Benvenuto Ospite

Forum Entomologi Italiani

www.entomologiitaliani.net/forum
 
Oggi è 12/12/2025, 3:53

Tutti gli orari sono UTC + 1 ora [ ora legale ]

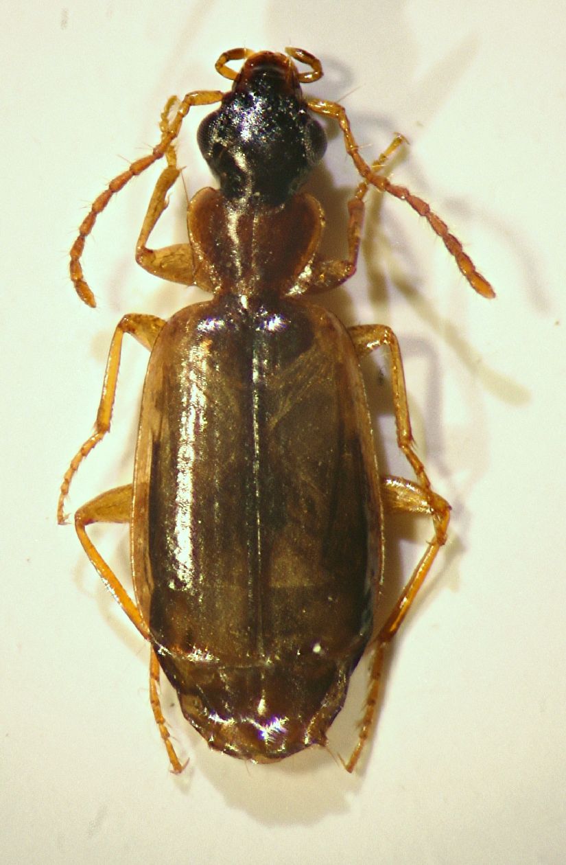
Philorhizus melanocephalus (Dejean, 1825) - Carabidae - (paludi ravennati)

6.I.2014 - ITALIA - Emilia-Romagna - RA, Punta Alberete


nuovo argomento
rispondi
Pagina 1 di 1 [ 3 messaggi ]
Autore Messaggio
MessaggioInviato: 12/01/2014, 0:57 
Avatar utente

Iscritto il: 05/02/2009, 17:25
Messaggi: 4894
Località: Zola Predosa (BO)
Nome: Loris Colacurcio
Sempre cercando di non dire grosse castronerie....Philoctus ?

Lunghezza:3.5 mm.

P.Alberete carab06 3.5mm 6.01.14.JPG


_________________
Loris


Top
profilo
MessaggioInviato: 12/01/2014, 1:09 
Avatar utente

Iscritto il: 05/02/2009, 17:31
Messaggi: 9527
Località: milano
Nome: maurizio pavesi
Loriscola ha scritto:
Sempre cercando di non dire grosse castronerie....Philoctus ? ...

forse ;) volevi dire Philorhizus?

a occhio :oooner: ( :mrgreen: ) direi Philorhizus melanocephalus (Dejean, 1825)

_________________
*****************
Immagine maurizio


Top
profilo
MessaggioInviato: 13/01/2014, 9:28 
Avatar utente

Iscritto il: 05/02/2009, 17:25
Messaggi: 4894
Località: Zola Predosa (BO)
Nome: Loris Colacurcio
...voelvo dire Philorhizus, ma la mia memoria (mai stata brillante) si è ulteriormente opacizzata ! :oops:

_________________
Loris


Top
profilo
Visualizza ultimi messaggi:  Ordina per  
nuovo argomento
rispondi
Pagina 1 di 1 [ 3 messaggi ]

Tutti gli orari sono UTC + 1 ora [ ora legale ]


Chi c’è in linea

Visitano il forum: Bing [Bot] e 2 ospiti


Non puoi aprire nuovi argomenti
Non puoi rispondere negli argomenti
Non puoi modificare i tuoi messaggi
Non puoi cancellare i tuoi messaggi
Non puoi inviare allegati

Cerca per:
Vai a:  
cron