Benvenuto Ospite

Forum Entomologi Italiani

www.entomologiitaliani.net/forum
 
Oggi è 01/02/2026, 8:28

Tutti gli orari sono UTC + 1 ora [ ora legale ]

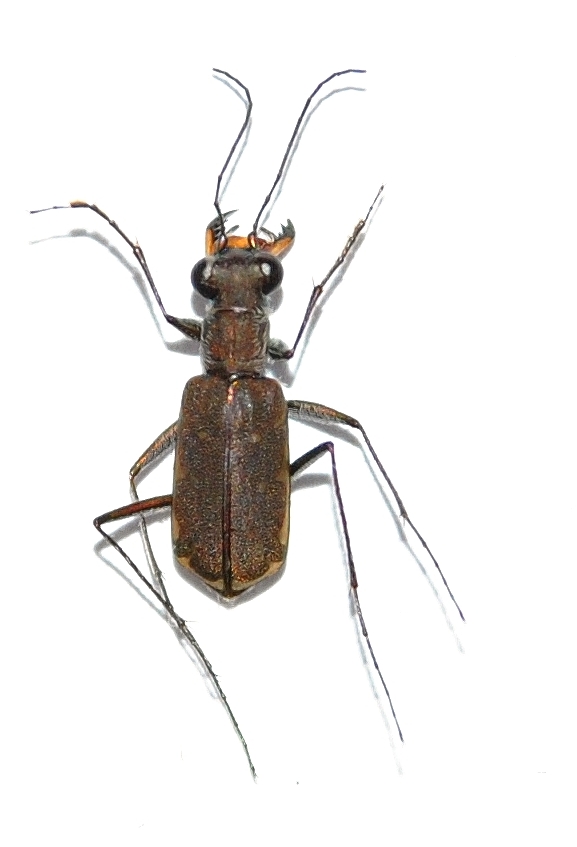
Myriochila (Myriochila) melancholica melancholica (Fabricius, 1798) - Carabidae Cicindelinae

23.V.2013 - MAROCCO - EE, Tamelalt, NW Ouled Teima


nuovo argomento
rispondi
Pagina 1 di 1 [ 3 messaggi ]
Autore Messaggio
MessaggioInviato: 20/06/2013, 18:43 
Avatar utente

Iscritto il: 16/05/2010, 14:26
Messaggi: 761
Località: United Kingdom
Nome: Zdenko Lucbauer
These were coming to the light.

:hi:


23.5.13, Tamelalt, Oulad Teima 042.JPG

Top
profilo
 Oggetto del messaggio: Re: Cicindela
MessaggioInviato: 20/06/2013, 19:43 
Avatar utente

Iscritto il: 05/02/2009, 17:31
Messaggi: 9527
Località: milano
Nome: maurizio pavesi
zdeno ha scritto:
These were coming to the light.

hi zdeno

it's not unusual for this species

Myriochila (Myriochila) melancholica melancholica (Fabricius, 1798)

_________________
*****************
Immagine maurizio


Top
profilo
MessaggioInviato: 20/06/2013, 20:25 
Avatar utente

Iscritto il: 16/05/2010, 14:26
Messaggi: 761
Località: United Kingdom
Nome: Zdenko Lucbauer
Ciao Maurizio

Not unusual for them, but very unusual for Dorcadion man :mrgreen:

Thanks a lot for your help !

:lov1:

:hi:


Top
profilo
Visualizza ultimi messaggi:  Ordina per  
nuovo argomento
rispondi
Pagina 1 di 1 [ 3 messaggi ]

Tutti gli orari sono UTC + 1 ora [ ora legale ]


Chi c’è in linea

Visitano il forum: Nessuno e 1 ospite


Non puoi aprire nuovi argomenti
Non puoi rispondere negli argomenti
Non puoi modificare i tuoi messaggi
Non puoi cancellare i tuoi messaggi
Non puoi inviare allegati

Cerca per:
Vai a:  
cron