Benvenuto Ospite

Forum Entomologi Italiani

www.entomologiitaliani.net/forum
 
Oggi è 04/04/2026, 3:00

Tutti gli orari sono UTC + 1 ora [ ora legale ]

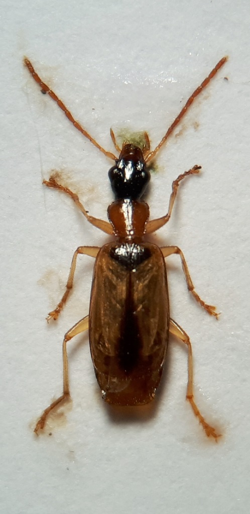
Demetrias (Demetrias) atricapillus (Linnaeus, 1758) - Carabidae

31.III.2019 - ITALIA - Veneto - PD, Oasi Cà di Mezzo


nuovo argomento
rispondi
Pagina 1 di 1 [ 3 messaggi ]
Autore Messaggio
MessaggioInviato: 05/04/2019, 9:42 
Avatar utente

Iscritto il: 26/03/2018, 14:22
Messaggi: 132
Località: Vigonovo
Nome: Matteo Beccardi
Ciao a tutti! Ho raccolto questo strano carabide mentre sfalciavo con il retino da sfalcio. Ho provato a a determinarlo con delle chiavi ma non ci sono riuscito. Voi avete qualche idea?


20190331_222141.jpg

20190331_222303.jpg

20190331_222225.jpg


_________________
Matteo
Top
profilo
 Oggetto del messaggio: Re: Coleottero Carabidae
MessaggioInviato: 05/04/2019, 10:05 
Avatar utente

Iscritto il: 24/04/2010, 8:24
Messaggi: 5095
Nome: Lucio Morin
Demetrias (Demetrias) atricapillus (Linnaeus, 1758) - Carabidae
Ciao Lucio

_________________
A VOLTE E' MEGLIO TACERE E SEMBRARE STUPIDI CHE APRIR BOCCA E TOGLIERE OGNI DUBBIO Oscar Wilde


Top
profilo
 Oggetto del messaggio: Re: Coleottero Carabidae
MessaggioInviato: 05/04/2019, 12:36 
Avatar utente

Iscritto il: 26/03/2018, 14:22
Messaggi: 132
Località: Vigonovo
Nome: Matteo Beccardi
Grazie mille dell'aiuto :ok:

_________________
Matteo


Top
profilo
Visualizza ultimi messaggi:  Ordina per  
nuovo argomento
rispondi
Pagina 1 di 1 [ 3 messaggi ]

Tutti gli orari sono UTC + 1 ora [ ora legale ]


Chi c’è in linea

Visitano il forum: Google [Bot] e 10 ospiti


Non puoi aprire nuovi argomenti
Non puoi rispondere negli argomenti
Non puoi modificare i tuoi messaggi
Non puoi cancellare i tuoi messaggi
Non puoi inviare allegati

Cerca per:
Vai a: