|
Tutti gli orari sono UTC + 1 ora [ ora legale ] |

|
| Autore | Messaggio | ||
|---|---|---|---|
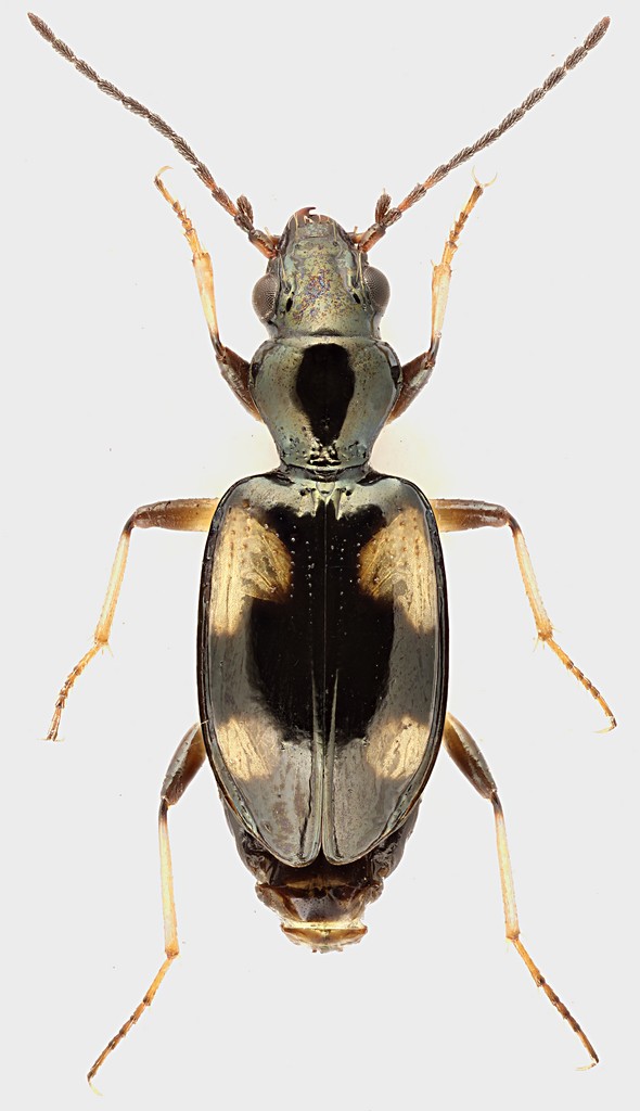
| Julodis |
|
||
|
Iscritto il: 30/12/2009, 22:20 Messaggi: 31564 Località: Roma Nome: Maurizio Gigli |
|
||
| Top |
|
||
| gomphus |
|
||
|
Iscritto il: 05/02/2009, 17:31 Messaggi: 9527 Località: milano Nome: maurizio pavesi |
|
||
| Top |
|
||
| Julodis |
|
||
|
Iscritto il: 30/12/2009, 22:20 Messaggi: 31564 Località: Roma Nome: Maurizio Gigli |
|
||
| Top |
|
||
|
Tutti gli orari sono UTC + 1 ora [ ora legale ] |
Chi c’è in linea |
Visitano il forum: Google [Bot] e 1 ospite |
Non puoi aprire nuovi argomenti Non puoi rispondere negli argomenti Non puoi modificare i tuoi messaggi Non puoi cancellare i tuoi messaggi Non puoi inviare allegati |