Benvenuto Ospite

Forum Entomologi Italiani

www.entomologiitaliani.net/forum
 
Oggi è 04/02/2026, 19:54

Tutti gli orari sono UTC + 1 ora [ ora legale ]

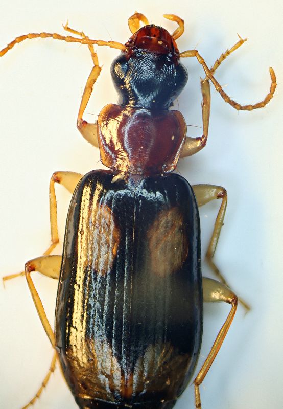
Dromius quadrimaculatus (Linnaeus, 1758) - Carabidae - Sasso Marconi (BO)

22.I.2010 - ITALIA - Emilia-Romagna - BO, Sasso Marconi - Palazzo Rossi


nuovo argomento
rispondi
Pagina 1 di 1 [ 4 messaggi ]
Autore Messaggio
MessaggioInviato: 22/01/2010, 23:06 
Avatar utente

Iscritto il: 05/02/2009, 17:25
Messaggi: 4894
Località: Zola Predosa (BO)
Nome: Loris Colacurcio
Come già anticipato, oggi mi sono regalato una scampagnata a Palazzo Rossi :hp:

Vista la stagione (-1°) ho preferito indagare i platani che costeggiano un'antica strada ormai in disuso (il vecchio accesso del borgo). Seguendo i vostri consigli, mi sono attrezzato per evitare perdite durante l'operazione di "distacco".
Così, con una comoda bacinella (25x25 cm) appoggiata poco più in basso potevo staccare le scaglie già morte di corteccia e vedere cosa c'era.

Ed in questo modo, stavolta, il carabidino a 4 macchie non è sfugitto......

Sasso Marconi (BO) - Palazzo Rossi, 22.I.2010
Sotto corteccia di platano
Lunghezza: 5,5 mm
(Carabide) corticicolo1b.JPG


(Carabide) corticicolo1a.JPG


_________________
Loris


Top
profilo
MessaggioInviato: 22/01/2010, 23:14 
Avatar utente

Iscritto il: 06/02/2009, 9:03
Messaggi: 6378
Località: Bubano di Mordano (Bologna)
Nome: Augusto Degiovanni
Infatti come volevasi dimostrare è un Dromius quadrimaculatus (Linné, 1758) ;) :ok:

_________________
CIAO :hi: Augusto Degiovanni

http://anthicidaeecarabidae.altervista.org


Top
profilo
MessaggioInviato: 22/01/2010, 23:21 
Avatar utente

Iscritto il: 18/02/2009, 0:24
Messaggi: 3909
Località: Asciano (Siena)
Nome: Andrea Petrioli
Ciao Loris,

si tratta di Dromius (Dromius) quadrimaculatus (Linnaeus 1758)



:hi:

andrea


....arrivato in ritardo... :sick:

_________________
:hi:
______
Andrea


Top
profilo
MessaggioInviato: 22/01/2010, 23:24 
Avatar utente

Iscritto il: 05/02/2009, 17:25
Messaggi: 4894
Località: Zola Predosa (BO)
Nome: Loris Colacurcio
Danke !
:birra:

_________________
Loris


Top
profilo
Visualizza ultimi messaggi:  Ordina per  
nuovo argomento
rispondi
Pagina 1 di 1 [ 4 messaggi ]

Tutti gli orari sono UTC + 1 ora [ ora legale ]


Chi c’è in linea

Visitano il forum: silviastef e 2 ospiti


Non puoi aprire nuovi argomenti
Non puoi rispondere negli argomenti
Non puoi modificare i tuoi messaggi
Non puoi cancellare i tuoi messaggi
Non puoi inviare allegati

Cerca per:
Vai a: