s. infatti, come stavo dicendo per sicurezza, potresti fare una foto di lato, in modo che si veda la colorazione ventrale? inferiormente l' atricapillus ha meso- e metatorace estesamente anneriti, mentre la monostigma è giallo rossiccio uniforme va bene cosi? ... mi scusi per la qualita, tra transparenza. a me sembrano anneriti.
_________________ Cosmin-Ovidiu Manci ********************** cosmln's place - my blogjust insectsDragonflies of Romania
|
|
| Top |
|
 |
|
gomphus
|
Inviato: 18/10/2012, 22:58 |
|
Iscritto il: 05/02/2009, 17:31 Messaggi: 9527 Località: milano
Nome: maurizio pavesi
|
è strano  ... non sembra corrispondere a nessuna delle due a questo punto, sarà il caso di verificare come è fatta esattamente la Demetrias muchei... dato che delle descrizioni di jedlička non c'è da fidarsi  ...
_________________ ***************** maurizio
|
|
| Top |
|
 |
|
cosmln
|
Inviato: 18/10/2012, 23:07 |
|
Iscritto il: 26/03/2010, 14:55 Messaggi: 5989 Località: Romania
Nome: Cosmin-Ovidiu Manci
|
|
| Top |
|
 |
|
Orotrechus
|
Inviato: 19/10/2012, 8:41 |
|
Iscritto il: 01/11/2010, 21:21 Messaggi: 2110 Località: Brescia
Nome: Mario Grottolo
|
|
Comunque sempre fotografie bellissime, si nota persino la presenza di Laboulbeniales. Ciao Mario
|
|
| Top |
|
 |
|
Notoxus59
|
Inviato: 19/10/2012, 15:14 |
|
Iscritto il: 06/02/2009, 9:03 Messaggi: 6378 Località: Bubano di Mordano (Bologna)
Nome: Augusto Degiovanni
|
gabrif ha scritto: Poi è anche alata, la monostigma no. Molto strano. Ciao G. Disserisco. Premetto non conosco la Demetrias muchei, ma Muller 1921, 141 descrive o cita la var. alatus su esemplari alati Austriaci, cosa che segnala anche Jeannel 1942, p. 1038. Io in collezione ho un esemplare di D. monostigma di Punte Alberete (RA) maschio, che è alato. Potrebbe essere che al nord siano alate Per me rimane una D. monostigma poi finchè qualcuno non mi farà vedere la muchei (nel Web non ho trovato manco una foto  ) potrò rimangiarmi la determinazione 
|
|
| Top |
|
 |
|
gabrif
|
Inviato: 19/10/2012, 20:21 |
|
Iscritto il: 14/03/2009, 12:59 Messaggi: 3246 Località: Milano
Nome: Gabriele Franzini
|
Cita: Disserisco. E io asterisco.  Ciao G. PS adesso vado a riguardare le une e le altre in collezione.
|
|
| Top |
|
 |
|
cosmln
|
Inviato: 19/10/2012, 20:52 |
|
Iscritto il: 26/03/2010, 14:55 Messaggi: 5989 Località: Romania
Nome: Cosmin-Ovidiu Manci
|
Notoxus59 ha scritto: gabrif ha scritto: Poi è anche alata, la monostigma no. Molto strano. Ciao G. Disserisco. Premetto non conosco la Demetrias muchei, ma Muller 1921, 141 descrive o cita la var. alatus su esemplari alati Austriaci, cosa che segnala anche Jeannel 1942, p. 1038. Io in collezione ho un esemplare di D. monostigma di Punte Alberete (RA) maschio, che è alato. Potrebbe essere che al nord siano alate Per me rimane una D. monostigma poi finchè qualcuno non mi farà vedere la muchei (nel Web non ho trovato manco una foto  ) potrò rimangiarmi la determinazione  Grazie a tutti, a dire la verito non mi sono mi aspettavo a problemi con questo. Ho determinato con Trautner e Geingenmuller, e li piu o meno devi quardare solo le unghie. Con denti, senza denti... se sono con denti, quanti denti e cosi ho finito con D.atricapillus.  Capisco que qualla chiave non e buona? Non era niente li con ali o senza ali  ... e dopo che vedo qui anche questo e un caractero variabile  . Se qualcuno vuole studiarlo...  Adoro questi dibattiti, cosi posso imparare qualcosa, grazie amici  . 
_________________ Cosmin-Ovidiu Manci ********************** cosmln's place - my blogjust insectsDragonflies of Romania
|
|
| Top |
|
 |
|
gomphus
|
Inviato: 19/10/2012, 21:19 |
|
Iscritto il: 05/02/2009, 17:31 Messaggi: 9527 Località: milano
Nome: maurizio pavesi
|
ciao ragazzi anche se a questo punto ero convinto anch'io che fosse una monostigma alata (ieri sera la colorazione mi sembrava un po' strana, ma vista con quest'altro monitor corrisponde), per scrupolo sono andato a controllare la descrizione della Demetrias muchei Jedlička si tratta apparentemente di una normale D. imperialis di quelle con disegno nero ridotto, simile a quello della nostra imperialis ruficeps, forse ancora più ridotto del solito, ma in sostanza corrispondente in ogni caso, anche se le unghie lisce fossero un errore di osservazione, l'indicazione "capo e mesotorace neri" esclude che abbia niente a che fare con la nostra e quindi... monostigma sia
_________________ ***************** maurizio
|
|
| Top |
|
 |
|
gabrif
|
Inviato: 19/10/2012, 21:24 |
|
Iscritto il: 14/03/2009, 12:59 Messaggi: 3246 Località: Milano
Nome: Gabriele Franzini
|
|
da Lindroth: - Temples hairy, elytral intervals with a single row of erect setae, claws with 3 teeth: atricapillus - Temples glabrous, only 3rd interval with 4 setiferous punctures, claws with single tooth: monostigma
Continua a non quadrare esattamente al 100% con nessuna delle 2, ma andrei anche io verso la monostigma.
G.
|
|
| Top |
|
 |
|