Forum Entomologi Italiani
https://www.entomologiitaliani.net/public/forum/phpBB3/

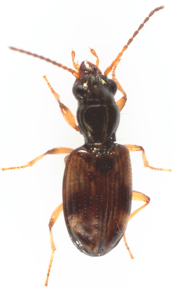
Trepanes (Trepanes) articulatus (Panzer, 1796) - Carabidae
https://www.entomologiitaliani.net/public/forum/phpBB3/viewtopic.php?f=143&t=88644
Pagina 1 di 1

Autore:  fasmidi [ 06/03/2020, 18:59 ]
Oggetto del messaggio:  Trepanes (Trepanes) articulatus (Panzer, 1796) - Carabidae

ciao a a tutti
trovato in zona molto umida vicino ad un stagno sotto legno marcio
sui 4-5 mm.
grazie per l'aiuto

Allegati:
carabide-como-002.jpg


Autore:  marco villa [ 06/03/2020, 19:09 ]
Oggetto del messaggio:  Re: Carabide ID?

Trepanes (Trepanes) articulatus (Panzer, 1796).
Marco :hi:

Autore:  fasmidi [ 07/03/2020, 8:37 ]
Oggetto del messaggio:  Re: Trepanes (Trepanes) articulatus (Panzer, 1796) - Carabidae

Perfetto, grazie mille Marco :hi:

Pagina 1 di 1 Tutti gli orari sono UTC + 1 ora [ ora legale ]
Powered by phpBB® Forum Software © phpBB Group
http://www.phpbb.com/