| Autore |
Messaggio |
|
Andrea Pergine
|
Inviato: 04/02/2010, 0:59 |
|
Iscritto il: 22/05/2009, 21:00 Messaggi: 2780 Località: Pergine Valsugana (TN)
Nome: Andrea Carlin
|
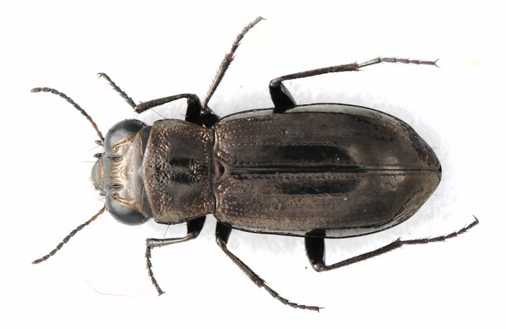
Chiedo conferma in quanto le chiavi che ho sono alquanto datate (e forse imprecise). (P.S: scusate, non riesco a mettere le due immagini fianco a fianco....) Lombardia, Passo Gavia 2650m 07.VII.2000 - lunghezza 5,2 mm Alto Adige, Valles (BZ) Picco della Croce 2700m 30.IX.2009 - lunghezza 5 mm
_________________ Andrea Carlin, Pergine Valsugana (TN) carlin.andrea(AT)gmail.com
Nota: tutti gli esemplari inseriti nelle discussioni aperte da me sono da ritenere "Andrea Carlin legit" se non diversamente specificato.
|
|
| Top |
|
 |
|
pedux
|
Inviato: 04/02/2010, 9:27 |
|
Iscritto il: 06/02/2009, 9:07 Messaggi: 1493 Località: Val Camonica (BS)
Nome: Davide Pedersoli
|
arriverà Maurizio e ti dirà di guardare quanti pori ci sono alla fine della terza o quarta intestria delle elitre, se sono due è aesthuans, se è uno aquaticus, o almeno credo 
_________________ Pedux Camuno
|
|
| Top |
|
 |
|
pedux
|
Inviato: 04/02/2010, 9:28 |
|
Iscritto il: 06/02/2009, 9:07 Messaggi: 1493 Località: Val Camonica (BS)
Nome: Davide Pedersoli
|
cmq l' aquaticus al Gavia è comunissimo nei suoli intrisi e l'ho preso anche io 
_________________ Pedux Camuno
|
|
| Top |
|
 |
|
Andrea Pergine
|
Inviato: 04/02/2010, 9:54 |
|
Iscritto il: 22/05/2009, 21:00 Messaggi: 2780 Località: Pergine Valsugana (TN)
Nome: Andrea Carlin
|
Ti ringrazio Davide Sarà lui, di poro ne vedo uno solo! (e le tibie sono nere!) Alcuni caratteri però non mi sembravano uguali (tipo gli angoli posteriori del pronoto, la fronte, la brillantezza (assenza di microscultura) elitrale, ecc... ). Devo precisare che il secondo esemplare (quello dell'Alto Adige) lo avevo già postato un po' di tempo fa ed era stato determinato come aquaticus! 
_________________ Andrea Carlin, Pergine Valsugana (TN) carlin.andrea(AT)gmail.com
Nota: tutti gli esemplari inseriti nelle discussioni aperte da me sono da ritenere "Andrea Carlin legit" se non diversamente specificato.
|
|
| Top |
|
 |
|
gomphus
|
Inviato: 04/02/2010, 13:16 |
|
Iscritto il: 05/02/2009, 17:31 Messaggi: 9527 Località: milano
Nome: maurizio pavesi
|
ciao andrea in effetti non sembrano proprio uguali  , in particolare il primo esemplare, riguardandolo, non sembra del tutto privo di microscultura sulle interstrie esterne, e anche la differenza nella punteggiatura delle strie elitrali mi lascia perplesso tu dici che Andrea Pergine ha scritto: ... il secondo esemplare (quello dell'Alto Adige) lo avevo già postato un po' di tempo fa ed era stato determinato come aquaticus!... è vero, ma era stato determinato come tale non perché dalla foto si vedesse chiaramente, ma perché Andrea Pergine ha scritto: Confermo, c'è un poro solo!!! ... a questo punto, sei proprio sicuro che di poro ce n'è solo uno, vero  ?
_________________ ***************** maurizio
|
|
| Top |
|
 |
|
Andrea Pergine
|
Inviato: 04/02/2010, 18:51 |
|
Iscritto il: 22/05/2009, 21:00 Messaggi: 2780 Località: Pergine Valsugana (TN)
Nome: Andrea Carlin
|
Il poro setifero è uno solo in entrambi gli esemplari. esemplare del Passo Gavia esemplare dell'Alto Adige
_________________ Andrea Carlin, Pergine Valsugana (TN) carlin.andrea(AT)gmail.com
Nota: tutti gli esemplari inseriti nelle discussioni aperte da me sono da ritenere "Andrea Carlin legit" se non diversamente specificato.
|
|
| Top |
|
 |
|
gomphus
|
Inviato: 04/02/2010, 19:38 |
|
Iscritto il: 05/02/2009, 17:31 Messaggi: 9527 Località: milano
Nome: maurizio pavesi
|
|
ciao andrea
potresti farmi una foto più ingrandita dell'apice dell'elitra destra, magari visto leggermente di lato, dell'esemplare dell'alto adige? c'è qualcosa che non mi quadra
_________________ ***************** maurizio
|
|
| Top |
|
 |
|
Andrea Pergine
|
Inviato: 05/02/2010, 0:30 |
|
Iscritto il: 22/05/2009, 21:00 Messaggi: 2780 Località: Pergine Valsugana (TN)
Nome: Andrea Carlin
|
Scusa Maurizio ma stasera non sono riuscito a far niente: posto comunque questo crop, chissà che comunque tu veda (o non veda) quello che cercavi! A domani. Grazie Apice elitre Notiophilus Alto Adige
_________________ Andrea Carlin, Pergine Valsugana (TN) carlin.andrea(AT)gmail.com
Nota: tutti gli esemplari inseriti nelle discussioni aperte da me sono da ritenere "Andrea Carlin legit" se non diversamente specificato.
|
|
| Top |
|
 |
|
gomphus
|
Inviato: 05/02/2010, 1:15 |
|
Iscritto il: 05/02/2009, 17:31 Messaggi: 9527 Località: milano
Nome: maurizio pavesi
|
ciao andrea il crop non è nitidissimo... ma ho ancor più l'impressione che almeno a destra i pori siano due, di cui l'anteriore ha perso la setola; a sinistra in effetti sembrerebbe essercene uno solo, il che potrebbe essere un'anomalia individuale domani (anzi no, stamattina  ) faccio un confrontino con esemplari di aquaticus & aestuans, prescindendo dai punti
_________________ ***************** maurizio
|
|
| Top |
|
 |
|
Andrea Pergine
|
Inviato: 12/02/2010, 1:48 |
|
Iscritto il: 22/05/2009, 21:00 Messaggi: 2780 Località: Pergine Valsugana (TN)
Nome: Andrea Carlin
|
|
_________________ Andrea Carlin, Pergine Valsugana (TN) carlin.andrea(AT)gmail.com
Nota: tutti gli esemplari inseriti nelle discussioni aperte da me sono da ritenere "Andrea Carlin legit" se non diversamente specificato.
|
|
| Top |
|
 |
|
gomphus
|
Inviato: 12/02/2010, 13:00 |
|
Iscritto il: 05/02/2009, 17:31 Messaggi: 9527 Località: milano
Nome: maurizio pavesi
|
ciao andrea fai bene a rompere, quando è il caso  ... io sono stato un tantino preso, e sono riuscito solo ora a fare il confronto per quello vecchio dell'alto adige, che sono già andato a correggere, la punteggiatura del margine anteriore del pronoto, più estesa verso il disco, e le strie elitrali indicano chiaramente Notiophilus aestuans Dejean, 1826qui ho indicato quello che secondo me è il secondo punto, senza più la setola e quindi quello del passo gavia al momento è l'unico autentico Notiophilus aquaticus (Linnaeus, 1758)
_________________ ***************** maurizio
|
|
| Top |
|
 |
|
Andrea Pergine
|
Inviato: 13/02/2010, 0:20 |
|
Iscritto il: 22/05/2009, 21:00 Messaggi: 2780 Località: Pergine Valsugana (TN)
Nome: Andrea Carlin
|
|
_________________ Andrea Carlin, Pergine Valsugana (TN) carlin.andrea(AT)gmail.com
Nota: tutti gli esemplari inseriti nelle discussioni aperte da me sono da ritenere "Andrea Carlin legit" se non diversamente specificato.
|
|
| Top |
|
 |
|