Benvenuto Ospite

Forum Entomologi Italiani

www.entomologiitaliani.net/forum
 
Oggi è 03/02/2026, 6:18

Tutti gli orari sono UTC + 1 ora [ ora legale ]

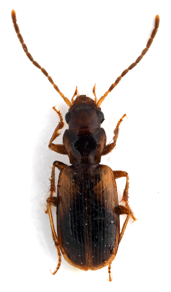
Anthracus longicornis (Schaum, 1857) - Carabidae

25.IV.2012 - ITALIA - Emilia-Romagna - FC, S. Angelo, Gatteo


nuovo argomento
rispondi
Pagina 1 di 1 [ 1 messaggio ]
Autore Messaggio
MessaggioInviato: 23/10/2014, 20:22 
Avatar utente

Iscritto il: 10/05/2009, 15:30
Messaggi: 7182
Località: Ancona
Nome: Giacomo Giovagnoli
Anthracus longicornis (Schaum, 1857).

S. Angelo, Gatteo (Ferrara); 25.IV.2012; lg. G. Platia :lov2:

[grazie zio per le foto!!! :birra: ]

Esemplare 1, dimensioni: 4mm
Comb1477_12zF3cr.jpg


Comb1478_36zF3cr.jpg


Comb1479_36zF3cr.jpg



Esemplare 2, dimensioni: 4mm
Comb1656_11zF3cr.jpg


Comb1657_28zF3cr.jpg


Comb1658_44zF3cr.jpg


Comb1659_57zF3cr.jpg



Ciao :)

_________________
Immagine Giacomo


Top
profilo
Visualizza ultimi messaggi:  Ordina per  
nuovo argomento
rispondi
Pagina 1 di 1 [ 1 messaggio ]

Tutti gli orari sono UTC + 1 ora [ ora legale ]


Chi c’è in linea

Visitano il forum: Nessuno e 3 ospiti


Non puoi aprire nuovi argomenti
Non puoi rispondere negli argomenti
Non puoi modificare i tuoi messaggi
Non puoi cancellare i tuoi messaggi
Non puoi inviare allegati

Cerca per:
Vai a:  
cron