| Autore |
Messaggio |
|
MARIO LUNA
|
Inviato: 06/09/2013, 20:54 |
|
Iscritto il: 23/07/2011, 16:51 Messaggi: 398
Nome: MARIO LUNA
|
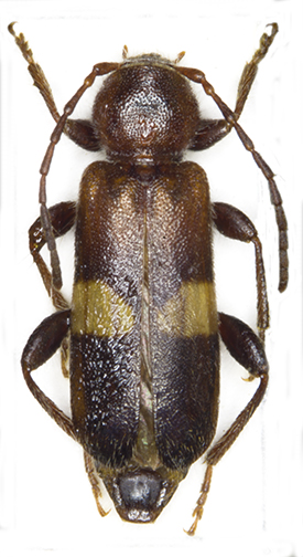
Si chiede conferma. Catturato con sfalcio, su piccoli cespugli. In collezione alcuni esemplari anche di altre sp. datati non di recente, manifestano un'untuosità che a volte si estende su tutta la superfice del corpo, compreso le elitre, un esempio è questo postato, cercherò in qualche modo di porvi rimedio. Alcuni tentativi di prova, non hanno avuto l'esito desiderato. Mario
|
|
| Top |
|
 |
|
Orotrechus
|
Inviato: 06/09/2013, 21:00 |
|
Iscritto il: 01/11/2010, 21:21 Messaggi: 2110 Località: Brescia
Nome: Mario Grottolo
|
|
E' un problema per molti esemplari anche di altri generi: prova ad usare uno sgrassatore. Ciao Mario
|
|
| Top |
|
 |
|
Julodis
|
Inviato: 06/09/2013, 21:04 |
|
Iscritto il: 30/12/2009, 22:20 Messaggi: 31564 Località: Roma
Nome: Maurizio Gigli
|
|
Tienilo qualche ora in acetone, poi lo metti ad asciugare tra due fogli di carta igienica, uno sotto ed uno sopra, in modo che la carta assorba l'acetone estraendo anche le sostanze grasse. Noterai un netto miglioramento. Anche le specie pubescenti tornano quasi come in origine. Il più delle volte non serve nemmeno staccarli dal cartellino.
|
|
| Top |
|
 |
|
MARIO LUNA
|
Inviato: 06/09/2013, 21:20 |
|
Iscritto il: 23/07/2011, 16:51 Messaggi: 398
Nome: MARIO LUNA
|
Grazie a Mario, e Maurizio per le pronte risposte, il problema e che dovrò rimettere ordine nella collezione ci sono altri problemucci da risolvere altre l'untuosità, qualche ex. è attaccato da filamenti sottili biancastri, credo si tratti di muffe,  meglio non pensare. Per la determinazione? Nessuno consiglio? C'è qualcuno che mi può correggere il titolo Poecilium fasciatum un altro errore di battitura. Mario
|
|
| Top |
|
 |
|
Julodis
|
Inviato: 06/09/2013, 22:01 |
|
Iscritto il: 30/12/2009, 22:20 Messaggi: 31564 Località: Roma
Nome: Maurizio Gigli
|
|
Questo te lo posso confermare anche io.
Per le muffe la pulizia è più difficile. Io solito li metto per un po' in alcool al 70% e poi li pulisco con pennellino e pinzette.
|
|
| Top |
|
 |
|
MARIO LUNA
|
Inviato: 06/09/2013, 22:15 |
|
Iscritto il: 23/07/2011, 16:51 Messaggi: 398
Nome: MARIO LUNA
|
Grazie Maurizio per la conferma. Per la ripulitura dalle muffe quindi, mi aspetta un arduo lavoro, speravo in qualche scappatoia  . Mario
|
|
| Top |
|
 |
|
Julodis
|
Inviato: 06/09/2013, 22:23 |
|
Iscritto il: 30/12/2009, 22:20 Messaggi: 31564 Località: Roma
Nome: Maurizio Gigli
|
|
Purtroppo non abbiamo ancora trovato un sistema valido. Io ho provato di tutto: acqua, etanolo, acetone, benzina, etere, aceto, ammoniaca, candeggina, acido cloridrico, da soli o combinati, ma il massimo che ho ottenuto è stato di rammollirle e renderle elastiche (almeno, però, muoiono e smettono di crescere). Ma poi bisogna sempre ricorrere all'azione meccanica. Non ho ancora provato la bollitura. Le peggiori sono le ife lucide e nerastre, veramente tenaci, Quelle bianche sono in genere meno resistenti. C'è anche da stare attenti al fatto che le muffe digeriscono i tessuti interni, per cui è facile che pulendoli si stacchi qualche pezzo.
|
|
| Top |
|
 |
|
MARIO LUNA
|
Inviato: 07/09/2013, 15:24 |
|
Iscritto il: 23/07/2011, 16:51 Messaggi: 398
Nome: MARIO LUNA
|
Grazie ancora Maurizio, per avermi illustrato tutti i vari tentativi che hai fatto, ancor più mi rendo conto che mi devo armare di pazienza, pennellino e pinzette. Trascuravo una domanda molto importante: a capo dei filamenti bianchi ci sono piccoli rigonfiamenti per dare un esempio rassomigliano moltissimo, una volta visti ad elevati ingrandimenti al fiore del tarassaco. Sono sicuramente gli sporangi, difatti basta urtarli con uno spillo entomologico e si assiste ad una vera esplosione, rilasciando nell'aria una sottile nebbiolina (le spore), tutto ciò sempre mentre si osserva allo stereomicroscopio. Tornando alla domanda: non sono pericolose per noi che possiamo inevitabilmente ispirarle mentre si fa la ripulitura? Non si parla tanto bene delle spore delle muffe, in genere!  Mario
|
|
| Top |
|
 |
|
Julodis
|
Inviato: 07/09/2013, 21:13 |
|
Iscritto il: 30/12/2009, 22:20 Messaggi: 31564 Località: Roma
Nome: Maurizio Gigli
|
MARIO LUNA ha scritto: Tornando alla domanda: non sono pericolose per noi che possiamo inevitabilmente ispirarle mentre si fa la ripulitura? Non si parla tanto bene delle spore delle muffe, in genere!  Mario L'unica cosa che posso dirti è che io sono ancora qui. Però non garantisco che siano innocue, anche se queste muffe si nutrono di tessuti morti, per cui non dovrebbero attaccare organismi vivi. C'è comunque la possibilità che contengano qualche sostanza tossica, quindi meglio evitare di inalarle. Ma se immergi l'insetto in un liquido, alcool o altro, il problema si risolve, perchè non possono più disperdersi.
|
|
| Top |
|
 |
|
MARIO LUNA
|
Inviato: 07/09/2013, 21:49 |
|
Iscritto il: 23/07/2011, 16:51 Messaggi: 398
Nome: MARIO LUNA
|
Grazie Maurizio, che mi hai risposto e in un certo senso anche rassicurato, meglio comunque adottare sempre un po' di precauzioni nell'affrontare la già noiosa fase di restauro. Mario
|
|
| Top |
|
 |
|