Benvenuto Ospite

Forum Entomologi Italiani

www.entomologiitaliani.net/forum
 
Oggi è 04/04/2026, 1:27

Tutti gli orari sono UTC + 1 ora [ ora legale ]

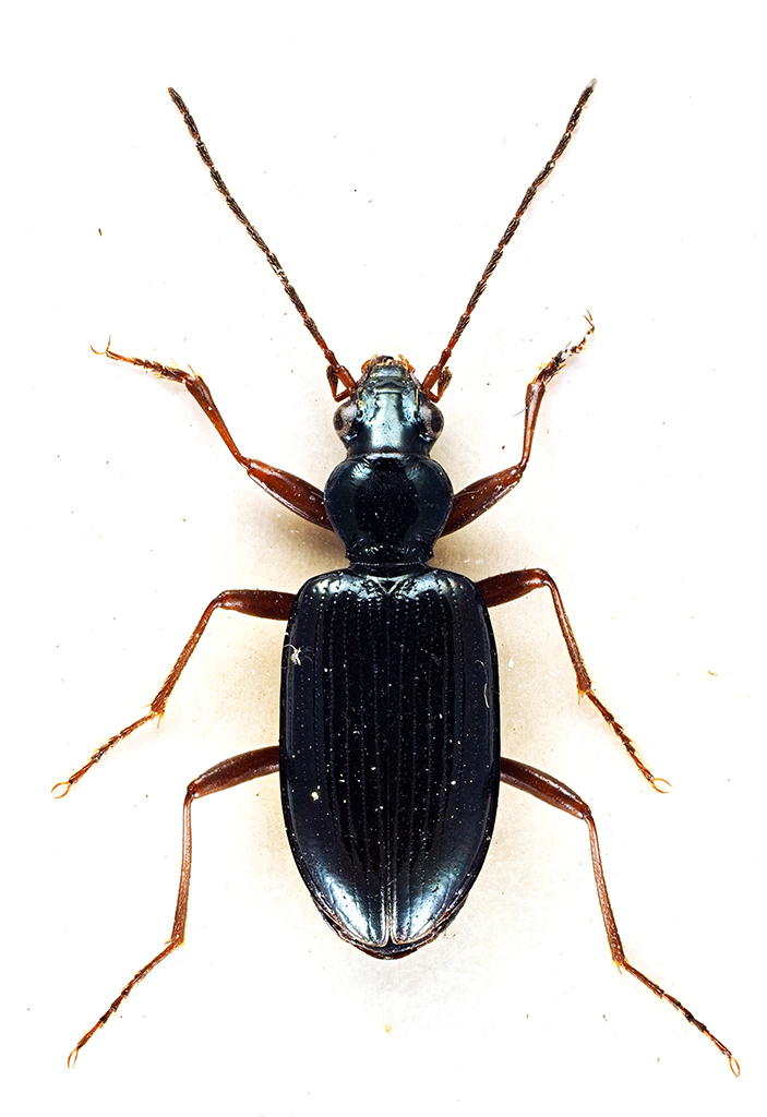
Ocydromus (Euperyphus) fulvipes (Sturm, 1827) - Carabidae

1.VIII.2011 - ITALIA - Friuli-Venezia Giulia - UD, Trasaghis, fiume Tagliamento


nuovo argomento
rispondi
Pagina 1 di 1 [ 1 messaggio ]
Autore Messaggio
MessaggioInviato: 17/02/2020, 22:57 
Avatar utente

Iscritto il: 10/05/2009, 15:30
Messaggi: 7183
Località: Ancona
Nome: Giacomo Giovagnoli
Ocydromus (Euperyphus) fulvipes (Sturm, 1827).

Trasaghis, fiume Tagliamento (Udine); 01.VIII.2011; lg. M. Andreucci

[grazie zio per le foto!!! :birra: ]

Esemplare 1; dimensioni: 8mm
Comb2955-22zL6cr.jpg


Comb2956-59zL6cr.jpg



Esemplare 2; dimensioni: 8mm
Comb2969-19zL6cr.jpg


Comb2970-59zL6cr.jpg



Ciao :)

_________________
Immagine Giacomo


Top
profilo
Visualizza ultimi messaggi:  Ordina per  
nuovo argomento
rispondi
Pagina 1 di 1 [ 1 messaggio ]

Tutti gli orari sono UTC + 1 ora [ ora legale ]


Chi c’è in linea

Visitano il forum: Google [Bot] e 4 ospiti


Non puoi aprire nuovi argomenti
Non puoi rispondere negli argomenti
Non puoi modificare i tuoi messaggi
Non puoi cancellare i tuoi messaggi
Non puoi inviare allegati

Cerca per:
Vai a: