Benvenuto Ospite

Forum Entomologi Italiani

www.entomologiitaliani.net/forum
 
Oggi è 11/12/2025, 23:21

Tutti gli orari sono UTC + 1 ora [ ora legale ]

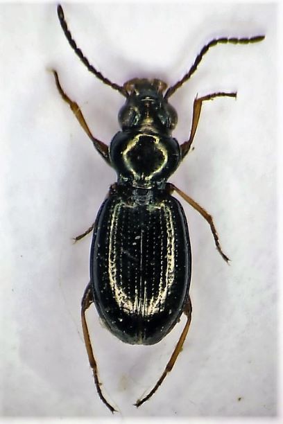
Metallina lampros (Herbst, 1784) - Carabidae

26.II.2014 - ITALIA - Emilia-Romagna - FE, Mesola


nuovo argomento
rispondi
Pagina 1 di 1 [ 4 messaggi ]
Autore Messaggio
MessaggioInviato: 08/01/2019, 0:36 
Avatar utente

Iscritto il: 12/07/2010, 15:33
Messaggi: 2314
Località: Casale Marittimo (PI)
Nome: Stefano Cosimi
lunghezza 3 mm
D. Maccapani leg.


Carabide10.jpg


_________________
Stefano Cosimi
Top
profilo
 Oggetto del messaggio: Re: carabidino da ID
MessaggioInviato: 08/01/2019, 7:23 
Avatar utente

Iscritto il: 19/06/2012, 14:35
Messaggi: 5647
Località: Alfonsine (RA)
Nome: Marco Villani
Probabilmente Metallina (Metallina) lampros. Controlla se ha 6 o 7 strie elitrali.
Marco :hi:


Top
profilo
 Oggetto del messaggio: Re: carabidino da ID
MessaggioInviato: 17/01/2019, 22:10 
Avatar utente

Iscritto il: 09/06/2012, 20:57
Messaggi: 4283
Località: Mesola (FE)
Nome: Daniele Maccapani
Visto che sei in moto per l'Agrilus, avresti in sospeso anche questo, Stefano :hi:

_________________
"Lasciate questo mondo un po' migliore di come lo avete trovato" (Sir Robert Baden Powell)
Immagine Daniele


Top
profilo
 Oggetto del messaggio: Re: carabidino da ID
MessaggioInviato: 19/01/2019, 0:54 
Avatar utente

Iscritto il: 12/07/2010, 15:33
Messaggi: 2314
Località: Casale Marittimo (PI)
Nome: Stefano Cosimi
la settima stria non c'è... quindi lampros


strie.jpg


_________________
Stefano Cosimi
Top
profilo
Visualizza ultimi messaggi:  Ordina per  
nuovo argomento
rispondi
Pagina 1 di 1 [ 4 messaggi ]

Tutti gli orari sono UTC + 1 ora [ ora legale ]


Chi c’è in linea

Visitano il forum: Google [Bot] e 4 ospiti


Non puoi aprire nuovi argomenti
Non puoi rispondere negli argomenti
Non puoi modificare i tuoi messaggi
Non puoi cancellare i tuoi messaggi
Non puoi inviare allegati

Cerca per:
Vai a: