Benvenuto Ospite

Forum Entomologi Italiani

www.entomologiitaliani.net/forum
 
Oggi è 15/03/2026, 17:33

Tutti gli orari sono UTC + 1 ora [ ora legale ]

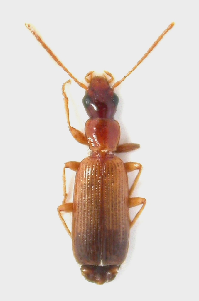
Paradromius (Manodromius) linearis (Olivier, 1795) - Carabidae

30.III.2015 - MALTA - EE, isola di Gozo, sistema dunale di Ramla, R. Rattu leg.


nuovo argomento
rispondi
Pagina 1 di 1 [ 3 messaggi ]
Autore Messaggio
MessaggioInviato: 06/11/2015, 15:53 
Avatar utente

Iscritto il: 02/09/2009, 20:57
Messaggi: 8703
Località: Cagliari
Nome: Roberto Rattu
Paradromius (Manodromius) linearis da confermare: misura 4.5 mm. Trovato all'interno di fusti secchi di graminacee mentre cercavo Nalassus:

DSCN0921.JPG



Top
profilo
MessaggioInviato: 07/11/2015, 17:12 
Avatar utente

Iscritto il: 14/03/2009, 12:59
Messaggi: 3254
Località: Milano
Nome: Gabriele Franzini
:ok:
Ciao G.


Top
profilo
MessaggioInviato: 07/11/2015, 19:43 
Avatar utente

Iscritto il: 02/09/2009, 20:57
Messaggi: 8703
Località: Cagliari
Nome: Roberto Rattu
Grazie :birra:

:hi:


Top
profilo
Visualizza ultimi messaggi:  Ordina per  
nuovo argomento
rispondi
Pagina 1 di 1 [ 3 messaggi ]

Tutti gli orari sono UTC + 1 ora [ ora legale ]


Chi c’è in linea

Visitano il forum: Nessuno e 22 ospiti


Non puoi aprire nuovi argomenti
Non puoi rispondere negli argomenti
Non puoi modificare i tuoi messaggi
Non puoi cancellare i tuoi messaggi
Non puoi inviare allegati

Cerca per:
Vai a: