Benvenuto Ospite

Forum Entomologi Italiani

www.entomologiitaliani.net/forum
 
Oggi è 23/03/2026, 19:03

Tutti gli orari sono UTC + 1 ora [ ora legale ]

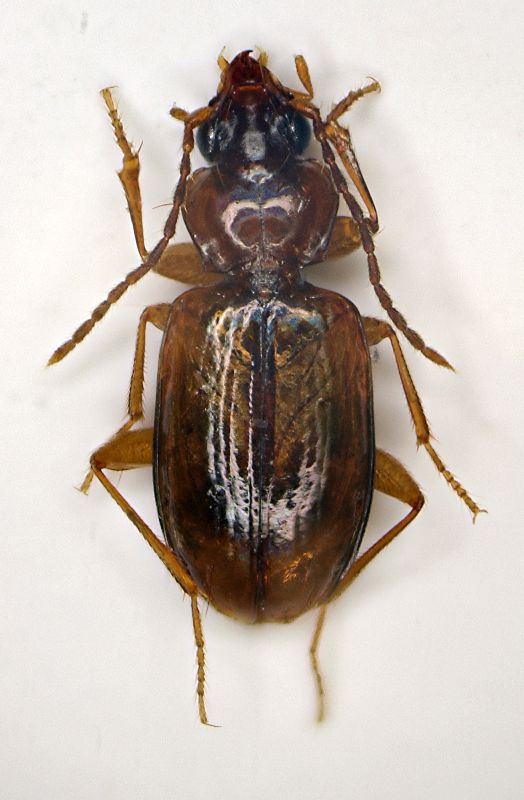
Paratachys fulvicollis (Dejean, 1831) - Carabidae

VI.2010 - ITALIA - Emilia-Romagna - BO, Sasso Marconi (BO) - Palazzo Rossi


nuovo argomento
rispondi
Pagina 1 di 1 [ 3 messaggi ]
Autore Messaggio
MessaggioInviato: 22/06/2010, 16:21 
Avatar utente

Iscritto il: 05/02/2009, 17:25
Messaggi: 4894
Località: Zola Predosa (BO)
Nome: Loris Colacurcio
Secondo carabide raccolto al lume, unico esemplare in questo caso.

Sasso Marconi (BO) - Palazzo Rossi, giugno 2010
Lunghezza: circa 4 mm. o poco più

Carabide 05 notte.JPG


_________________
Loris


Top
profilo
MessaggioInviato: 22/06/2010, 19:37 
Avatar utente

Iscritto il: 08/05/2010, 22:25
Messaggi: 1463
Località: Milano
Nome: Riccardo Sciaky
Questo è un bel Paratachys fulvicollis (Dejean, 1831), specie non proprio comunissima, anche se discretamente diffusa.

_________________
Riccardo


Top
profilo
MessaggioInviato: 22/06/2010, 20:17 
Avatar utente

Iscritto il: 06/02/2009, 9:03
Messaggi: 6379
Località: Bubano di Mordano (Bologna)
Nome: Augusto Degiovanni
Concordo :ok:

_________________
CIAO :hi: Augusto Degiovanni

http://anthicidaeecarabidae.altervista.org


Top
profilo
Visualizza ultimi messaggi:  Ordina per  
nuovo argomento
rispondi
Pagina 1 di 1 [ 3 messaggi ]

Tutti gli orari sono UTC + 1 ora [ ora legale ]


Chi c’è in linea

Visitano il forum: Nessuno e 15 ospiti


Non puoi aprire nuovi argomenti
Non puoi rispondere negli argomenti
Non puoi modificare i tuoi messaggi
Non puoi cancellare i tuoi messaggi
Non puoi inviare allegati

Cerca per:
Vai a: