Benvenuto Ospite

Forum Entomologi Italiani

www.entomologiitaliani.net/forum
 
Oggi è 24/03/2026, 17:33

Tutti gli orari sono UTC + 1 ora [ ora legale ]

Paradromius (Manodromius) linearis (Olivier, 1795) - Carabidae

12.III.2021 - ITALIA - Lombardia - SO, Ponte in Valtellina-meleti


nuovo argomento
rispondi
Pagina 1 di 1 [ 11 messaggi ]
Autore Messaggio
MessaggioInviato: 14/03/2021, 13:21 
Avatar utente

Iscritto il: 31/12/2009, 1:47
Messaggi: 951
Località: Bellano (LC)
Nome: Martino Salvetti
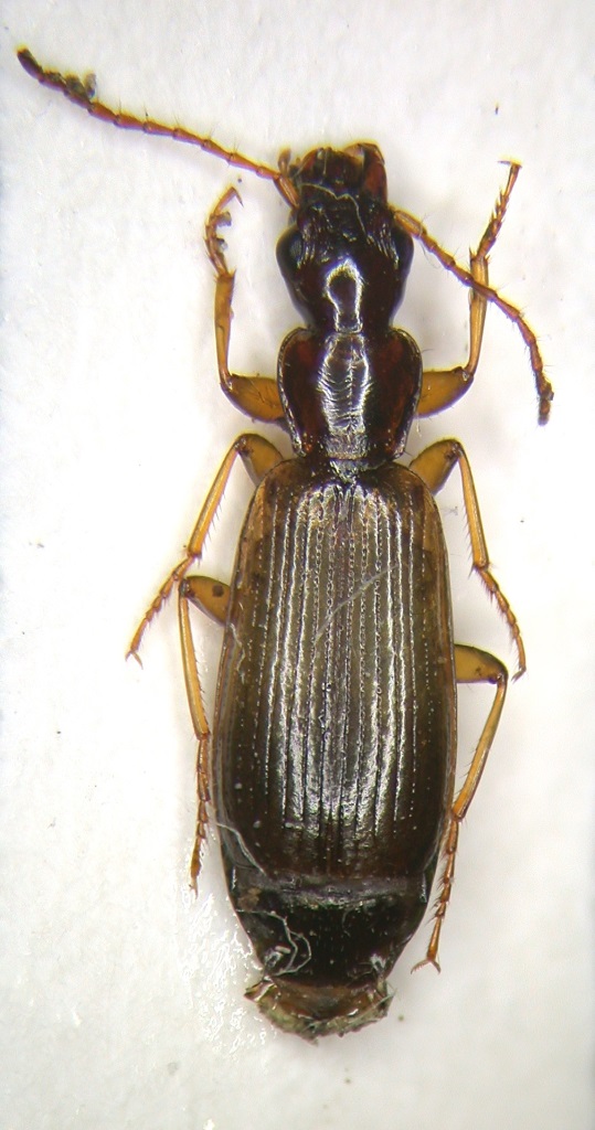
Trovato sempre nel "solito" frutteto di Ponte in Valtellina (SO), nella vegetazione erbacea alla base delle piante.
Arrivo fino a Carabidae, qualcuno mi aiuta a classificarlo?
Molte grazie


Carabidae_3 - Copia.jpg

Top
profilo
MessaggioInviato: 14/03/2021, 13:37 
Avatar utente

Iscritto il: 05/02/2009, 17:44
Messaggi: 2695
Località: Garbagnate Milanese
Nome: Augusto Franzini
A me pare un esemplare scuro di Paradromius (Manodromius) linearis (Olivier, 1795).
In tal caso dovrebbe essere lungo 4 mm circa.
Però da quelle parti non lo ho mai visto, aspetta conferma da qualcuno più autorevole.
:hi:

_________________
Augusto (aug)
Prediction is very difficult, especially about the future (Niels Bohr, fisico)


Top
profilo
MessaggioInviato: 14/03/2021, 14:21 
Avatar utente

Iscritto il: 31/12/2009, 1:47
Messaggi: 951
Località: Bellano (LC)
Nome: Martino Salvetti
Ciao Augusto, no e' piu'lungo, circa 6-6,5 mm. Molte grazie


Top
profilo
MessaggioInviato: 14/03/2021, 19:07 
Avatar utente

Iscritto il: 05/02/2009, 17:44
Messaggi: 2695
Località: Garbagnate Milanese
Nome: Augusto Franzini
Con quella dimensione, potrebbe anche essere un Dromius agilis o un D. meridionalis. Ci sono alcuni punti profondi nel terzo intervallo elitrale?
:hi:

_________________
Augusto (aug)
Prediction is very difficult, especially about the future (Niels Bohr, fisico)


Top
profilo
MessaggioInviato: 14/03/2021, 22:07 
Avatar utente

Iscritto il: 31/12/2009, 1:47
Messaggi: 951
Località: Bellano (LC)
Nome: Martino Salvetti
Ciao, no io sinceramente non li vedo, ma dopo provo a postare un particolare. ..molte grazie


Top
profilo
MessaggioInviato: 14/03/2021, 23:36 
Avatar utente

Iscritto il: 31/12/2009, 1:47
Messaggi: 951
Località: Bellano (LC)
Nome: Martino Salvetti
ecco due zoomate delle elitre, parte anteriore e posteriore. Spero che servano a qualcosa
Grazie ancora


DSCN8475.JPG

DSCN8474.JPG

Top
profilo
MessaggioInviato: 15/03/2021, 9:38 
Avatar utente

Iscritto il: 05/02/2009, 17:44
Messaggi: 2695
Località: Garbagnate Milanese
Nome: Augusto Franzini
Dal dettaglio della seconda foto mi pare :oops: :oops: di vedere che la base dell'elitra non è completamente bordata e la prima interstria è ristretta in avanti. A questo punto torna l'ipotesi del Manodromius linearis. Speriamo in qualche parere più illuminato...
:hi:

_________________
Augusto (aug)
Prediction is very difficult, especially about the future (Niels Bohr, fisico)


Top
profilo
MessaggioInviato: 15/03/2021, 13:55 
Avatar utente

Iscritto il: 31/12/2009, 1:47
Messaggi: 951
Località: Bellano (LC)
Nome: Martino Salvetti
Intanto molte grazie per l'aiuto :hi:


Top
profilo
MessaggioInviato: 16/03/2021, 20:24 
Avatar utente

Iscritto il: 12/07/2010, 15:33
Messaggi: 2321
Località: Casale Marittimo (PI)
Nome: Stefano Cosimi
aug ha scritto:
Dal dettaglio della seconda foto mi pare :oops: :oops: di vedere che la base dell'elitra non è completamente bordata e la prima interstria è ristretta in avanti. A questo punto torna l'ipotesi del Manodromius linearis. Speriamo in qualche parere più illuminato...
:hi:

Il mio parere è tutt'altro che illuminato :oops: ma per quello che serve pare un Paradromius linearis pure a me.
:hi:

_________________
Stefano Cosimi


Top
profilo
MessaggioInviato: 16/03/2021, 22:35 
Avatar utente

Iscritto il: 05/02/2009, 17:31
Messaggi: 9527
Località: milano
Nome: maurizio pavesi
con quella sagoma, se non è un Paradromius linearis è una nuova specie :mrgreen:

_________________
*****************
Immagine maurizio


Top
profilo
MessaggioInviato: 19/03/2021, 11:01 
Avatar utente

Iscritto il: 31/12/2009, 1:47
Messaggi: 951
Località: Bellano (LC)
Nome: Martino Salvetti
Molte grazie per le gentili conferme :birra:


Top
profilo
Visualizza ultimi messaggi:  Ordina per  
nuovo argomento
rispondi
Pagina 1 di 1 [ 11 messaggi ]

Tutti gli orari sono UTC + 1 ora [ ora legale ]


Chi c’è in linea

Visitano il forum: Nessuno e 21 ospiti


Non puoi aprire nuovi argomenti
Non puoi rispondere negli argomenti
Non puoi modificare i tuoi messaggi
Non puoi cancellare i tuoi messaggi
Non puoi inviare allegati

Cerca per:
Vai a: