Benvenuto Ospite

Forum Entomologi Italiani

www.entomologiitaliani.net/forum
 
Oggi è 27/03/2026, 13:26

Tutti gli orari sono UTC + 1 ora [ ora legale ]

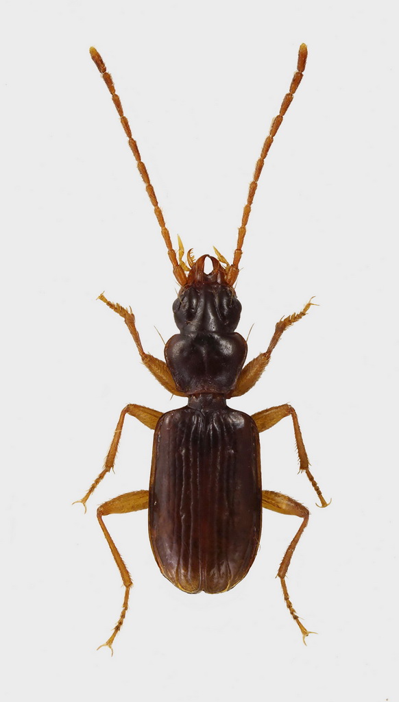
Thalassophilus longicornis (Sturm, 1825) - Carabidae

8.V.2015 - ITALIA - Veneto - PD, Casoni di Cittadella - riva fiume Brenta


nuovo argomento
rispondi
Pagina 1 di 1 [ 4 messaggi ]
Autore Messaggio
MessaggioInviato: 20/05/2015, 9:00 
Avatar utente

Iscritto il: 08/11/2010, 12:40
Messaggi: 1722
Località: Brescia
Nome: Mauro Agosti
E' la prima volta che mi capita di trovarne più esemplari insieme in un'area di alcuni metri quadrati.
Ne ho approfittato per fare una prova con l'obiettivo invertito ;)
3,8 mm
Thal2FEI.jpg



Top
profilo
MessaggioInviato: 20/05/2015, 10:02 
Avatar utente

Iscritto il: 25/05/2011, 22:20
Messaggi: 555
Località: MILANO
Nome: FABIO SERENI
Bella anche questa foto. Ma cosa intendi per obiettivo invertito ?
Io ho 3 esemplari di questa specie, trovati effettivamente tutti e tre in luoghi e tempi diversi
:hi:

_________________
Fabio Sereni


Top
profilo
MessaggioInviato: 20/05/2015, 18:42 
Avatar utente

Iscritto il: 08/11/2010, 12:40
Messaggi: 1722
Località: Brescia
Nome: Mauro Agosti
Ciao Fabio, vuol dire che ho montato l'obiettivo rovesciato, in questo caso sul soffietto, attraverso un anello di inversione.
Ovvero la parte frontale dell'obiettivo rivolta verso il corpo macchina.
:hi:


Top
profilo
MessaggioInviato: 20/05/2015, 22:34 
Avatar utente

Iscritto il: 25/05/2011, 22:20
Messaggi: 555
Località: MILANO
Nome: FABIO SERENI
Ci capisco veramente poco in fotografia... Io ho preso una Coolpix 4500 usata l'anno scorso ma dopo poco ha incominciato ad avere qualche problema ed ora l'ho portata in un centro Nikon. Spero non mi spolpino..
Vorrei veramente cominciare a fare qualche foto anch'io su soggetti preparati. Ho anche preso un adattatore per la Coolpix in modo da agganciarla all'oculare del microscopio. Niente soffietti od altre strumentazioni per il momento, voglio vedere se riesco a fare qualche foto almeno decente tramite il micro, ovviamente solo su soggetti non molto grandi, per me sarebbe già tanto...
Ho visto altre tue foto recenti, bellissime...c'è un livello ormai altissimo sul Forum anche a livello fotografico.
:hi:

_________________
Fabio Sereni


Top
profilo
Visualizza ultimi messaggi:  Ordina per  
nuovo argomento
rispondi
Pagina 1 di 1 [ 4 messaggi ]

Tutti gli orari sono UTC + 1 ora [ ora legale ]


Chi c’è in linea

Visitano il forum: Nessuno e 6 ospiti


Non puoi aprire nuovi argomenti
Non puoi rispondere negli argomenti
Non puoi modificare i tuoi messaggi
Non puoi cancellare i tuoi messaggi
Non puoi inviare allegati

Cerca per:
Vai a: