Benvenuto Ospite

Forum Entomologi Italiani

www.entomologiitaliani.net/forum
 
Oggi è 11/02/2026, 7:40

Tutti gli orari sono UTC + 1 ora [ ora legale ]

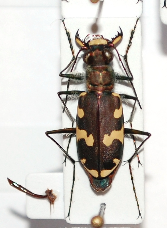
Cicindela (Cicindela) sachalinensis A.Morawitz, 1862 - Carabidae Cicindelinae

19.V.2012 - GIAPPONE - EE, Nagano - Shirabiso Pass m 1550 - R. Shimoyama leg.


nuovo argomento
rispondi
Pagina 1 di 1 [ 8 messaggi ]
Autore Messaggio
MessaggioInviato: 25/05/2013, 22:43 
Avatar utente

Iscritto il: 23/06/2010, 11:11
Messaggi: 2784
Località: Cagliari
Nome: Gianpaolo Ruzzante
mm 15 :hi:
altra bestiola giapponese


P1060439.JPG

Top
profilo
 Oggetto del messaggio: Re: Cicindela
MessaggioInviato: 26/05/2013, 14:21 
Avatar utente

Iscritto il: 08/05/2010, 22:25
Messaggi: 1463
Località: Milano
Nome: Riccardo Sciaky
Cicindela lewisii?

_________________
Riccardo


Top
profilo
 Oggetto del messaggio: Re: Cicindela
MessaggioInviato: 21/07/2013, 20:08 
Avatar utente

Iscritto il: 23/06/2010, 11:11
Messaggi: 2784
Località: Cagliari
Nome: Gianpaolo Ruzzante
Sempre dopo la consultazione The Coleoptera of Japan vol. II, mi pare più simile alla Cicindela sachalinensis che non la C.lewisii

la 1 C.sachalinensis la 4 C.lewisii
attendo lumi :hi:


C.sachalinensis.jpg

Top
profilo
 Oggetto del messaggio: Re: Cicindela
MessaggioInviato: 21/07/2013, 21:13 
Avatar utente

Iscritto il: 19/09/2009, 22:25
Messaggi: 5912
Località: Brescia
Nome: Vinicio Salami
ho in collezione delle sachalinensis e mi sembrano diverse dalla tua; le mie sono più grandi ed hanno le lunule chiare all'apice delle elitre.
però non conosco bene la variabilità di questa specie.
visto che la tua è un maschio, potrebbe essere utile l'estrazione.

:ok:


Top
profilo
 Oggetto del messaggio: Re: Cicindela
MessaggioInviato: 22/07/2013, 6:49 
Avatar utente

Iscritto il: 09/11/2009, 14:12
Messaggi: 5189
Località: Hradec Kralove,Czech republik
Nome: Jan Matějíček
Cicindela (s.str.) sachalinensis A.Morawitz, 1862
Cicindela (s.str.) lewisi Bates, 1873


lewisi Bates, 1873
lewisi.JPG

sachalinensis A.Morawitz, 1862
sachalinensis.JPG


_________________
Research Fields
Taxonomy, ecology, biomonitoring , faunistic of Staphylinidae
Top
profilo
 Oggetto del messaggio: Re: Cicindela
MessaggioInviato: 22/07/2013, 7:43 
Avatar utente

Iscritto il: 05/02/2009, 17:31
Messaggi: 9527
Località: milano
Nome: maurizio pavesi
anche se la colorazione fosse variabile... dalla forma del labrum, Cicindela (Cicindela) sachalinensis A.Morawitz, 1862

_________________
*****************
Immagine maurizio


Top
profilo
MessaggioInviato: 22/07/2013, 10:42 
Avatar utente

Iscritto il: 23/06/2010, 11:11
Messaggi: 2784
Località: Cagliari
Nome: Gianpaolo Ruzzante
:hp: Grazie a tutti voi :hi:


Top
profilo
MessaggioInviato: 22/07/2013, 16:45 
Avatar utente

Iscritto il: 19/09/2009, 22:25
Messaggi: 5912
Località: Brescia
Nome: Vinicio Salami
Io comunque procederei all'estrazione.


Top
profilo
Visualizza ultimi messaggi:  Ordina per  
nuovo argomento
rispondi
Pagina 1 di 1 [ 8 messaggi ]

Tutti gli orari sono UTC + 1 ora [ ora legale ]


Chi c’è in linea

Visitano il forum: Nessuno e 14 ospiti


Non puoi aprire nuovi argomenti
Non puoi rispondere negli argomenti
Non puoi modificare i tuoi messaggi
Non puoi cancellare i tuoi messaggi
Non puoi inviare allegati

Cerca per:
Vai a:  
cron