Benvenuto Ospite

Forum Entomologi Italiani

www.entomologiitaliani.net/forum
 
Oggi è 23/03/2026, 8:20

Tutti gli orari sono UTC + 1 ora [ ora legale ]

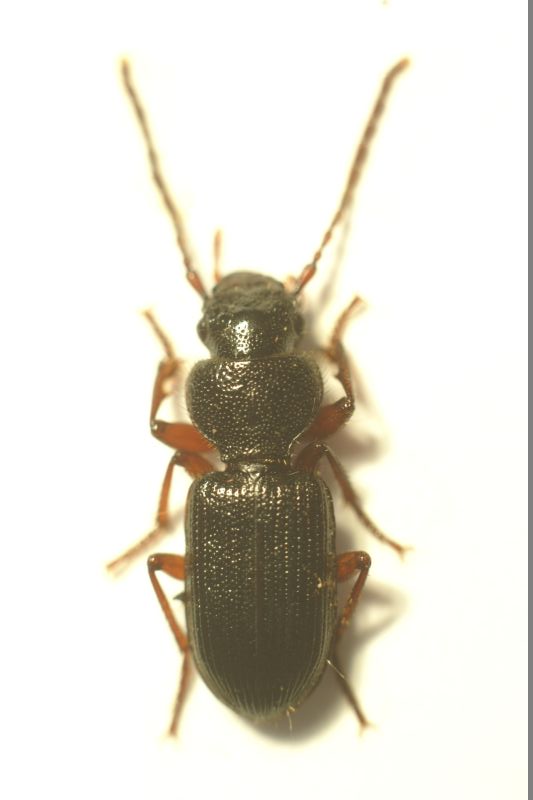
Carterus (Carterus) fulvipes (Latreille, 1817) (cf.) - Carabidae

25.VI.2016 - ITALIA - Marche - MC, Frontignano, Ussita, Cristo delle Nevi


nuovo argomento
rispondi
Pagina 1 di 1 [ 5 messaggi ]
Autore Messaggio
MessaggioInviato: 07/11/2016, 17:19 
 

Iscritto il: 09/08/2013, 15:35
Messaggi: 1260
Nome: Andrea marata
Salve,
Chi è costui?...
Grazie
Andrea :hi:
Dimensioni: 8 mm
DSC02738.jpg


DSC02740.jpg



Top
profilo
 Oggetto del messaggio: Re: Chi è costui?
MessaggioInviato: 07/11/2016, 17:25 
Avatar utente

Iscritto il: 24/11/2015, 19:04
Messaggi: 992
Località: Marina Romea (RA)
Nome: Nicola Cuffiani
Carterus dama :roll: :roll: ?
:hi:Nik

_________________
Nel mezzo del cammin di nostra vita mi ritrovai per una selva oscura, ché la diritta via era smarrita... (Inferno canto I)


Top
profilo
 Oggetto del messaggio: Re: Chi è costui?
MessaggioInviato: 07/11/2016, 20:26 
 

Iscritto il: 09/08/2013, 15:35
Messaggi: 1260
Nome: Andrea marata
E' lui? :roll:
Andrea :hi:


Top
profilo
 Oggetto del messaggio: Re: Chi è costui?
MessaggioInviato: 08/11/2016, 14:32 
Avatar utente

Iscritto il: 10/05/2009, 15:30
Messaggi: 7183
Località: Ancona
Nome: Giacomo Giovagnoli
Credo Carterus (Carterus) fulvipes (Latreille, 1817)...

Ciao :)

_________________
Immagine Giacomo


Top
profilo
 Oggetto del messaggio: Re: Chi è costui?
MessaggioInviato: 08/11/2016, 15:52 
 

Iscritto il: 09/08/2013, 15:35
Messaggi: 1260
Nome: Andrea marata
Devo controllare il clipeo e l'apice della tibia anteriore?
Andrea :hi:


Top
profilo
Visualizza ultimi messaggi:  Ordina per  
nuovo argomento
rispondi
Pagina 1 di 1 [ 5 messaggi ]

Tutti gli orari sono UTC + 1 ora [ ora legale ]


Chi c’è in linea

Visitano il forum: Nessuno e 20 ospiti


Non puoi aprire nuovi argomenti
Non puoi rispondere negli argomenti
Non puoi modificare i tuoi messaggi
Non puoi cancellare i tuoi messaggi
Non puoi inviare allegati

Cerca per:
Vai a: