Benvenuto Ospite

Forum Entomologi Italiani

www.entomologiitaliani.net/forum
 
Oggi è 21/03/2026, 19:03

Tutti gli orari sono UTC + 1 ora [ ora legale ]

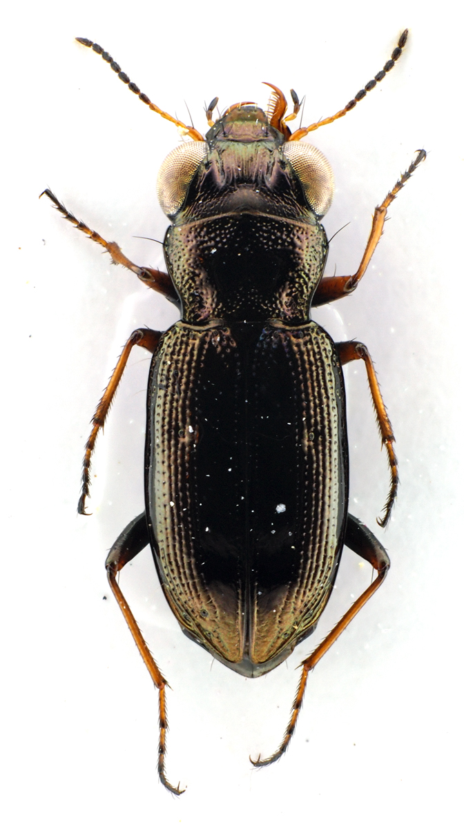
Notiophilus rufipes Curtis, 1829 - Carabidae

12.V.2012 - ITALIA - Marche - AN, Sassoferrato


nuovo argomento
rispondi
Pagina 1 di 1 [ 4 messaggi ]
Autore Messaggio
MessaggioInviato: 30/01/2013, 21:39 
Avatar utente

Iscritto il: 10/05/2009, 15:30
Messaggi: 7183
Località: Ancona
Nome: Giacomo Giovagnoli
Ipotizzo sia un Notiophilus geminatus Dejean & Boisduval, 1830... :oops:

Preso il 12.V.2012 a Sassoferrato (Ancona) lungo il fiume Esino.

[grazie zio per le foto!!! :birra: ]

Dimensioni: 5mm
Comb0628_06jcr.jpg


Comb0630_21jcr.jpg


Comb0629_14jcr.jpg



Ciao :)

_________________
Immagine Giacomo


Top
profilo
MessaggioInviato: 31/01/2013, 0:31 
Avatar utente

Iscritto il: 08/11/2010, 12:40
Messaggi: 1722
Località: Brescia
Nome: Mauro Agosti
Mmmmh.... Pronoto sinuato, interstrie lucide, femori anteriori e mediani giallastri....
Io voto Notiophilus rufipes Curtis, 1829 :to:
:hi:


Top
profilo
MessaggioInviato: 31/01/2013, 10:50 
Avatar utente

Iscritto il: 05/02/2009, 17:31
Messaggi: 9527
Località: milano
Nome: maurizio pavesi
magosti ha scritto:
Mmmmh.... Pronoto sinuato, interstrie lucide, femori anteriori e mediani giallastri....
Io voto Notiophilus rufipes Curtis, 1829 :to:
:hi:

anch'io :mrgreen:

inoltre il geminatus ha strie di punti molto più sottili, sono più delle lineette allineate longitudinalmente che dei veri e propri punti tondeggianti, e le interstrie successive alla 2a di larghezza vistosamente disuguale

_________________
*****************
Immagine maurizio


Top
profilo
MessaggioInviato: 31/01/2013, 14:39 
Avatar utente

Iscritto il: 10/05/2009, 15:30
Messaggi: 7183
Località: Ancona
Nome: Giacomo Giovagnoli
Grazie! :oops:

_________________
Immagine Giacomo


Top
profilo
Visualizza ultimi messaggi:  Ordina per  
nuovo argomento
rispondi
Pagina 1 di 1 [ 4 messaggi ]

Tutti gli orari sono UTC + 1 ora [ ora legale ]


Chi c’è in linea

Visitano il forum: Nessuno e 8 ospiti


Non puoi aprire nuovi argomenti
Non puoi rispondere negli argomenti
Non puoi modificare i tuoi messaggi
Non puoi cancellare i tuoi messaggi
Non puoi inviare allegati

Cerca per:
Vai a: