Benvenuto Ospite

Forum Entomologi Italiani

www.entomologiitaliani.net/forum
 
Oggi è 03/02/2026, 3:05

Tutti gli orari sono UTC + 1 ora [ ora legale ]

Cypholoba graphipteroides (Guerin-Meneville, 1845) - Carabidae Zambia

I.1988 - ZAMBIA - EE, Kafue


nuovo argomento
rispondi
Pagina 1 di 1 [ 4 messaggi ]
Autore Messaggio
MessaggioInviato: 23/01/2010, 20:33 
Avatar utente

Iscritto il: 06/02/2009, 9:03
Messaggi: 6378
Località: Bubano di Mordano (Bologna)
Nome: Augusto Degiovanni
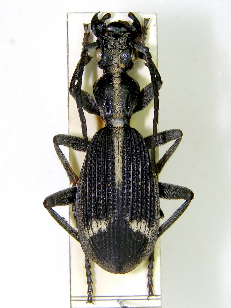
Questa è la seconda stessa provenienza, ZAMBIA:Kafue, Gennaio 1988.

Potrebbe essere una Chilanthia sp. ????

tn_003.JPG


_________________
CIAO :hi: Augusto Degiovanni

http://anthicidaeecarabidae.altervista.org


Top
profilo
 Oggetto del messaggio: Re: Chilanthia sp. ??????
MessaggioInviato: 02/06/2010, 22:17 
Avatar utente

Iscritto il: 08/05/2010, 22:25
Messaggi: 1463
Località: Milano
Nome: Riccardo Sciaky
Ciao Augusto! Trovando questo tuo vecchio messaggio a cui nessuno ha mai risposto, ho voluto vedere se in collezione avevo qualcosa di simile. Vari esemplari dello Zambia e della Tanzania sono determinati, non so da chi e con che verosimiglianza, come Cypholoba graphipteroides (Guerin-Meneville, 1845). Si tratta di una specie che deve essere molto variabile, tant'è vero che ha una miriade di sottospecie, ma potrebbe essere lei. Prendi il nome come un'indicazione, comunque da approfondire.

Un caro saluto

_________________
Riccardo


Top
profilo
MessaggioInviato: 06/10/2012, 23:48 
Avatar utente

Iscritto il: 27/03/2009, 13:54
Messaggi: 53
Località: Repubblica Ceca - Brno
Nome: Michal Krobot
È di sicuro Cypholoba graphipteroides (Guerin-Meneville, 1845) - probabilmente la sottospecie nominale.


Top
profilo
MessaggioInviato: 26/11/2012, 12:59 
Avatar utente

Iscritto il: 06/02/2009, 9:03
Messaggi: 6378
Località: Bubano di Mordano (Bologna)
Nome: Augusto Degiovanni
Non mi ero accorto della determinazione :oops: , Grazie Mike :ok: :ok:

_________________
CIAO :hi: Augusto Degiovanni

http://anthicidaeecarabidae.altervista.org


Top
profilo
Visualizza ultimi messaggi:  Ordina per  
nuovo argomento
rispondi
Pagina 1 di 1 [ 4 messaggi ]

Tutti gli orari sono UTC + 1 ora [ ora legale ]


Chi c’è in linea

Visitano il forum: Nessuno e 2 ospiti


Non puoi aprire nuovi argomenti
Non puoi rispondere negli argomenti
Non puoi modificare i tuoi messaggi
Non puoi cancellare i tuoi messaggi
Non puoi inviare allegati

Cerca per:
Vai a:  
cron