Benvenuto Ospite

Forum Entomologi Italiani

www.entomologiitaliani.net/forum
 
Oggi è 24/04/2026, 15:09

Tutti gli orari sono UTC + 1 ora [ ora legale ]

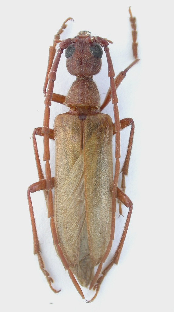
Vesperus aragonicus Baraud, 1964 - Cerambycidae

VII.2011 - SPAGNA - EE, Catalogna, Barcellona, La Guardia


nuovo argomento
rispondi
Pagina 1 di 1 [ 2 messaggi ]
Autore Messaggio
MessaggioInviato: 04/03/2016, 11:20 
Avatar utente

Iscritto il: 02/09/2009, 20:57
Messaggi: 8703
Località: Cagliari
Nome: Roberto Rattu
Di questa specie era presente solo la femmina, qui. L'esemplare, non in perfette condizioni, misura 21 mm:

DSCN1488.JPG



Top
profilo
MessaggioInviato: 04/03/2016, 13:48 
Avatar utente

Iscritto il: 10/05/2010, 22:31
Messaggi: 4376
Località: Gavorrano (GR)
Nome: marco bastianini
Belli questi "vesperi" spagnoli :ok: :ok:

_________________
:to: Marco
"Le foreste a precedere le civiltà, i deserti a seguire."
François-René de Chateaubriand


Top
profilo
Visualizza ultimi messaggi:  Ordina per  
nuovo argomento
rispondi
Pagina 1 di 1 [ 2 messaggi ]

Tutti gli orari sono UTC + 1 ora [ ora legale ]


Chi c’è in linea

Visitano il forum: Nessuno e 4 ospiti


Non puoi aprire nuovi argomenti
Non puoi rispondere negli argomenti
Non puoi modificare i tuoi messaggi
Non puoi cancellare i tuoi messaggi
Non puoi inviare allegati

Cerca per:
Vai a: