Benvenuto Ospite

Forum Entomologi Italiani

www.entomologiitaliani.net/forum
 
Oggi è 12/12/2025, 2:12

Tutti gli orari sono UTC + 1 ora [ ora legale ]

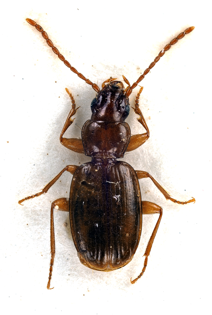
Trechus italicus K. Daniel & J. Daniel, 1898 - Carabidae

26.VI.1983 - ITALIA - Abruzzo - AQ, Campo Imperatore 2000m


nuovo argomento
rispondi
Pagina 1 di 1 [ 1 messaggio ]
Autore Messaggio
MessaggioInviato: 09/01/2021, 23:19 
Avatar utente

Iscritto il: 10/05/2009, 15:30
Messaggi: 7182
Località: Ancona
Nome: Giacomo Giovagnoli
Trechus italicus K. Daniel & J. Daniel, 1898.

Campo Imperatore (L'Aquila), 2000m; 26.VI.1983; lg. A. Pennisi

[grazie zio per le foto!!! :birra: ]

Dimensioni: 3mm
Comb3202-26zL3cr.jpg


Comb3203-94zL3cr.jpg



Ciao :)

_________________
Immagine Giacomo


Top
profilo
Visualizza ultimi messaggi:  Ordina per  
nuovo argomento
rispondi
Pagina 1 di 1 [ 1 messaggio ]

Tutti gli orari sono UTC + 1 ora [ ora legale ]


Chi c’è in linea

Visitano il forum: Nessuno e 1 ospite


Non puoi aprire nuovi argomenti
Non puoi rispondere negli argomenti
Non puoi modificare i tuoi messaggi
Non puoi cancellare i tuoi messaggi
Non puoi inviare allegati

Cerca per:
Vai a:  
cron